Interseis SIAMazdziļumie ģeofiziskie pētījumi

Daudzfrekvenču ģeoradara skenēšana (GPR)




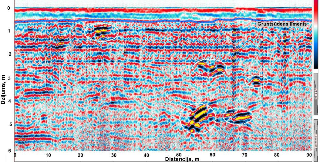
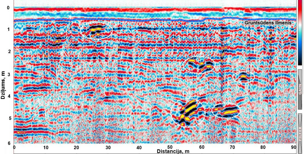
Ģeoradara profili smilšu bedres teritorijā
Morēnas un aluviālajos nogulumu pētījumos ģeoradara metode ir ļoti efektīva, lai izpētītu irdenas smilšainas augsnes masīva augšējās daļas struktūru un pamatiežu virsmu. Ar dziļu gruntsūdens galdu dipola zemfrekvences antenu izmantošana ļauj sasniegt 15-20 m dziļumu, izsekot augsnes masīva slāņu robežām un pamatiežu virsmas iezīmēm. Attēlā parādīti radaru griezumu (900–150–75 MHz) piemēri, detalizēti nosakot morēnas augsnes struktūru virs pamatiežu virsmas un tas ir efektīvs atstaroto viļņu seismiskās metodes papildinājums. 900 MHz augstfrekvences ekranētās antenas izmantošanas iespējas šajos nolūkos ir ievērojami ierobežotas, jo impulsa iespiešanās dziļums parasti nepārsniedz 3-4 m, pat sausās smilšainās augsnēs.
Pasažieru piestātnes grunts pamatnes noteikšana ar GPR
Ekranētas augstas frekvences antenas izmantošana ir efektīvāka pilsētu teritorijās, nosakot augsnes noblivejumu zonas zem ceļu un brauktuves cietajiem segumiem noteikšanai. Zemāk redzamajā attēlā parādīts uzbērumā grunts masīva pamatotu datu interpretācijas piemērs. Zem bruģa un šķembu uzbērumiem tiek izsekotas palielinātas atstarošanās amplitūdas un novēlots to reģistrācijas laiks, kas saistīts ar iespējamām noblivejumu zonām un paaugstinātu ūdens piesātinājumu smilšainā augsnē.Radaru profilu piemēri, kas iegūti, izmantojot ekranētu augstfrekvences (900 MHz) antenu (pa kreisi) un dipola zemfrekvences (150 MHz) antenu (pa labi) krastmalas daļā ar bruģakmeņiem.Sakarā ar lietus ūdens uzkrāšanos bruģakmeņos bija iespējams iekļūt grants un augsnes virsējā slānī, kas ievērojami maina un sarežģī viļņu modeli ierakstos sakarā ar straujām augsnes dielektriskās konstantes izmaiņām.
Svešķermeņu noteikšana grunts masīvā
Zem galvenās atstarošanas fāzes ir palielinātas signālu amplitūdas zones, kas atspoguļotas (izkliedētas) uz daudziem maziem objektiem. Šādi objekti uz GPR profila, visticamāk, tiek interpretēts kā aizbērta betona vai asfalta seguma fragmentus. Profila fragmenta no 0,2 m līdz 1,0 m dziļumā fiksētas daudzas fāzes difrakcijas viļņu hiperboliskās asis. Izteiktas difrakcijas liecina par blīvu svešķermeņu klātbūtni gruntī, iespējams, vecas ēkas betona struktūras fragmenti.Profilā tiek atzīmēti raksturīgi difrakcijas viļņi no mazākiem objektiem, iespējams, piemēram, caurulēm, sakaru kanāliem, akām utt. Attēlā ir parādīti piemēri šādas objektu izpausmei hiperbolisko viļņu paketes veidā.Spēcīgākās atstarojošās robežas, visticamāk, ir saistītas ar ūdens piesātinātu lēcu virsmām smilšu masīvā. Zemfrekvences radara zondēšana ir ļoti efektīva metode gruntsūdeņu virsmas kartēšanai smilšainos nogulumos. Tajā pašā laikā ar ūdeni piesātinātu augsņu virsma ir spēcīga ekranējuma robeža, zem kuras ir problemātiski atstarojošo robežu izsekošana smilšaina-māla masīvā.
Atstarojošo horizontu reljefa kartēšana augsnes masīvā
Pētījumu areā lielākajā daļā GPR griezumu kompleksā atstarojošā horizonta virsma ir diezgan skaidri redzama, kas atrodas 0,5 līdz 2,5 m dziļumā. Vietnē uz šīs atstarojošās virsmas var izsekot vairākas ieplakas, kuru dziļums ir no 1,0 līdz 2,2 m no virsmas. Dziļākā no tām izskatās kā šaura grava 6-15 m plata un stiepjas no izpētes vietas dienvidrietumu malas līdz tās centram ziemeļaustrumu virzienā. Tālāk uz rietumiem no izpētes vietas centra seko platāks, bet mazāk dziļš (līdz 1,6 m) turpinājums.Attēlā parādīta ieplaku dibenu virsmas strukturālā karte. Šo ieplaku dziļums atsevišķos gadījumos vietas sasniedz 2,5 m. Šīs atstarojošās robežas plaša ieplaka novērojama ziemeļrietumu virzienā izstieptas ieplakas veidā ar sarežģītu robežu konfigurāciju plānā pie vietas ziemeļaustrumu robežas. Spriežot pēc lielā lokālo neviendabīgumu skaita slānī virs šīs robežas, tas atspoguļo dalījumu starp tehnogēnās augsnes pildījumu un jūras (vai aluviālo) smilšainu un mālu nogulumu virsmu.
Atstarotu viļņu metode - MINI KDP




Atstarotu viļņu ieraksta piemers
No visām metodēm, kuras mazdziļumā seismiskajā izlukošanā tiek izmantotas, vislielāko ģeoloģiskās sadaļas augšdaļas izpētes dziļumu nodrošina atspoguļoto viļņu metode kopējā dziļā punkta (KDP) modifikācijā. Novērošanas sistēma nodrošina pietiekami augstu elastīgo viļņu ierosmes punktu un signāla uztveršanas punktu blīvumu viena profilā vienībā, lai daudzkārtīgu pārklāšanos nodrošinātu, izsekojot atstarojošās robežas.Darba tehnoloģija ir diezgan darbietilpīga, taču tā sniedz visticamāko informāciju par fizikālo īpašību robežu ģeometriju pētāmajā telpā, kas saistīta ne tikai ar slāņošanos, bet arī ar iespējamiem iežu nepārtrauktības traucējumiem tektonisko kustību dēļ. Daudzos gadījumos vienkāršāko un videi draudzīgāko elastīgo viļņu avotu, piemēram, krītošās slodzes, izmantošana ļauj iegūt pietiekami spēcīgus atstarojumus no robežām 200-250 m dziļumā.
Pētījumi apbedītās paleoielejās
Ģeotehniskajos pētījumos parasti uzdevums ir izpētīt grunts masīva un pamatiežu īpašības līdz 40-50 m dziļumam. Bet dažreiz ir arī specifiski uzdevumi, kuru izpēte prasa 150-200 m dziļumu. Šādu uzdevumu piemērs Krievijas platformas ziemeļrietumos ir apraktās preglaciālās struktūras - ielejas kartēšana un izpēte, kas piepildītas ar morēnas nogulumiem. Līdzīgas problēmas rodas, pētot gravas paleozoiskā halogēna-karbonāta slāņos, kas piepildīti ar zema ātruma mezozoja vai kvartāra nogulumiem. Dažos gadījumos ir iespējams iegūt atstaroto signālus ar dziļumu līdz 200 m, ja par elastīgo viļņu avotu izmanto āmuru, kas sver 6-8 kg. Šis piemērs ir atstaroto viļņu ieraksts un garēviļņu ātrumu anālize ar vertikalo spektru metodei pāri apraktajai paleoielejai drenāžās urbumu ierīkošanai apsekojuma vietā Pļaviņas HES lejteces apgabalā.
KDP laikā griezuma gar profilu caur apraktās paleoielejas malu. Drenāžas urbumu izvietojums Pļaviņas hidroelektrostacijas lejtecē
Ģeoloģiskās daļas augšējā daļā ir aluviālas nogulumi. Sākotnējā profila daļā uz ielejas ir Salaspils ģipsis karbonāti. Dolomītu biezums ir mazs, gandrīz viss iegriezums atrodas Amatas formācijas smilšakmeņos. Griezuma apakšējās daļas malas veido vājas Augšdevonas Amatās svītas smilšakmeņi. Garenviļņu izplatīšanās ātrums tajos maz atšķiras no morēnas smilšmāla, kas aizpilda ieleju, tāpēc grieztas malas var atšķirt tikai nosacīti, mainot slāņainības raksturu.
Mini-KDP griezums, kas apgriezts dziļumā mērogā, gar profilu caur apraktas paleoielejas sekundāro kanālu. Pļaviņas HES lejtecē
Šajā profilā pamatiežu dolomīta jumts ir skaidri izsekojams 6-8 m dziļumā zem bieza morēnas smilšmāla slāņa. Ielejas sānu daļās atstarojošās robežas tiek izsekotas, kas, iespējams, ir saistītas ar lielo rupju devuālo plūmju nogulsnēm. Šajā piemērā labi izpaužas atšķirības metožu dziļumā. Tādējādi KGP grizumā var izsekot robežu aptuveni 150 m dziļumā, kas, iespējams, ir saistīta ar vaļēju Amatās-Gaujāš smilšakmeņu pamatni, savukārt dziļums ātruma griezumā, iegutā izmantojot refrakcijas viļņu metodi, ir aptuveni 30 m ar uztverošās pamatnes garumu 126 m.Šis griezums tika iegūts, izmantojot āmuru, kura svars ir 6 kg, sakrājot trīs stienus. Uztvērēju solis ir 2 m, ierosmes punktu - 4 m.
Refraģēto viļņu metode



Refraģēto viļņu metodi visbiežāk izmanto inženierģeofizikā, lai izpētītu pamatiežu virsmas ģeometriju un fizikālās īpašības un noteiktu irdeno kvartāra nogulumu biezumu.
Refraģēto viļņu ieraksts (piemērs), kas iegūts izraisot 3 kg ammonita sprādzienu Čoklon II (Peru) posmā. Bāzes garums 360m, kanālu solis 5m, reģistrators IS128-03.
Vispamatotākās ir refraģēto viļņu metodes izmantošana, ja nav skaidri izteikta nogulsnes pievirsmas slāņa un tā rezultātā ierakstos nav atspoguļotu viļņu. Pētījuma dziļums, izmantojot refraģēto viļņu metodi, parasti ir 25-30% no maksimālā avota-uztvērēja attāluma. Ja ir spēcīgs irdeno augšņu (sausu smilšu, kūdras purvu) virszemes slānis, kurā elastīgo viļņu enerģija tiek strauji vājināta, lai iegūtu refraģēto viļņa godografa līkni pirmajos ierašanās gadījumos ar 250-400m uztveršanas bāzi, ir jāizmanto pietiekami spēcīgi elastīgo viļņu avoti, bieži vien sprādzieni (ja to atļauj vides aizsardzības iestādes).
Garenviļņu izplatīšanās ātruma Vp griezums
Refraģēto viļņu apstrādes piemērs, lai iegūtu Vp ātrumu, izmantojot programmu SeisOptim vienā no Choclon-2 vietnes profiliem. Pētījums par topošās flotācijas atkritumu glabātavas dibena struktūru metalurģijas rūpnīcā (Peru).
Karstas dolomītu virsmas kartēšana Pļaviņas hidroelektrostacijas rezerves pārgaznes posmā.
Apstrāde veikta ar SeisOptim programmas palīdzībuViens no visizplatītākajiem refraģēto viļņu metodes pielietojumiem ir karsta zonu noteikšana pamatiežu virsmas slāņos, ko pārstāv halogēna-karbonāta nogulsnes. Šajos gadījumos metodes dziļumu parasti ierobežo ātrgaitas nogulumu jumta dziļums, tomēr pamatiežu izdēdējušās virsmas un pārklājošās augsnes slāņa fizikālo īpašību mainīgums ir diezgan atšķirīgs.
Virsmas viļņu metode

Virsmas viļņu seismogramma



Šķērsviļņu ātruma noteikšana, izmantojot MASW metodi
Inženieru seismiskajā izpētē, izmantojot vienkāršākos virsmas elastīgo vibrāciju avotus, vairāk nekā 85 procenti trieciena enerģijas tiek iztērēti zemfrekvences un zema ātruma virsmas viļņu veidošanai. Zemāk redzamā seismogramma, kas iegūta uz krastmalas asfalta virsmas ar impulsa ierosmi ar ragavas āmuru, kas sver 8 kg, ilustrē zema ātruma virsmas viļņu dominēšanu attiecībā pret refraģētiem un atstarotajiem viļņiem. Tā kā Releja virsmas viļņi ir spēcīgākie šķēršļi atstaroto viļņu metodei, tajā pašā laikā ir ļoti vērtīga informācija par šķērsviļņu izplatīšanās ātrumu augsnes īpašību izpētei.
Releja virsmas viļņu fāzes ātrumu dispersijas līkņu izvēle un bīdes viļņu izplatīšanās ātrumu viendimensiju modeļa izveidošana
Galvenie daudzkanālu frekvences analīzes priekšnoteikumi ir šķērsvirziena pārvietojuma komponenta enerģijas pārsvars svārstību izplatīšanās laikā gar interfeisu un fāzes ātrumu frekvences dispersija - redzamā perioda palielināšanās un attiecīgi virsmas viļņu enerģijas iespiešanās dziļuma palielināšanās augsnes masīvā ar pieaugumu šķērsvirziena pārvietojumu izplatīšanās ātrumā. Pa kreisi parādīta fāzes ātruma matrica vairākām virsmas Releja viļņa harmonikām, kas raksturo fāzu ātrumu spēcīgu frekvences dispersiju. Bīdes viļņa ātruma modeļa aprēķināšanā tika izmantotas virsmas viļņa nulles, pirmās un otrās harmonikas dispersijas līknes.Iepriekš minētie virszmas viļņu daudzkanālu analīzes rezultāti tika iegūti, izmantojot programmatūras paketi RadExPro (Deco-ģeofizika, Maskava).
Augsnes fizikālo īpašību novērtējums, pamatojoties uz garenviļņu un bīdes viļņu ātrumu visaptverošu interpretāciju
Attēlā parādītās griezumus raksturo tipisku ģeotehnisko metožu, urbšanas un ģeofizikas metožu reprezentativitātes attiecību, novērtējot augsnes masīva fizikālās īpašības. Neskatoties uz salīdzinoši lielo urbumu blīvumu un dinamiskās zondēšanas punktiem, tie nenodrošina inženierģeoloģisko elementu robežu telpisku uzbūvi relatīvi viendabīgā morēnas smilšmāla klājumā. Tajā pašā laikā bīdes viļņu ātrumi, kas galvenokārt raksturo augsnes skeleta īpašības, nodrošina skaidru telpisko ainu par rupju fragmentu (morēnas grēdām) griezumu ar palielinātu bīdes viļņu izplatīšanās ātrumu morēnas smilšmālās.Inženiertehniskajos apsekojumos augsnes masīvos un to piesātinošo šķidrumu stāvokļa un īpašību novērtēšanai parasti izmanto vairākus viļņu veidus: garenisko, atstaroto, refraģēto un virsmas. Zemāk redzamajā attēlā parādītas seismisko griezumu šķirnes gar vienu no profiliem Latvijas centrālajā daļā. Griezuma augšējā daļā līdz 35 m morēna smilšmāla, pēc tam apmēram 20 m Pļaviņas dolomīti, zemāk - Amat-Gauai smilšakmeņi. 160 m dziļumā (abas griezumos dziļuma skalā) KDP griezumā, iespējams, Amat-Gauai smilšakmeņu pamatnē, tiek izsekota diezgan labi uzturēta robeža.Šie materiāli tika iegūti, izmantojot kamanu āmuru, kas sver 8 kg, un vienu 64 kanālu uztveršanas izvietojumu ģeofoniem ar soli 2 m. Tomēr lauka darbu un datu apstrādes sarežģītība, lai iegūtu šīs griezumus, ievērojami atšķiras. Tātad, ja intervāls starp ierosmes punktiem bija 2 m, lai iegūtu KDP griezumu gar atstarotiem viļņiem, tad griezuma iegūšanai no refraģēto un virsmas viļņiem tika izmantotas tikai seismogrammas, kas iegūtas ar ierosmes punktu soli 16 m gar profilu.
Aluviālā Zelta augstkalnās atrādnes Čukapaka (Peru) nogulumu augsnes fizikālo īpašību griezuma aprēķināšana
Bīdes viļņu izplatīšanās ātrumu noteikšanas no MASW datiem piemēri un augsnes fizikālo un mehānisko īpašību prognozēšana, izmantojot refraģēto viļņu metodi gar vienu no zelta lauka attīstības virzieniem Peru dienvidos, ir parādīti nākamajā attēlā.Balstoties uz garenisko viļņu izplatīšanās ātrumu griezumiem pie refraģēto un bīdes viļņu pirmajiem ienākšanas punktiem, izmantojot MASW metodi, tiek aprēķināti prognozētā blīvuma pēc garenviļņu ātrumiem, Puasona koeficienta un elastības moduļa griezumi gar zelta atrādnes Čukapaka (departamenta Moquegua, Peru) attīstības profilu.
Vertikālā seismoacoustiska profilēšana ģeotehniskajos urbumos

VSP griezums iegūts, reģistrējot vibrācijas urbumā, izmantojot 8 kanālu zondi ar pjezo spiediena sensoriem. Attālums starp uztvērēju ir 1 m, ierosinājumu punkta attālums no urbuma galviņas ir 5 m. Līdz ar pirmajiem krītošā gareniskā viļņa pienākumiem tiek reģistrēts zemas frekvences zema ātruma hidrauliskais vilnis.


Vertikālā seismoakustiskā profilēšana (VSP) seklajos ģeotehniskajos urbumos tiek izmantota dažādu problēmu risināšanai - maza ātruma zonas statisko korekciju iegūšanai, veicot konvencionālo naftas un gāzes seismisko izpēti, atstarojumu sasaistīšanai uz seklajiem seismiskajiem CDP posmiem, lai iegūtu detalizētus elastīgie moduļi un prognozējamās grunts stiprības un deformācijas īpašības.Parasti vibrāciju uztveršanai izmanto pjezouztvērēju daudzkanālu (8-24 kanālu) pjezoelektrisko zondi. Darbs tiek veikts ar impulsa trieciena avotu (veseri). Kad gruntsūdens līmenis ir zems, aka ir izklāta ar polietilēna cauruļu kolonnu ar diametru 100-105 mm ar pretvārstu kolonnas apakšā. Šajā gadījumā aku var piepildīt ar ūdeni līdz virsmai, pasargāt no nogruvumiem un izmantot atkārtotiem novērojumiem. Avota attālums no akas galviņas ir 3-6 m. Aptuvenie ierakstīšanas parametri: paraugu ņemšanas izšķirtspēja 100-200 μs, rādījumu skaits 1000-2000, ierakstīšanas ilgums 100-400 ms. Tradicionāli attālums starp kanāliem hidrofona zondē ir 1 m.
VSP griezume ģeotehniskajā urbumā 35 m dziļumā
Ja nepieciešams iegūt detalizētākus datus, piemēram, ar mērīšanas soli 0,25 m, tiek veiktas 4 ierosinājumu sērijas, katru reizi virzot zondi 25 cm uz augšu pa urbumu. Pēc tam zonde virzās uz augšu pilnā garumā no sākotnējās pozīcijas +1m un tiek veiktas nākamās 4 ierosinājumu un ierakstu sērijas. Apstrādes programma sastāda kopsavilkuma VSP seismogrammu ar soli starp uztvērējiem 25 cm. Ar šo hodogrāfa soli ir iespējams iegūt elastīgo viļņu ātrumu griezumus, kas detaļās ir tuvu statiskajiem zondēšanas (CPT) grafikiem.VSP posmi ar pakāpienu starp seismiskajām pēdām 25 cm, iegūti 35 m dziļā urbumā ar avotu, kas atrodas urbuma galviņā (pa kreisi) un 6 m attālumā no urbuma galviņas (pa labi)
Uz VSP pamata iegūti augšņu fizikālo un mehānisko parametru grafiki līdz 60 m dziļumā
Pamatojoties uz pirmajiem krītošā (lejupjošā) viļņa pienākumiem, tiek noteikti garenviļņu izplatīšanās ātrumi. Lai noteiktu bīdes viļņu izplatīšanās ātrumus posmos, ko attēlo biezs irdeno kvartāra un morēnas augsnes slānis ar ūdeni piepildītās akās, var izmantot hidraulisko vilni, kas reģistrēta ar pjezoelektriskajiem spiediena uztvērējiem, izmantojot vienkāršu metodi, neizmantojot trīskomponentu zondes ar pietiekami augstu precizitāti.
Šķērsurbumu seismoakustiskā skenēšana




Ātruma griezums, kas iegūts caurspīdīguma laikā starp atvērtiem urbumu strobiem dziļuma intervālā no 19 līdz 69 m. Šis griezums ir divu tomogrāfisko attēlu pārklājums, kas iegūts, veicot pretpārraide no urbumam. 16A un 16ig.
ASTM D 4428 / D seismiskā akustika
Mērījumus veic trīs akās, kas vienā rindā urbtas 3 m attālumā viens no otra. Akas tiek stādītas ar polietilēna caurulēm ar pretvārstu apvalka apakšā un piepilda ar ūdeni. Apvalks ir aizbāzts ar māliem vai cementu vai piepildīts ar ūdeni. Mērījumu laikā impulsu emitētājs un uztvērējs tiek nolaists blakus esošajās akās tādā pašā dziļumā, kādu nodrošina tehniskās specifikācijas, tiek veikta impulsu ierosmju virkne, tiek reģistrēts kopējais signāls, un pēc tam emitētājs un uztvērējs tiek pārvietoti uz jaunām pozīcijām. Pirmoreiz emitētāju un uztvērēju nolaiž līdz ūdens līmeņa dziļumam urbumā, pēc tam tie pārvietojas apakšā ar intervālu 1,0–1,5 m, kā paredzēts Darba uzdēvumā.Saskaņā ar ASTM D 4428/D 4428M-07 vienkanāla režīmā tiek veiktas divas vai trīs garenisko un bīdes viļņu pārvietošanās laika mērījumu sērijas: ar emitētāju atrodas 1. urbumā, bet uztvērējus 2. urbumā - 3 m attālumā un 3. urbumā 6 m attālumā no urbuma 1. Akustiskā impulsa sākuma sinhronizācija ar ierakstīšanas sākumu tiek veikta, izmantojot pjezoelektrisko starta pārveidotāju, kas ievietots vienā tvertnē ar emitētāju un ar komunikācijas līnijas palīdzību savienots ar ierakstītāju.Attēlā parādīti pieraksti, kas iegūti no pjezokeramikas emitētāja ar impulsa frekvenci 4 kHz ar 20 darbību uzkrāšanos katrā mērījumu sērijā. Mērījumi tika veikti, apmesties uz 3 m (pa kreisi) un 6 m (pa labi). Reģistros pirmie tiešā garāmbraucošā gareniskā viļņa signāli tiek izsekoti lielākajā daļā izmeklēto dziļuma intervālu. Dolomītu biezumā vairāk nekā 18 m dziļumā signāla un trokšņa attiecība sasniedz 20-30. Sekcijas augšējā daļā strauji pasliktinās signālu pārejas apstākļi. Tas arī nav pietiekami pārliecināts, ka daudzos intervālos izceļas šķērsviļņa pienākšana.
Daudzkanālu seismiskā pārraide
Svārstības novērošanas urbumā uztver daudzkanālu (8–24 kanālu) pjezo-hidrofona zonde. Prasības novērošanas urbumu aprīkojumam šajā gadījumā paliek tādas pašas kā mērījumiem saskaņā ar ASTM D 4428/D. Ja apvalkā nav iespējams izmantot polietilēna caurules un daļēji aizstāt tās ar tērauda caurulēm augšējos augsnes masīva sabrukšanas intervālos, tad atvērto urbumu intervālos veic novērojumus līdz to piepildīšanas līmenim ar ūdeni. Jaudīgāks elektriskā dzirksteles tipa emitētājs (dzirksteles) ar izlādes enerģiju aptuveni 1-2,5 kJ pārvietojas ar doto soli pa blakus esošās urbuma stobru, parasti visā pētāmā intervāla garumā. Ja nepieciešams, ģeoloģiskā griezuma intervāla pārraides, pārsniedzotā uztverošās zondes garumu, zonde pārvietojas pa novērošanas urbuma stobriņu jaunā stāvoklī, un atkārtojas impulsa ierosinājumu virkne ar avota kustību gar urbumu tiek veikta.
Seismoakustiskā skenēšana un tomogrāfiskā ātruma griezumu aprēķins
Zemāk redzamo seismisko ierakstu apstrāde un tomogrāfisko griezumu aprēķins tika veikts, izmantojot materiālus, kas iegūti Krievijas Zinātņu akadēmijas (Permas) Urālu filiāles Kalnrūpniecības institūta Aktīvās seismiskās akustikas nodaļā.Izmantojot elektriskās dzirksteles avotu, kura uzkrātā lādiņa enerģija ir aptuveni 1000 J, ir iespējams droši ierakstīt signālus akās attālumā līdz 100 metriem vai vairāk. Tajā pašā laikā signāla augstfrekvences komponentu vājināšanās dēļ augsnēs izstarotā signāla spektra centrālā darbības frekvenču josla 1000–1600 Hz sašaurinās līdz 100–400 Hz.Pārraide tiek veikta, savstarpēji aizstājot emitētāju un uztvērēju atrašanās vietu divās akās. Novērojumi tika veikti, izmantojot dažādas enerģijas - 600 un 1000 J, un attiecīgi ar dažādām izstaroto impulsu centrālajām frekvencēm. Neskatoties uz to, pretskenēšanas laikā tika iegūta augsta tomogrāfisko attēlu konverģence gan ātruma absolūtajās vērtībās, gan lokālā ātruma anomāliju vietā. Tas ļauj secināt, ka griezumā noteiktās zemā ātruma anomālās zonas pietiekami atspoguļo grunts un pamatiežu strukturālās īpašības un fizikālās īpašības caurspīdīgajā apgabalā.
Garenviļņu ātrumu tomogrāfisko griezumu piemēri

Konsolidēts ātrumu tomogrāfiskais griezums, ko iegūst ar starojumu urbumā 17A un signālu uztveršana urbuma 17B 20 m attālumā un urbumā. 17ig 96 m attālumā.
Negareniskā vertikālā seismiskā profilēšana (NVSP)









Tiešās negareniskās VSP novērojumu shēma
Negarenisko VSP atkarībā no dziļajiem un virszemes seismiski ģeoloģiskajiem apstākļiem, virsmas topogrāfijas un reljefa caurlaidības var veikt divos atgriezeniskos variantos - tiešā un reversā.
Tiešā negareniskā vertikālā seismiskā profilēšana (NVSP) urbumos tiek veikta, izmantojot akustisko impulsu (triecienu, pulveri, vibrāciju) virszemes avotus. Avoti atrodas pa nejauši orientētām līnijām uz virsmas. Vibrācijas tiek uztvertas, izmantojot daudzkanālu pjezoruztvērēju zondes, kas ievietotas ar ūdeni piepildītās urbumos.
.
Reversā negareniskā VSP novērojumu shēma
Reversā versijā vertikālā profilēšana tiek veikta, izmantojot urbuma impulsa avotu un virszemes ģeofona uztveršanas līnijas. Tajā pašā laikā signālus var uztvert blakus esošajās akās, izmantojot daudzkanālu pjezoruztvērēju zondes. Kā akustisko impulsu avots tiek izmantots elektriskās dzirksteles avots, kas sastāv no strāvas impulsu ģeneratora un daudzelektrodu emitētāja, kas ievietots noslēgtā traukā, kas piepildīts ar sālsūdeni. Radiācijas uzkrātā elektriskā enerģija ir aptuveni 1,0–2,5 kJ. Izstarotāja pārvietošanas solis pa urbumu no apakšas uz augšu ir 1-5 m.
Seismisko staru trajektoriju līdzvērtības dēļ datu apstrāde abos profilēšanas variantos tiek veikta, izmantojot vienus un tos pašus algoritmus.
Shēma apgabala VSP profilu testēšanai
Negarenvirzienā VSP sistēmu, kas veikta pa lineāru profilu, izmantojot vairākus atšķirīgus ierosmes punktus, vai līdzvērtīgu reversā VSP sistēmu, var pārveidot par negarenvirziena VSP apgabalu sistēmu ar profiliem, kas atrodas gar vairākām telpiski atdalītām ierosmes līnijām. punktus. Ierosināšanas vai uztveršanas punktu profili atrodas pa līnijām, kas ir orientētas nejaušā secībā attiecībā pret urbumu. Uzbudinājuma vai uztveršanas profilus var attēlot pa lauztām līnijām. Avotu jeb ģeofonu solis gar profiliem ir 2-16 m. Maksimālo avotu attālumu no akas galviņas nosaka emitētāja enerģija un augsnes masas augšējās irdenās daļas īpašības un var sasniegt 150-250 m. .Ierakstu apstrāde un zemāk redzamo ātruma sekciju aprēķināšana tika veikta, izmantojot negarenvirzienā VSP materiālus, kas iegūti Krievijas Zinātņu akadēmijas Urālu filiāles Kalnrūpniecības institūta (Perma) Aktīvās seismoakustikas nodaļā.
Ierakstīto signālu amplitūdu un spektrālā sastāva analīze ar reverstas VSP
Ar reverso VSP ar ūdeni piepildītā urbumā elektriskās dzirksteles avota izstarotā akustiskā impulsa enerģija līdz 120-150 m attālumā no akas izrādās diezgan augsta. Noviržu diapazons apgrieztajā versijā ir nedaudz šaurāks nekā tad, ja avoti atrodas uz virsmas tiešajā VSP versijā, jo ģenerēto impulsu frekvence ir augstāka. Ierakstītā signāla spektram pie akas ir stabila unimodāla forma, kuras maksimums ir aptuveni 300-350 Hz frekvencē. Uztvērējai kanālam attālinoties no akas, signāla spektrā parādās papildu režīmi, maksimālās frekvences tiek ierakstītas 80-100 Hz apgabalā. Spēcīgā traucējumu ietekme izpaužas ierakstos diezgan lielā attālumā, vairāk nekā 60-80 m no akas galviņas.
Programma adaptīvai radiālo ātrumu izvēlei, pamatojoties uz tiešā viļņa pirmo ierašanās hodogrāfiem
Datu apstrādei tiek izmantota specializēta programmatūra. Šajā gadījumā izmantotā datu vākšanas un apstrādes programma veido elastīgo viļņu izplatīšanās ātrumu koordinētu vērtību telpisku paraugu pa līknes seismiskiem stariem. Pamatojoties uz šādu paraugu, pa patvaļīgi noteiktām plaknēm var iegūt vertikālus un horizontālus ātrumu griezumus, kas atspoguļo elastīgo viļņu ātrumu telpisko sadalījumu augsnes masīvā.Radiālo ātrumu aprēķināšanas algoritms ir balstīts uz minimālā pārvietošanās laika principu pa staru starp avotu un uztvērēju. Radiālo ātrumu atlase tiek veikta, izmantojot iteratīvu algoritmu, līdz tiek sasniegta noteiktā minimālā novērotā brauciena laika atšķirība un aprēķināta pēc teorētiskā hodogrāfa plānslāņa modelim ar patvaļīgu ātrumu sānu sadalījumu slāņos. Programmu var izmantot abpusējām novērošanas shēmām - tiešajam un reversajam VSP.
Pirmo ierašanās laiku lauka anomāliju aprēķins, izmantojot virkni profilu uz virsmas
Invertētā VSP datu apstrādes programma nodrošina dažādu ierakstīto viļņu kinemātisko un dinamisko parametru aprēķinu. Konkrēti, pirmo ierašanās laiku lauka horizontālās sekcijas tiek aprēķinātas dažādiem avota atrašanās vietas līmeņiem akā. Šī lauka anomālijas ir tieša un visredzamākā pazīme lokālu neviendabīgumu klātbūtnei garenviļņu ātruma izplatīšanā augsnes masīvā.
Horizontālo ātruma posmu aprēķins
Apstrādājot iegūto datu masīvu no novērojumu profilu kopas uz virsmas, tiek savākts telpisks 3-dimensiju koordinētu ātruma vērtību paraugs, kas saistīts ar dažādiem seismisko staru segmentiem. Šī parauga datu ģeoloģiskai interpretācijai tiek aprēķināti horizontālie un vertikālie ātruma posmi, kas atspoguļo augsnes masiva un pamatiežu lokālās neviendabības.Apkopošanas paraugs visām urbumiem daudzstūrī ir telpiska punktu kopa ar ātruma vērtībām, kas ir līdzīga ātruma kubam, kas iegūts, apstrādājot parāstos 3D seismiskos datus. Sekojošā ātruma sadalījuma analīze masīvā tiek veikta, izmantojot iegūtā telpiskā parauga nejauši orientētu vertikālu un horizontālu sekciju sēriju. Šādas horizontālas sekcijas piemērs +110 m absolūtā augstumā (apmēram 90 m dziļumā no virsmas) ir parādīts attēlā pa kreisi.
Ātruma posmu aprēķins pa patvaļīgi norādītu vertikālo plakņu sēriju
Ātrumu vertikālos griezumus var veidot, izmantojot patvaļīgi noteiktas vertikālo plakņu kombinācijas, kuru projekcijām uz dienas virsmu ir lauztas līnijas forma. Dažos gadījumos var būt ieteicams izveidot sekciju pa slīpu plakni, izgriežot koordinētu ātruma vērtību telpisku paraugu patvaļīgi noteiktā leņķī.
Attēlā parādīts garenviļņu ātruma vertikālā griezuma piemērs pa profilu, kas iet cauri diviem ģeotehniskajiem urbumiem, no kuriem viens atrodas paātrinātas zemes virsmas iegrimšanas zonā virs ūdens aizsprostotas raktuves atveres sāls slaņā.
Ātruma kuba Vp uzbūve, pamatojoties uz negarenvirziena vertikālās seismoakustiskās profilēšanas datiem
Izmantojot šo novērošanas sistēmu, ir iespējams iegūt elastīgo viļņu ātrumu sadalījumu tuvās akas telpā, kurai ir apgrieztas piramīdas forma ar pamatni uz novērošanas virsmas. Tuvojoties akai, pētāmās telpas platības dziļums palielinās, bet tā šķērseniskie izmēri horizontālajā plaknē samazinās.Garenviļņu izplatīšanās ātrumu kubs ir konstruēts, pamatojoties uz telpiski koordinētu aprēķināto ātrumu paraugu plānu slāņu robežās seismisko staru laušanas punktos no virsmas avotiem līdz uztvērējiem akās. Tādējādi tas atspoguļo vispārinātu patieso ātrumu sadalījuma modeli urbuma telpā.Dotās datu kuba sadaļas nav paredzētas izmantošanai nekādās dokumentētās lietojumprogrammās - sadaļās, kartēs utt. To mērķis ir sniegt vizuālu priekšstatu par iespējamo liela ātruma anomāliju lokalizāciju, izmēru un konfigurāciju iežu masīvā pētījumu vietā.
Struktūru vibrāciju izpēte


Vibrāciju avotu un spektrālā sastāva izpēte būvlaukumā
Svarīgs faktors konstrukcijas vibrācijas pretestībā ir tās pašas rezonanses frekvenču un dominējošo vibrācijas frekvenču attiecība, kas izplatās pamatnes masā. Vibrāciju mērījumus veic ar trīskomponentu pārvietojuma sensoriem vai akselerometriem pasīvā režīmā. Diezgan ilgos laika periodos (minūtēs, desmitos minūtēs) iegūto ierakstu spektrālā analīze dažādās ēkas vai projekta būvlaukuma daļās ļauj identificēt dažādu vibrācijas veidu maksimālās frekvences un to avotus (mikrozeisms, transporta troksnis, vibrācijas). darbības mehānismiem).

Grunts pamatu vibrācijas autotransporta ietekmē
Visizplatītākais vibrācijas ietekmes veids ir satiksmes troksnis. Vibrāciju vertikālo un horizontālo komponentu spektrālais sastāvs augsnes masā, viļņiem pārejot no mehāniskajiem transportlīdzekļiem, būtiski atšķiras.
Horizontālo komponentu spektri ir ievērojami bagātināti zemās frekvencēs, kas ir visbīstamākās konstrukciju pamatiem. Tomēr horizontālo komponentu pārvietojumu amplitūda parasti ir vairākas reizes mazāka nekā vertikālajā komponentē
Virsmas viļņu enerģijas vājināšanās analīze

Virszemes viļņu lauka seismogramma (zemāk par straumi no Pļaviņas hidroelektrostacijas aizsprosta)




Virsmas viļņu enerģijas vājināšanās daudzpozīcijas analīze
Tradicionālajās semisiskās inženiertehniskās izpētes metodēs, kad elastīgās vibrācijas uzbudina triecienvirsmas avoti vai pārklājušās un seklas lādiņi, lielākā enerģijas daļa tiek tērēta zemfrekvences zema ātruma viļņu ģenerēšanai. Kad šie viļņi izplatās gandrīz virszemes augsnes masivā, kurai ir mainīgas fizikālās īpašības, tie tiek atspoguļoti no vietējām nehomogēnām īpašībām, kā rezultātā reģistros var rasties paaugstinātas virsmas viļņu enerģijas vietējas anomālijas konverģences dēļ. Šādas anomālijas var liecināt par cieto atstarojošo virsmu klātbūtni, jo īpaši vertikālā lūzuma zonām un pārtraukumiem augsnes un pamatiežu masīvos. Virsmas viļņu enerģijas analīzes metodes pamatā ir no frekvences atkarīga absorbcijas koeficienta noteikšana, kas, savukārt, ļauj novērtēt dažādu harmoniku vājināšanos un to spektru frekvences komponentus dažādos dziļumos vibrācijas iespiešanās augsnes biezumā atkarībā no viļņa garuma.
Programmas darba logs virszemes trasu attiecību viļņu spektru aprēķināšanai
Virszemes viļņu enerģijas vājinājuma parametrs tiek aprēķināts no spektrālo komponentu attiecībām seismisko ierakstu pēdu pāriem, kas atrodas vienādā attālumā no to kopīgā viduspunkta profilā. Aprēķinot attiecības, viļņu enerģijas vājināšanās frontes ģeometriskās novirzes dēļ tiek ņemta vērā saskaņā ar apgrieztās atkarības likumu no attāluma starp ceļiem kvadrātsaknes. Ar lielu pārklāšanās novērojumu biežumu ar katru viduspunktu saistīto pēdu skaits saskaņā ar ierakstiem no dažādiem avotiem ir liels, kā rezultātā tiek panākts spēcīgs statistiskais efekts, līdz minimumam samazinot kopumā spēcīgās spektru svārstības, ko rada atšķirības gandrīz ģeofona uzstādīšanas virsmas apstākļi.
Garenvirziena viļņu ātrumu un virsmas viļņu enerģijas pavājināšanās gar profilu Pļaviņas hidroelektrostacijas aizsprosta lejpus
Aprēķina rezultāts ir virsmas viļņu enerģijas absorbcijas koeficienta vērtību divdimensiju skenēšana dziļumā un gar masīva profilu (kvazigriezumu). Dziļumu, uz kuru attiecas aprēķinātā absorbcijas koeficienta vērtība, nosaka dziļums, kurā ir ierobežota atbilstošās frekvences komponentes maksimālā enerģija, kas, savukārt, ir atkarīga no tā fāzes ātruma. Tāpēc visefektīvākā ir virsmas viļņu (MASW) datu daudzkanālu analīzes kopīga interpretācija un no frekvences atkarīgā absorbcijas koeficienta aprēķināšana. Saikne starp absorbcijas koeficientu un garenviļņu ātrumiem ir mazāk nozīmīga, tomēr arī šeit var novērot noteiktas pētāmā griezuma raksturlielumu kvalitatīvas atbilstības, izmantojot divas neatkarīgas metodes.
Garenvirziena viļņu ātruma griezums un virsmas viļņu enerģijas pavājināšanās mīnu lauka vietējās pazemināšanās vietā virs pazemes sāls raktuvēm
Zemāk esošo garenisko viļņu izplatīšanās ātrumu un virszemes viļņu enerģijas pavājināšanās posmu aprēķināšanas rezultāti ir balstīti uz materiāliem, kas iegūti Krievijas Zinātņu akadēmijas (Permas) Urālu filiāles Kalnrūpniecības institūta Aktīvās seismoakustikas nodaļā.
Absorbcijas koeficienta (zilās krāsas) pozitīvās vērtības atbilst apgabaliem ar mazu garenvirziena viļņu ātrumu virszemes grunts kritienā. Nenormāli apgabali ar negatīvām absorbcijas koeficienta vērtībām (sarkanām krāsām) atbilst vietām, kur “barojas” virsmas viļņa “enerģija”, pateicoties refleksijai un izkliedei pie iespējamām klinšu masas vertikālās sašķelšanās un saspiešanas zonu robežām.
Garenvirziena viļņu ātruma griezumi atbilstoši inversam VSP un virsmas viļņu vājinājumam
Šajos griezumos virsmas viļņu enerģijas palielināšanas zonas izpaužas, ņemot vērā refleksijas iespējamjā vertikāljā lūzumā un akmeņu masas saspiešanā uz mīnu lauka virsmas paātrinātas nogrimšanas zonas robežās virs izlietotajām pazemes sāls raktuvjēm.
Daudz-elektrodu elektriskā zondēšana (elektrotomogrāfija)


Uzbēruma un morēnas grunšu ģeoelektriskie griezumi HES dambja projektēta rezerves pāgāznes joslā
Augšpusē ir griezums ar augstas pretestības sausu smilšu slāni HES apakšstacijas apgabalā, kas pārklāj ar ūdeni piesātinātu morēnas smilšmālu biezumu plānotā rezerves pārgāznes vidusdaļā. Apakšā ir griezums ar mitru aluviālo smilšu un morēna smilšmāla slāni, kas atrodas uz pamatiežu dolomītiem proektēta krītgultnes akas posmā aizsprosta apakšējā bjefā. Šajā griezumā tiek izstrādātas aktīva un aprakta karsta izpausmes, kuras var redzēt šķietamās pretestības griezumā tās zemāko vērtību sadaļu formā, kā arī ātruma Vp un Vs griezumos saskaņā ar šeit veiktajiem seismisko pētījumu datiem. Urbjot ģeotehniskos urbumus, tika konstatēts, ka pie morēnas un pamatiežu virsmas robežas ir dēdētie dolomīti un dolomīta milti.
Morēnas grunšu ģeoelektriskais griezums gar avārijas pārgāznes asi
Ģeoelektriskais griezums gar profilu gar padziļinātās ledāja ielejas dibenu, kas piepildīta ar morēnas smilšmāliem un rupjiem fluvioglaciāliem nogulumiem.Griezumā zemas pretestības daļas parāda vietas, kur virsmai ir pakļauti ar ūdeni piesātināti morēnas smilšmāli. Paaugstināta pretestība ir raksturīga apgabaliem ar lielu rupja materiāla - oļu, grants, laukakmeņu - saturu, ko apstiprina statiskās un dinamiskās zondēšanas un urbšanas dati. Profila sākotnējā daļā vairāk nekā 20 m dziļumā, visticamāk, apraktās ielejas malas daļā tiek parādīta rupjas, clastic fluvioglacialā materiāla uzkrāšanās.
Ģotehnisko un ģeofizikālo grunts izpētes būvlaukumos








Lielu dabiskas izcelsmes svešķermeņu (akmeņu) attēlošana GPR griezumā
Garenvirziena viļņi
Lai iegūtu garenviļņu izplatīšanās ātrumus Vp, tiek izmantoti refrakcijas viļņu metodes dati. Piemērs šāda veida viļņu reģistrācijai pirmajos ienākumos, tā hodogrāfa interpretācija trīsslāņu modeļa ietvaros, izmantojot refrakcijas viļņu metodi, un grafiks par nepārtrauktām ātruma izmaiņām Vp ar dziļumu, izmantojot refrakcijas viļņu metodi ir parādīti zemāk esošajos attēlos.

Piemērs refrakcijas viļņa ierakstīšanai pirmajās pienakšanas
Bīdes viļņi
Bīdes viļņu ātrumus Vs var iegūt, izmantojot vienkāršāko lauka tehnoloģiju, daudzkanālu Reilija virsmas viļņu (MASW) metodi. Šajā gadījumā tiek izmantots tāds pats vertikālo ģeofonu lauka izvietojums kā ar refrakcijas viļņu metodi. Virszemes viļņiem ir raksturīgas zemas frekvences un fāzes ātrumi, tāpēc to ierakstīšanai parasti tiek izmantojot 2-4 reizes ilgāku ierakstīšanas ilgumu.


Paraugu ņēmēji augsnes paraugu iegūšanai ar trieciena un rotācijas metodēm.
a) - loga tipa piedziņas paraugu ņemšanas ierīce, b) - piedziņas paraugu ņemšana ar noņemamu griešanas kurpi un plānsienu ieliktņa uzmavu, c) - paraugu ņemšanas ierīce ar noņemamu karbīda vainagu netraucētu paraugu ņemšanai ar rotācijas metodi.



Bīdes viļņu izplatīšanās ātruma Vs un statiskās zondēšanas parametru statistiskās atkarības dažāda veida morēnas augsnēm.



Izmantotais ģeofizikālo un ģeotehnisko metožu komplekss tiek pielietots grunts īpašību un stāvokļa sākotnējo pētījumu stadijā pirmās un otrās būvniecības kategorijas objektos. Otrās būvniecības kategorijas (LVS EN ISO 1997-1:2008) nelielas platības vienstāvu ēku pamatu veida pamatojuma gadījumā pētījuma rezultātus var izmantot arī tehniska projekta sagatavošanas stadijā par būvējamo konstrukciju.Tiek veikti mazdziļumie ģeofiziskie uzmērījumi, lai iegūtu vispārīgu ģeoloģisko informāciju par grunts masīva struktūru un tā mainīgumu noteiktajā apbūves teritorijā. Parasti šajā posmā tiek noteikts kopējais augsnes biezums līdz pamatieža jumtam, bīstamu un būvniecībai nelabvēlīgu zonu klātbūtne augsnē, piemēram, karsts, vāju un kūdrainu augsņu slāņi, aptuvenais tiek aprēķināts gruntsūdens virsmas dziļums.Otrajā posmā tiek veikti faktiskie ģeotehniskie pētījumi, lai noteiktu būves grunts fizikāli-mehāniskās un deformācijas noturības īpašības, pamatojoties uz urbšanu ar grunts paraugu atlasi laboratorijas analīzēm un dažādām lauka metodēm izpētei tiek veiktas augsnes masīva īpašības izpētes in situ.
Ģeofizisko profilu shēmas
Ģeofizikālās metodes ietver profila vai teritorijas ģeoradara zondēšanu, izmantojot uztverošās-izstarojošās antenas dažādos frekvenču diapazonos. Atsevišķi profili ir izvietoti vai nu krusta formā ar krustojumu zonas centrā, vai arī tīkla veidā, kas ir paralēls viens otram. Attālums starp atsevišķiem profiliem parasti ir no 5 līdz 20 m vai vairāk, atkarībā no vietas lieluma un uzticētajiem uzdevumiem.Veicot teritorijas darbus, ir nepieciešams sabiezēt profilu tīklu līdz 2-3 m attālumā. Šajā gadījumā ir iespējams izveidot 3-dimensiju augsnes masīva struktūras modeli. Atsevišķus seismiskos profilus var norādīt arī kā krustojumu ar krustpunktu vietas centrā vai pa diagonāli, vai kā paralēlu profilu sēriju.
Ģeofizikālo metožu tehniskie līdzekļi
Ģeofizikālo metožu tehniskie līdzekļi ietver zemes penetrācijas radaru Zond-12E ar daudzfrekvenču gaisa dipola komplektu un kontaktu ekranētām antenām. Dipola antenu konfigurācija ļauj izmantot izstarotās impulsu frekvences 37,5 MHz, 75 MHz un 150 MHz, kas ļauj teorētiski sasniegt pētāmā posma dziļumu 25-15 m. Augstfrekvences ekranētu antenu ar zondēšanas impulsu teorētisko dziļumu 900 MHz un 1,5 GHz frekvences ir attiecīgi 6 m un 3 m. Tomēr patiesībā izpētes dziļums, parasti to ierobežo augsnes piesātinājuma pakāpe ar ūdeni un gruntsūdeņu sāļums. Labvēlīgos gadījumos sausās smilšainās augsnēs dziļums var pārsniegt augstākminētās teorētiskās vērtības.Mazdziļumās seismiskās izpētes tiek veiktas, izmantojot telemetrisko seismisko reģistrēšanas sistēmu, tostarp attālos 16 kanālu moduļus zemes daļiņu vibrāciju radīto seismisko signālu ierakstīšanai, interfeisa blokus signālu savākšanai un pārraidīšanai digitālā formā, ierakstīšanas lauka datoru un 8. kanālu sekciju kabeļi ar seismiskos signālus ģeofona uztvērējiem . Attālināto moduļu un attiecīgi ar datoru savienoto ģeofona sekciju skaits ir atkarīgs no risināmās problēmas sarežģītības, nepieciešamā izpētes dziļuma un pētāmās teritorijas lieluma. Parasti mazos būvlaukumos tiek izmantots 32 kanālu lineārais ģeofona izkārtojums ar garumu 31 m vai 62 m ar kanāla soli 1 m vai 2 m Svārstības tiek ierosinātas ar āmura sitieniem pa tērauda plāksni uz zemes virsmas nepārkāpjot augsnes masīva nepārtrauktību.
Iekārtas ģeotehniskajām metodēm
Lai noteikt augsnes masīva struktūras dziļumu, jo īpaši, robežu telpisko stāvokli starp augsnēm ar dažādām fizikālajām īpašībām, noteikt augsnes tipu, kā arī novērtēt dažādu slāņu prognozējamo augsnes fizikālo un mehānisko īpašību ticamību objekta atskaites punktos, tiek urbti akas ar grunts paraugu ņemšanu un veikta grunts dinamiskā zondēšana, lai sadalītu posmu slāņos. Šāda veida darbu veikšanai tiek izmantota universāla pārnēsājama iekārta UDPL-8, kas apvieno urbšanas bloku un vieglo dinamisko zondēšanas iekārtu (DPL).Akas urbšana līdz 8 m dziļumā tiek veikta rotācijas režīmā ar urbšanas instrumentu, ko darbina vienfāzes vai 3 fāzes elektromotors ar ātrumkārbu ar jaudu 1,5-3,0 kW. Ir iespējams izmantot maināmus elektromotorus. Elektromotoru darbina benzīna agregāts vai dīzeļģenerators ar jaudu 2,0-4,0 kW. Izmantotais urbšanas instruments ir 1 m gari gliemeži ar diametru 47-69 mm vai serdes paraugu ņemšanas ierīce ar urbja galu karbīda uzgaļa formā un stieņus ar diametru 20 mm. Urbšanas reisa garumu ierobežo urbšanas stieņu izmērs - 1 m. Īso stieņu izmantošanu nosaka zemais uzstādīšanas augstums (2,2 m) un ļauj ērti nomainīt apakšējo svārpstu pret serdes paraugu ņemšanas ierīci un atpakaļ. Pēc nākamā izurbšanas intervāla ar svārpstu šādā veidā tiek ņemts augsnes paraugs nākamajā dziļumā.
Pārnēsājama kompakta dinamiskās zondēšanas iekārta saskaņā ar ASTM D6951-03 standartu
ar maza diametra dzenamu augsnes nesēju.
Dažos gadījumos ir nepieciešams veikt augsnes pārbaudi vietās, kur piekļuve nav iespējama pat ar vieglu universālu DPL ierīci. Šim nolūkam tiek izmantots pārnēsājamo iekārtu komplekts, tostarp manuāla gliemeža urbšanas iekārta akām līdz 3-4 m dziļumam un pārnēsājama viegla dinamiskās zondēšanas iekārta, kas izgatavota saskaņā ar ASTM D6951-03 standartu.Veicot dinamisko zondēšanu, 8 kg smaga āmura kritiena augstums ir 575 mm, konusa gala pamatnes diametrs 20 mm, pamatnes laukums 3,14 cm2, leņķis konusa virsotnē 60°, stieņu diametrs ir 16 mm. Āmurs tiek pacelts līdz krišanas augstumam manuāli. Maksimālais zondēšanas dziļums 6 m.
Ar ģeofizikālām metodēm risināti uzdevumi
Ģeoradara zondēšana
Viens no galvenajiem ģeoradara zondēšanas uzdevumiem ir identificēt augsnes masīvā esošos svešķermeņus, kas kavē būvniecību, piemēram, iepriekšējo konstrukciju paliekas, lielus būvgružu fragmentus, kā arī lielus dabas objektus – laukakmeņus, kas bieži sastopami morēnās un fluvioglaciālajā, dažreiz aluviālās augsnēs. Attēlā parādīts GPR griezuma piemērs ar skaidri redzamu anomālu zonu difrakciju sērijas formā ar maksimumu aptuveni 1 m dziļumā.Tā kā pētījums tika veikts teritorijā ar nojauktu 60. gadu ēku, tika pieņemts, ka anomālā zona ir saistīta ar ierakta betona pamatu paliekām, kas apstiprinājās grunts rakšanas laikā, gatavojot jaunas ēkas pamatus.Vēl viens liela svešķermeņa lokalizācijas piemērs augsnes masīvā ir parādīts šīs sadaļas nākamajā lapā "Būvkonstruksiju atlīkumu lokalizācija augsnēs". GPR griezums fiksē intensīvu atspīdumu 2,0-2,4 m dziļumā no blīva izvērsta objekta plānā 30x60 m. Objekts tika identificēts kā betona plātņu pamats vai pagraba stāvs, kas iepriekš pastāvēja šajā ēkā atrašanās vieta. Grunts rakšana apstiprināja 30-40 cm biezas betona plātnes klātbūtni zemē ar kabeļu un cauruļu komunikāciju paliekām.

Ģeoradara griezumā attēlot uzbēruma grunts pamatu eroziju sufozīta ietekmē
Mazdziļumā seismiskā izpēte
Galvenie mazdziļumās seismiskās izpētes uzdevumi apsekošanas vietā ir sadalīt grunts masīva virspusējās daļas posmu slāņos, kas atšķiras pēc fizikāli-mehāniskajām un deformācijas-stiprības īpašībām. Augsņu elastīgās īpašības, piemēram, Janga elastības modulis, šķērsbīdes modulis un Puasona koeficients, tiek aprēķinātas no garenvirziena un šķērsviļņu izplatīšanās ātrumiem.

Garenvirziena viļņu ātrumu Vp aprēķināšanas rezultāti, izmantojot trīsslāņu un gradienta ātruma modeli
Apstrādes laikā tiek veikta lauka seismogrammas divdimensiju Furjē transformācija fāzes ātrumu matricā, izvēloties dispersijas līknes un to inversiju vienam vai vairākiem virsmas viļņu režīmiem (modam) bīdes viļņu izplatīšanās ātruma slāņainā modelī, kas attēlo slāņa grafiku - pa slāņiem izmaiņas ātrumā Vs ar dziļumu.Ģeomehāniskos parametrus - blīvumu, porainību, kopējo deformācijas moduli, iekšējās berzes leņķi un īpatnējo saķeri novērtē arī, izmantojot garenvirziena Vp un šķērsvirziena Vs viļņu ātrumus, bet pamatojoties uz iepriekš iegūtām un vietējiem apstākļiem atbilstošas lokālās empīriskās korelācijas atkarības un augsnes veidi.

Urbšana un augsnes paraugu ņemšana laboratorijas pārbaudēm
Urbšanu var veikt vairākos režīmos, izmantojot gliemežu un gredzenveida griezējinstrumentus. Vispiemērotākā tehnoloģija, lai iegūtu pilnīgāku informāciju par augsnes pamatnes īpašībām, ir tehnoloģija, kas ir līdzīga standarta iespiešanās zondēšanas - SPT (EN ISO-22476-3:2002) testēšanas procedūrai. Saskaņā ar šo shēmu vispirms ar gliemežnīcu tiek izurbta aka 1,5 m dziļumā no virsmas, izvēloties un aprakstot augsni, kas tiek nogādāta spirālveida lente. Pēc tam svārpstas rīks tiek pacelts un dzenošā vai rotējošā tipa augsnes paraugu ņēmējs tiek nolaists akā līdz apakšai.Izmantojot trieciena paraugu ņemšanas ierīcii, elektromotors ar pārnesumkārbu tiek novirzīts prom no akas galvas un tā vietā tiek pārvietots dinamiskas zondēšanas trieciena bloks. Uz urbjstieņa augšpuses ir uzskrūvēta galva ar laktu, kas tiek sasista ar 10 kg smagu āmuru, brīvi krītot no 500 mm augstuma. Paraugu ņēmējs tiek ievietots augsnē 15 cm dziļumā, un triecienu skaits netiek skaitīts. Turpinot paraugu ņemšanas ierīces ieviešanu 30 cm dziļumā, tiek aprēķināts kopējais triecienu skaits N30 noteiktā atradnes dziļumā. Šis skaitlis ir analogs sākotnējai aprēķinātajai vērtībai, ko izmanto SPT metodē, lai iegūtu dažus 30 cm augsnes intervāla ģeomehāniskos raksturlielumus.Lai sasniegtu N30 skaitļus līdz SPT standartā norādītajai vērtībai, tiek izmantoti atbilstoši vietējie koeficienti, ņemot vērā āmura svaru, tā kritiena augstumu un paraugu ņemšanas ierīces diametru. Virsmai atgūtā augsne ir aprakstīta un izmantota, lai savāktu paraugus laboratorijas testiem.
Dinamiskā zondēšana ar vieglo vienību (DPL)
Augsnes dinamisko zondēšanu veic kopā ar urbšanu vai nu alternatīvās urbšanas variantā ar 1,5 m intervālu un paraugu ņemšanu ar intervālu 0,5 m dziļumā, vai arī to veic nepārtrauktas zondēšanas režīmā atsevišķos punktos. Jo īpaši dinamiskās zondēšanas punkts var atrasties netālu no ģeotehniskās akas vismaz 30 cm attālumā no tās ietekas. Pamatojoties uz dinamiskās zondēšanas rezultātiem, sadaļā tiek identificēti slāņi ar atšķirīgu nestspēju un šie dati tiek sasaistīti ar slāņu litoloģiskajām īpašībām pēc urbšanas datiem.Formālai pārejai uz svarīgākā ģeotehniskā grunts parametra – kopējās deformācijas moduļa – definīciju Eurocode 7 BS EN 1997-2:2007 standarts (G pielikums) atļauj izmantot viendabīgas un neviendabīgas sausas un ar ūdeni piesātinātas smilšainas grunts. sakarības starp sitienu skaitu N10H DPH uzstādīšanai un qc zondes īpatnējo pretestību grunts iegremdēšanai statiskās zondēšanas (CPT) laikā.N10L trieciena līkne, kas iegūta ar izmantoto vieglā tipa instalāciju (DPL), vispirms ir jāpārveido par N10H trieciena līkni smagā tipa instalācijai (DPH), izmantojot Eirokodeksā 7 – BS EN 1997-2:2007 norādītās attiecības. Pēc tam parametru qc, izmantojot atbilstošās formulas, pārvērš deformācijas modulī un iekšējās berzes leņķī
Ģeofizikālo un ģeotehnisko metožu datu integrēta izmantošana
Dinamiskās zondēšanas datiem diagrammas veidā par standartizēto triecienu skaitu N10 uz 10 cm zondes iegremdēšanas ir diezgan labi pārbaudītas korelācijas ar šķērsviļņu izplatīšanās ātrumu Vs - vienu no galvenajiem fizikālo un mehānisko īpašību aprēķināšanas parametriem, galvenokārt to elastības moduļi. Tādējādi plaši izmantotajā SeisImager programmatūras pakotnē seismisko datu apstrādei no OYO-Geometrics (ASV) tiek piedāvāta attiecība Vs = 97,0*Nexp(0,314), kas aprēķināta visu veidu augsnēs, starp ātrumu Vs un triecienu skaitu N (attēls - kreisajā pusē).Tomēr liels skaits pētnieku norāda uz dažādu konstantu vērtību esamību iepriekš minētajā izteiksmē dažādiem augsnes veidiem. Līdz ar to mūsu iegūtajiem rezultātiem par morēnas augsnēm Latvijas pārdziļinātās ledāju un kanālu ielejās ir raksturīgas lielākas Vs ātrumu vērtības līdzīgam triecienu skaitam, salīdzinot ar OYO-Geometrics atkarību. Tajā pašā laikā irdenām smilšainām glaciolakustrīna, eolām un aluviālajām vēlīnā kvartāra augsnēm Latvijā ar līdzīgu triecienu skaitu novērojamas ievērojami zemākas Vs ātrumu vērtības.
Vairākos gadījumos ar zināmu augsnes tipu, izmantojot ātrumus Vs, var iegūt paredzamus aprēķinus par pretestību pret konusa iespiešanos qc statiskās zondēšanas laikā, kā arī par sānu berzes attiecību fs/qc pret pretestību, kas ir labs indikators augsnes masas sadalīšanai smilšu un māla kārtās .
Kā liecina prakse, triecienu skaita N10 grafiki un no tiem aprēķinātie augsnes raksturlielumi ļauj pilnīgi iespējams atšķirt slāņus ar dažādām fizikālajām īpašībām augsnes masīva griezumā, lai gan bez iespējas identificēt smilšainās un mālainās atšķirības. Grafikos iezīmētie slāņi tiek parādīti GPR sadaļās intervālu veidā, kas atdalīti ar atstarojošām robežām.Parasti visspēcīgākā atstarojošā robeža viendabīgās smiltīs, kas saistīta ar pilnīga ūdens piesātinājuma virsmu un blīvu pamatiežu virsmu, ir visskaidrāk redzama. Attēlā redzamie N10 grafiki parāda pakāpenisku blīvuma pieaugumu dēdēšanas karbonāta pamatiežu pārejas zonā.Kreisajā pusē ir piemērs litoloģiskās kolonnas salīdzinājumam no urbšanas datiem, GPR griezums un N10L triecienu skaita grafiks ar aprēķinātajiem ģeotehniskajiem parametriem aluviālo smilšaino augšņu masīvam ar sekla dēdēšanai pakļautu pamatiežu dolomītu.
Visaptverošo ģeofizikālo un ģeotehnisko pētījumu gala rezultāts būvlaukumā ir konsolidēts ģeotehniskajs griezums. Griezumā attēlotas grunts litoloģiskās kolonnas, dinamiskās zondēšanas laikā iegūto galveno deformācijas parametru grafiki, šo parametru vidējās vērtības izvēlētajiem inženierģeoloģiskajiem elementiem (GTE), grunts paraugu ņemšanas vietas laboratoriskai analīzei, kā arī zemes virsmas reljefa atzīmes un gruntsūdeņu līmenis. Nepieciešamības gadījumā tiek parādīti grunts aprēķināto stiprības un deformācijas parametru grafiki, kas iegūti no lokālām empīriskām atkarībām no garenvirziena un šķērsviļņu izplatīšanās ātrumiem.Griezumam pievienotas katra inženierģeoloģiskā elementa izmērīto un vidēji aprēķināto augsnes parametru tabulas, kā arī to standarta vērtības atkarībā no faktiskajiem augsnes tipiem. Šie dati kalpo par pamatu veida izvēlei, tā dziļuma noteikšanai un atsevišķos gadījumos arī projektētās konstrukcijas vispārējo arhitektonisko parametru, piemēram, stāvu skaita un būvmateriālu veida izvērtēšanai.
Lentveida pamatu bloku klāšana 1,2 m dziļumā.
Attēlā parādīts piemērs vienkāršāko un ekonomiskāko saliekamo lentveida pamatu ieklāšanai objektā, kas apsekots, izmantojot ģeofizikālās metodes, dinamisko zondēšanu un seklu urbumu urbšanu. Ģeoloģiskās struktūras izpētes rezultāti šajā apgabalā ir parādīti attēlā augšā. Būvlaukumā 1,2 m dziļumā izvēlēts vājo grunts augšējais slānis ar zemu nestspēju, kura deformācijas modulis pēc dinamiskās zondēšanas datiem ir ne lielāks par 4 MPa. Apakšējie pamatu bloki tiek likti uz blīvu smilšainu grunts virsmu ar deformācijas moduli 10 MPa un iekšējās berzes leņķi 28°. Grunts ar šādiem parametriem, atbilstoši LVS EN ISO 1997-1:2008 standartiem, spēj izturēt divstāvu ēkas gāzbetona sienu slodzi. Vietnē netika konstatētas arī gruntsūdeņu izpausmes, kuru horizontālā virsma pēc ģeofizikālajiem datiem noteikta 1,9 m dziļumā.
Būvkonstruksiju atlīkumu lokalizācija augsnēs


Augsnē identificētā objekta apstiprinājums sekojošas atvēršanas rezultātā
Veicot būvdarbus, bieži rodas uzdevums lokalizēt augsnē iepriekšējo konstrukciju pamatu paliekas. Šis uzdevums ir īpaši aktuāls, projektējot pāļu pamatus, nesagatavojot atbilstošās bedres būvlaukumā. Bieži vien, nojaucot vecās ēkas, nav iespējams pilnībā noņemt visdziļāk ierakušās masīvās veco pamatu daļas. Šīm pārsvarā betona paliekām ir ļoti kontrastējošas fizikālās īpašības ar apkārtējām augsnēm. To virsmas attēlo robežas, pie kurām notiek krasas akustiskās un elektromagnētiskās pretestības izmaiņas, kas ļauj tās kartēt, izmantojot seismoakustiskās un ģeoradara zondēšanas metodes.
Piemērs veco pamatu atlieku lokalizācijai sporta bāzes būvlaukumā.
Visplašāk izmantotā metode svešķermeņu lokalizēšanai augsnes masīvos ir ģeoradara skēnešana. Tas ir vienkāršākais lauka darbu tehnoloģijas ziņā un ļauj ātri apsekot diezgan lielas platības. Arī datu apstrāde ir diezgan vienkārša, taču prasa daudz vairāk laika. Lauka tehnoloģijas vienkāršība ļauj izstrādāt diezgan blīvu profilu tīklu apsekojuma vietā, kas ļauj pēc tam pāriet no divdimensiju sekcijām gar profiliem uz pētāmās augsnes masas trīsdimensiju attēlojumu.
Objektā ir izstrādāts ģeoradara profilu tīkls, izmantojot dažāda veida raidošās un izstarojošās antenas ar zondēšanas impulsu frekvencēm 75 MHz, 150 MHz un 900 MHz. Attēlā ir parādīti piemēri izvērsta svešķermeņa attēlošanai dziļumā no 1,8 līdz 2,2 m uz ģeoradara griezumiem, kas iegūtas dažādās zondēšanas impulsa frekvencēs.
Izmeklēšanas hidrotehnisko konstrukciju uzbūvei

Kalnu aizsprosta vērums uz Inambari upes (Peru)



KDP un Vp ātrumu griezumi caur aizsprostu vērumu uz Inambari upes (Peru)
Augsnes masīvu un pamatiežu izpēte lielu rūpniecisko hidrotehnisko objektu apsekojumu laikā tiek veikta, izmantojot visplašāko daudzviļņu inženieru seismiskās izpētes metožu kompleksu: uz atstarotiem, refraģētiem un virsmas viļņiem. Attēlā parādīts KDP griezums, kurā parādīts pamatiežu virsmas profils, un garenviļņu ātruma griezums, kas raksturo dēdēšanas garozas masīva īpašības gar profilu caur projektētā aizsprosta verumu uz Inambari upes (Peru). Tiek izsekota plaša zema ātruma zona, kas atbilst izturēja iznīcināta argilītes slāņa iziešanai uz virsmu starp metamorfizēto kvarca smilšakmeņu.
Daudzviļņu seismiskā izpēte kombinācijā ar urbšanu un iespiešanās zondešanu
Lai novērtētu avārijas noplūdes kanāla sienu stabilitāti un augsnes ipašības klasificēšanu, tika izmantotas garenviļņu (augšējā), šķērsviļņu (vidējā) ātrumu griezumi un ģeoelektriskais griezums (apakšā), kas raksturo augsnes ūdens piesātinājumu, kā arī ģeotehnisko urbšanu, augsnes statisko (CPT) un standarta (SPT) zondēšanu datus tās rakšanas laikā. Pļaviņas hidroelektrostacija pie Daugavas.
Piekrastes un pludmales stiprības augsnēs izkartojuma apstākli



Balasta izgāšanas ģeoradara griezums krastmalas sabrukšanas vietā
Ekranētas augstas frekvences antenas izmantošana ir efektīvāka pilsētu teritorijās, nosakot augsnes noblivejumu zonas zem ceļu un brauktuves cietajiem segumiem noteikšanai. Zemāk redzamajā attēlā parādīts uzbērumā grunts masīva pamatotu datu interpretācijas piemērs. Zem bruģa un šķembu uzbērumiem tiek izsekotas palielinātas atstarošanās amplitūdas un novēlots to reģistrācijas laiks, kas saistīts ar iespējamām noblivejumu zonām un paaugstinātu ūdens piesātinājumu smilšainā augsnē.
Rīgas jūras ostas pasažieru piestātnes krastmalas cietās virsmas iespējamās pazemināšanās vietu identificēšana. Ģeoradara griezums, kas iegūts ar ekranētu augstfrekvences antenu (900 MHz), atspoguļo krastmalas augsnes pamatnes posmu intensīvu nosmakšanas procesu vietā ar smalku smilšu frakciju noņemšanu upē.
Krastmalas grunts pamata struktūras pētījumi
Vislielākās betona plātņu iegrimšanas vietās krasta aizsardzības augšējā malā ir izurbis urbumus ar dziļumu 8-10 m. Lai novērtētu augsnes masas ātruma heterogenitātes telpisko sadalījumu, tika veikta akustiskā skenēšana ar vibrāciju ierosmi caurumos krasta aizsardzības slīpumā un uztveršanu urbumos.Attālumi no urbuma ass līdz caurumiem vibrācijas ierosmes punktos svārstījās no 6 līdz 40 m. Tādējādi katram urbumam bija iespējams veikt caurskātīšanu piekrastes slīpuma posmā līdz 60-70 m.Vertikāli ātruma griezumi tika iegūti gar vertikālām plaknēm, kas iet paralēli naftas sadales cauruļvada pārsēšanās asij. Vertikālo griezumu plaknes atrodas ar intervālu 1 m. Katram poligonam tika iegūtas griezumu plaknēm ar koordinātām 299, 300, 301 un 302 m. Griezumu virknē ir skaidri redzama anomāla zema ātruma zona līdz dziļumam virs 3-4 m, paplašinoties jūras virzienā.
Krastmalas grunts pamata struktūras pētījumi
Gaisa bumbas krāteru atklāšanas Rīgas pasažieru ostas piestātnes vecā uzbēruma virsmas iznīcināta Otrā Pasaules Kara laikā piemērs.Uzbērumā grunts masīva un vecās krastmalas pamata struktūra tiek parādīta ģeoradara griezumā, iegūta ar zemas frekvences dipola antenu (150 MHz).
Ūdens filtrācijas no ūdenskrātuves jomu noteikšana


Dambju palielina ūdens satura zonas atklāšana ar ģeoradaru
Ūdens filtrācija no ūdenskrātuves saskaņā ar ūdens masu pieaugā statiskā spiediena rīcībām, ir normāls process, un stacionārā režīmā un drenāžas kanāliem klātbūtni neapdraud dambju drošību. Dambja iznīcināšanas briesmas no augstas plūdi rodas vietās, kur ir augsta filtrācijas ātrums un uzbēruma grunšu ūdens piesātīnajums.
Paleokarsta izplatīšana upju ielejās, kas griežā sulfātu un karbonātu sastāva pamatiežus, un paātrinājusi karsta procesi mākslīgās ūdenskrātuvēs krastos, veicina ūdens filtrācijas kanālu rašanos caur dambja un aizsprostu nodibinājumu. Fltrēšanas procesu accelertaion uztver aizsardzības dambju uzbēruma gruntis, kas palielina erozijas un iznīcināšanas iespējamību ārkārtēji plūdi gadījumā.
Ģeoradara griezumā piesātinājumu un filtrāciju pieaugās zonas dambja ķermeņā un pamatā tiek parādīti ar atstarošanos signāla paaugstinātajiem amplitūdām.
Refraģēto un atstaroto viļņu seismiskā metode iespējamo filtrācijas zonu atklāšanas
Seismiskās metodes filtrēšanas kanālu detektēšanas un lokalizācijas parasti izmanto gadījumos, kad tas ir nepieciešams lai novērtētu to iekļūšanas dziļums klinšu biezumā pie dambja pamatiem, kopš ģeoradara metodi dziļums kas bieži ir vien ierobežoti ar pilnas ūdens piesātinājumu virsmu.
Refragēto viļņu metode ļauj detalizēti raksturot halogēno-karbonāto iežu izskalotas virsmas konstrukciju un noteiktu paleokarsta iedobumu attīstības jomas, kas ūdens filtrācijas no ūdenskrātuves kanāli parasti aprobežojas.Atstaroto viļņu seismiska metode KDP (kopīgā dziļumu punkta) grozījumiem ar vairāku signālu uzkrāšanu, kas atspoguļoti no vienas jomas uz robežu, dod iespēju kartet nav tikai pamatiežū virsmu, bet arī atstaroto robežas to biezumā.
KDP metodi ir vairāk laikietilpīga un dārga salīdzinot ar refraģēto viļņu metodi, prasa vairāk sarežģītu datu apstrādi. Bet tajā pašā laikā tas ļauj identificēt paleokarsta izpausmes un, attiecīgi, iespējamos filtrācijas kanālus par ievērojami lielāku dziļumu līdz pat vairākiem metru desmitiem.
Apraktās paleoielejas kartēšana



Pļavinas HES ūdenskrātūves kreisā krasta aizsprosts
Apraktās preledājās paleoielejas nogāžēm parasti ir raksturīga bloka struktūra un sub-vertikālas bīdāmo plaknes klātbūtne, un karsta ekstensīvā attīstība. Mainoties hidrodinamiskajiem apstākļiem pēc ūdenskrātūves piepildīšanas šajās vietās palielinās gruntsūdeņu filtrācijas ātrums, tiek aktivizēti karsta veidošanās procesi, un tāpēc palielinās aizsargdambju un aizsprostu stāvokļa ģeofiziskā monitoringa nozīme paleoieleju krustojumā.Augšā – garenviļņu izplatīšanās ātrumu griezums, zemāk – CDP seismiskais laika griezums
Piemērs CDP seismiskā laika griezumam, kas iegūts ar atstaroto viļņu metodi un garenviļņu izplatīšanās ātrumu griezumu pēc refrakcijas viļņa metodes morēnas nogulumu intervālā, kas aizpilda apraktu pirmsleduslaika ieleju (Vangaži, Latvija).
Preledājās paleoielējas griezums ciemata Vangaži projektētā ūdens ņemšanas vietā
Rupjiem morēnas nogulumiem, kas aizpilda paleoieleju dziļākās daļas, ir raksturīga paaugstināta caurlaidība un gruntsūdeņu filtrācijas ātrums. Tie ir ieinteresēti kā ļoti noplicināti ūdens piegādes avoti. Mazdziļumā seismiskā izpēte ar atstaroto viļņu metodi kopā ar atsauci urbšanas datiem dod priekšstatu par morēnas nogulumu struktūru, kas piepilda paleoieleju, un ļauj optimizēt ūdens urbumu izvietojumu vietās, kur ir vislielākais rupjo klastisko nogulumu biezums.
Dambju betona bloku erozijas pētījumi



Starpurbumu caurskatīšana
Visjutīgākās pret eroziju ir betona bloku un sienu daļas, kas atrodas tuvu bieži mainīgam ūdens līmenim temperatūras savienojumos, kad tiek traucēta to hidroizolācija.Visefektīvākais veids, kā identificēt masīvu betona bloku erozijas vietas un tā stiprības īpašību pasliktināšanos, ir starpurbumu skenēšana. Lai veiktu šāda veida pētījumus, ir jāsagatavo vismaz divas urbumus akustisko impulsu avotu un uztvērēju izvietošanai tajos.Attēlā parādīts piemērs novājinātu zonu identificēšanai Kruonis HAES (Lietuva) aizsprostu bloka sienā ar elastīgo viļņu izplatīšanās ātrumu.
Nav gareniskā vertikālā profilēšana urbumā
Tikai viena urbuma klātbūtnē pētījumus var veikt pēc vertikālās seismiski-akustiskās profilēšanas metodes ar elastīgo viļņu avotu izvietojumu gar nav gareniskiem profiliem uz betona bloka virsmas un uztvērējiem urbumā.Neskatoties uz noteiktiem ierobežojumiem, ar šo paņēmienu ir iespējams noteikt dekompresijas zonu telpisko stāvokli betonā vai lokalizēt iespējamos dobumus un agresīvas ūdens izskalošanas vietās.
Atstaroto viļņu metodes profilēšana dambja augšā virsmā
Vienkāršākais un pieejamākais veids, kā izpētīt betona īpašības lielos blokos, ir profilēšana ar atstarotiem viļņiem no virsmas. Parasti griezumos izpaužas betona slāņainā struktūra, kas saistīta ar tā ielešanu pa slāņiem un armatūras klātbūtni. Dažos gadījumos pēc raksturīgajām viļņu modeļa iezīmēm griezumos ir iespējams noteikt anomāliju zonu klātbūtni, kas saistīta ar betona pavājinājumiem.Lai identificētu neviendabīgumu betona virsmas slānī, var izmantot profilēšanu ar refraģēto un virsmas viļņu metodi uz betona bloku virsmas un sienām.
Karsta procesi gultnēs



Karsta dobuma kartēšanas drenāžas kanāla dibenā uz sāniskās apskates lokacijas sonogrammu
Apraktais karsts hidroelektrostacijas un ūdens krātūves aizsardzības dambju pamatos rada šo struktūru nopietnu apdraudējumu. Gruntsūdeņu filtrācijas režīma mainīšana netālu no ūdens krātūves, statisko spiedienu palielināšna ūdens līmeņa ievērojami palielinājies un plūsmas augstā ātruma drenāžas kanāliem dēļ aktivizētu karsta veidošanās procesi un seno karsta dobumu erozijas pamatu konstrukcijās.Karsta izpausmes ūdenstilpju dibenā var identificēt, izmantojot batimetriskas mērījumus, sāniskās apskates lokacijas mērniecības un nepārtrauktās seismoakustiskās profilēšanas metodēs.
Seismoakustiska profilēšana zemūdens dobumā kartēšanas laikā
Seismoakustiska profilēšana ar augstas frekvences starotājiem ļauj identificēt attēlu palaeokarsta dobuma erozijas vietā dolomitos zem elastīgā priekšauta uz HES drenāžas kanālu.Profilēšanas rezultāts par profilu blīvu tīklu var būt parādītas vertikālo profilu, horizontālo griezumu, vai 3-dimensiju dobumā rekonstrukcijas veidā.
Uz vertikālo griezumu pa profilu Ķeguma HES-2 uz Daugavas drenāžas kanāla elastīgā priekšauta iznīcinātā mala betona plāksnes redzamās.
Zemūdens dobuma erozijas uzraudzība
Atkārtotas aptaujas rezultāti ar seismoakustiskās profilēšanas metodi ļauj izsekot zemūdens karsta dobumu profilā pārmaiņām, lai tā erozija ātrumu un hidrotehnisko būvei draudi pakāpes novērtētu.
Atklāja dobuma forma, tās lielums, īpašības, tās sienām un apakšas, kā arī grunta sadalījums drīkst aplēst nepieciešamo balasta tilpumu un tipu lai to aizpildītu, kā arī plānot optimālu remonta tehnoloģiju.
Gruntūdens līmeņa noteikšana



Pilnīga ūdens piesātinājuma virsmas kartēšana ar radaru
Ūdens pilnīgas piesātināšanas virsma augsnes masīvā ir spēcīga atstarojoša robeža augstfrekvences elektromagnētiskajiem viļņiem, tāpēc parasti tā ir skaidri redzama ģeoradara griezumos.
Atkarībā no uztverošo izstarojošo antenu veida un darbības frekvences smilšainās augsnēs ir iespējams izsekot gruntsūdens līmeņa atrašanās vietai dziļuma intervālā 1-15 m.Griezumos parādītas arī paaugstinātas ūdens piesātinājuma zonas lēcu un rezervuāru litoloģiskās neviendabības pakāpēs ar lielāku porainību.
Piestātņu augsnes pamatnes ūdens piesātinājuma novērtēšana
Sufozijas procesi ostas piestātņu un uzbērumu augsnes pamatos, kas notiek ūdens līmeņa svārstību un pietauvošanās kuģu dzenskrūvju ietekmē, rada reālus cieta seguma sabojāšanās un iznīcināšanas draudus un sekojošus dārgus remonta darbus.Ģeoradara griezumos parādīti paaugstinātas ūdens piesātinājuma laukumi pamatnes smilšainā augsnē, dažādu sastāvu uzbērumu augšņu atdalīšanas robežas, iespējamie tukšumi zem cietā pārklājuma augsnes iegrimšanas vietās norīšanas dēļ un mazu piesātinātu smilšu frakciju noņemšana caur piestātnes sienām.Kopējā ūdens piesātinājuma virsma bieži ir pēdējā atspoguļojošā ģeoloģiskā robeža GPR griezumos.
Gruntsūdens līmeņa noteikšana ar seismiskām metodēm
Daudzos gadījumos refraģēto viļņu seismiskā metode ļauj noteikt gruntsūdens līmeņa stāvokli smilšmāla augsnes viendabīgajos masīvos, piemēram, spēcīgās morēnas smilšmālajos masīvos. Ģeoradara metode šādās augsnēs, kurās ir daudz māla materiāla, nav efektīva.
Straujš garenviļņu izplatīšanās ātruma palielinājums uz pilnīgas ūdens piesātinājuma robežas veido spēcīgu refrakcijas robežu, kas ir labi izsekota ātruma griezumos. Seismiskajām robežām, kas saistītas ar ūdens piesātinājuma virsmu, ir skaidra korelācija ar datiem par statisko zondējumu (CPT)- konusam frontālā pretestību, sānu berzi un poru spiedienu.
Morēnas un pamatiežu virsmas dziļumu noteikšana



Mazdziļuma ģeotehniskā siesmoizlukošana ar atspoguļotiem viļņiem
Uzdevums noteikt pamatiežu vai blīvu morēnu augsnes virsmas dziļumu rodas, novērtējot pamatu pāļu dziļumu, nosakot smilšainu vai grants augsņu apakšējo robežu, novērtējot karjeru būvmateriālu krājumus.
Blīvu morēnu augšņu vai pamatiežu jumts parasti parādās uz atstaroto viļņu seismiskajos griezumos kā skaidru, labi korelētu atstarojošo horizontu.Seismisko profilēšanu veic pēc daudzkārtējas pārklāšanās metodes ar signālu uzkrāšanos, kas atspoguļojas no kopīga dziļa robežas punkta (KDP).
GPR zemfrekvences skanēšana
Irdenu augšņu masīva struktūra, atstarojošo robežu konfigurācija to biezumā, saskares forma ar pamatā esošajiem morēnas smilšmāliem vai pamatiežu pamatiem ir visprecīzāk parādīta ģeoradaru skaņu griezumos. Pētījumu dziļums sausās smilšainās augsnēs ar zemfrekvences dipola antenām var sasniegt 10-15 m.Kombinācijā ar mazdziļumiem seismiskiem pētījumiem uz atstarotiem viļņiem ir iespējams ievērojami palielināt augsnes masas un pamatiežu izpētes dziļumu.
Seismiskā profilēšana, izmantojot refraģēto viļņus
Viena no vienkāršākajām un lētākajām pamatiežu virsmas struktūras izpētes metodēm ir mazdziļumā izpēte ar refraģētiem viļņiem. Metode parasti neļauj izsekot vājām saskarnēm lielāko daļu vaļīgo augsņu, bet sniedz skaidru priekšstatu par spēcīgās refrakcijas robežas dziļumu un konfigurāciju, kas saistīta ar pamatiežu virsmu.
Vienlaicīgi ar šo metodi tiek iegūta informācija par gan irdenās augsnes slāni, gan par pamatiežu dēdēšanas virsmas slāni.
Apsekojumi karjeras vietnēs



Garenviļņu ātrumu griezums dolomīta karjera vietā
Pamatiežu dolomītu virsmas formu un to pārklājošo vaļīgo kvartāra augšņu biezumu, kas nosaka pārslodzes operāciju apjomu dolomīta karjerās, var ticami noteikt, izmantojot mazdziļumās seismiskās izpētes metodi, izmantojot refrakcijas viļņus. Straujš garenviļņu ātruma pieaugums uz dolomītu jumta ļauj slīpēt tā formu pat tad, ja klājošās vaļīgās augsnes ir pilnībā piesātinātas ar ūdeni, un optimizēt karjeras robežu izplešanās virzienu.
Projektētā smilšu karjera augsnes struktūras ģeoradarā griezums
Lai precizētu augsnes masiva struktūru, kas jāizveido smilšu bedrē, tiek izmantots ģeoradara skanējums. Ģeoradara griezumā parasti tiek parādīts attēls ar ūdeni piesātinātu slaņu un māla starpslāņu sadalījumu smilšainās augsnēs un ļauj noskaidrot pamatiežu vai morēnas smilšmālu virsmas formu. Griezumu iegūst ar 75 MHz dipola antenu.
Ģeoradara griezuma interpretācija
Atsauces urbumu klātbūtnē no ģeoradaru griezumu iegūto atstarojošo robežu novietojums ļauj novērtēt produktīvo slāņu biezumu ar smiltīm, kurām ir dažādas fizikālās īpašības, noteikt attīstāmās balasta māla starpslāņu vietas, kā arī augsnes masiva applūdušo sekciju robežas.
Augsnes ellas piesārņojumu pētījumi


Piesārņotās augsnes noteikšana ar elektrisko zondēšanai metodi (VES)
Augsnes piesārņojums ar naftas produktiem var novērtēt elektrisko pretestību krasi palielināšanai dēļ gan sausā un ar ūdeni piesātinātā augsnē. Apsekojot piesārņotās vietas, optimālā un mazizmaksā tehnoloģija ir līdzstrāvas elektriskās izpētes metožu (mini-VES un elektrotomogrāfija) un ģeoradaru skanēšanas apvienojums. VES dati ir norādīti neparasti augstu elektriskās strāvas vērtību diapazonā.
Naftas produktu piesārņojums slāņos pa slāņiem ģeoradaru ierakstos
Apgabala ģeoradara apsekojums ļauj iegūt atstarojuma intensitātes ar naftu piesārņoto vietu horizontālas sadaļas pie to teritoriju robežām, kuras ir slikti caurlaidīgas elektromagnētiskajiem viļņiem, un novērtēt to telpisko sadalījumu piesārņojuma avota tuvumā.
Sufozijas procesi augsnes pamatos


Sufozijas kanāli kravas piestātnes pamatnē pēc ģeoradara datiem
Ģeoradara zondēšana ar augstas frekvences ekranētām antenām (900 MHz, 1,5 GHz), izmantojot blīvu profilu tīklu, ļauj identificēt pietūkuma kanālus uzbērumu smilšaino pamatņu virsmas slānī. Sufozijas dreifu izkraušanas kanāli un laukumi tiek kartēti kā palielināta atstarojuma amplitūdas posmi no dekompresijas vai tukšumu apakšējām robežām zem cieta pārklājuma.
Paaugstināta ūdens filtrācijas un iežu novājinašanas zona zem vecās baznīcas pamata
Dziļākus sufozijas procesu attīstības posmus konstrukciju pamatnē var identificēt ar seismiskām metodēm, kas nav garenvirziena VSP un starpurbumu caurlaidība. Kā piemēru var minēt plašās samazinātu garenviļņu ātrumu zonas noteikšanu halogēna-karbonāta iežu biezumā 15-20 m dziļumā zem iegrimtās senās baznīcas ēkas. Zema ātruma anomālija, ko atklāj nav garenvirziena VSP dati, ir saistīta ar izskalošanās procesiem augsta gruntsūdeņu filtrācijas ātruma zonā.
Vibrācijas ietekmes mērīšana uz grunti un konstrukcijām





Novērtējums par pieļaujamo vibrāciju līmeni eksplozijas laikā un pamatnes pāļu vadīšanu
Lai novērtētu pieļaujamo vibrācijas ietekmes līmeni uz dzīvojamām ēkām, rūpniecības ēkām un pazemes inženierkomunikācijām, dažādi starptautiski standarti (DIN 4150-3: 1999, BS 7835-2: 1993 utt.) nosaka pieļaujamās pārvietošanās ātruma robežas dažādos vibrācijas frekvences diapazonos. Piemēram, ir sniegta tabula par pieļaujamajiem pārvietošanas rādītājiem no Vācijas Nacionālā standarta DIN 4150-3:1999.Vairākos gadījumos ar lielu monolītu pamatu ieklāšanas dziļumu vai pāļu piedziņas dziļumu ir svarīgs šo divu vērtību sadalījums pa augsnes masas dziļumu. Atkarībā no augsnes masīva fizikālajām īpašībām spriedzes līmenis vibrāciju laikā tās dziļajās daļās var būt ievērojami augstāks nekā uz virsmas. Lai novērtētu vibrācijas ietekmi uz dziļajām pamatņu daļām, tiek izmantotas paātrinājuma vērtības, kurām akselerogrammu aprēķina, pamatojoties uz ātrumu diagrammām, vai paātrinājumus mēra tieši ar akselerometriem. Turklāt, lai novērtētu vibrāciju līmeni dažādos dziļumos, ir jāzina bīdes viļņu izplatīšanās ātrumu sadalījums augsnes masīvā, kam vibrācijas mērījumu vietās tiek veiktas speciālas zondēšanas, izmantojot mazdziļumu seismisko izpēti ar virsmas viļņiem, izmantojot daudzkanalu vienkomponentu ģeofonu izvietojumu vertikālās pārvietojuma komponenta reģistrēšanai.
Būvelementu vibrācijas un galveno modu spektri
Ēkās un konstrukcijās vibrāciju mērījums tiek veikts, lai novērtētu konstrukcijas daļu rezonanses vibrāciju rašanos ārējo ietekmju ietekmē. Dominējošās vibrācijas spektra frekvences, kas reģistrētas, periodisku triecienu vai satiksmes trokšņa laikā, tiek salīdzinātas ar konstrukciju aprēķinātajām rezonanses frekvencēm.
Mērījumiem tiek izmantoti trīskomponentu pārvietojuma sensori (ģeofoni) vai akselerometri, kas uzstādīti dažādās ēku daļās. Izmērītais lielums ir pārvietojuma ātrums, kura maksimālo vērtību kopējā vektora virzienā aprēķina, ģeometriski apvienojot visas trīs tā sastāvdaļas, ko mēra ar trīskomponentu sensoriem, kuru tips ir ST 4,5 Hz 3C vai 4,5 Hz 3D. Lai novērtētu dabisko zemestrīču smagumu, jāizmanto zemākas frekvences ģeofoni ar rezonanses frekvenci 2,0 Hz.
Grunts vibrācija autotransporta ietekmē
Visizplatītākais vibrācijas veids ir satiksmes troksnis. Grunts masas svārstību vertikālo un horizontālo komponentu spektrālais sastāvs, no autotransporta pārvietojoties viļņiem, ievērojami atšķiras.
Horizontālo komponentu spektri ir ievērojami bagātināti ar zemām frekvencēm, kas ir visbīstamākie konstrukciju pamatiem. Tomēr horizontālo pārvietojumu komponentu amplitūda parasti ir vairākas reizes mazāka nekā vertikālajos komponentos.
Grunts vibrācija no dzelzceļa transporta
Garāmbraucošo kravas un elektrisko vilcienu vibrāciju spektri, salīdzinot ar autotransporta vibrāciju spektriem, ir ievērojami novirzījušies uz zemām frekvencēm. Dominējošās frekvences ir no 6 līdz 40 Hz. Tiek atzīmēts arī horizontālo komponentu spektru bagātinājums ar zemu un īpaši zemu frekvenci (joslām līdz 3-4 Hz).
Spektros izceļas vairāki skaidri sašaurināti modi, acīmredzot, pateicoties dzelzceļa sliežu ceļa konstrukcijas iezīmēm un riteņu pārejai savienojumos.
Visaugstākā vibrācijas intensitāte tiek novērota vilcienu bremzēšanas un paātrināšanās brīžos.
Grunts fizikālās-mehāniskās ipašības novertēšana



Integrēti mazdziļumie ģeofizikālie pētījumi
Mazdziļumu ģeofizikālo metožu komplekss kopā ar ģeotehnisko urbumu urbšanu līdz 4-6 m dziļumam ar augsnes paraugu ņemšanu sniedz visaptverošu informāciju inženiertehniskā un ģeoloģiskā secinājuma sastādīšanai 1. kategorijas ēku (dzīvojamās ēkas, vienstāva rūpniecības būves) būvniecībai, ieskaitot elektriskā zemējuma projektēšanu.
Kompleksā ietilpst:
- seismiska daudzviļņu izpēte,
- elektrometrija ar VES metodi,
- ģeoradara zondēšana.
Seismisko akustisko mērījumu urbumos
Augsnes un iežu fizikālo un mehānisko īpašību novērtēšanai izmantojamās seismiskās-akustiskās metodes tiek izmantotas apsekojumos lielās rūpniecības un civilās celtniecības vietās.
Galvenā izpētes metode ir vertikālā seismiski-akustiskā profilēšana (VSP) ar impulsu ierosināšanu uz zemes virsmas un vibrāciju uztveršana ar hidrofonu zondēm apvalkos un ar ūdeni piepildītos urbumos līdz 35–40 m dziļumam.
Balstoties uz garenviļņu un šķērsviļņu izplatīšanās ātrumu mērījumiem, tiek noteikts augsnes blīvums, elastības moduļi un Puasona attiecība.
Dziļurbuma metodes apvienojumā ar seismisko izpēti
Mikroseismisko mežizstrādi (MSM) un VSP metodes izmanto, lai pētītu elastīgo viļņu ātrumu ģeoloģijas griezuma augšdaļā (GAD) parastās seismiskās izpētes laikā, lai novērtētu augsnes un iežu fizikāli mehāniskās īpašības ūdens aku projektēšanas laikā un precizētu nemetālisko minerālu atradņu un būvmateriālu griezumu ģeoloģisko struktūru ( smiltis, grants, merģeļis, dolomīts). Ģeoloģiskā griezuma detalizētās daļas dziļums ir 100 metri vai vairāk. Tiek novērtēts prognozējamās augsnes deformācijas un stiprības īpašības - vispārējais deformācijas modulis, iekšējās berzes leņķis un īpatnējā saiste. Visefektīvākais VSP pielietojums kombinācijā ar seismiskajiem datiem.
Zemes virsmas iegrimšana un grunts masīva bojājumi



Virsmas viļņu enerģijas pavājināšanās anomāliju analīze
Šajā lappusē izmantotie seismiskie ieraksti tika iegūti ar Krievijas Zinātņu akadēmijas (Perma) Urālu filiāles Kalnrūpniecības institūta Aktīvās seismiskās akustikas departamenta lauka vienību.
Visintensīvākie Raileigh virsmas viļņi, kas reģistrēti mazdziļumos seismiskajos apsekojumos, bieži novēro ievērojamas amplitūdas un frekvences mainības visā novērojumu profilā. Viens no šīs parādības iemesliem var būt grunts masīva virsmas daļas sānu neviendabīgums, ieskaitot zemūdens lūzuma zonas, kas atspoguļo robežas viļņiem, kas izplatās pa zemes virsmu. Vietās, kur parādās šīs robežas, ir virsmas viļņa enerģijas “barošanas” apgabali tās atstarojuma dēļ.Attēlā parādīta skaidra korelācija starp šauru zonu ar zemākiem garenvirziena viļņu izplatīšanās ātrumiem un virsmas viļņu enerģijas pieaugumu, pateicoties tās atstarojumam no nehomogenitātes vertikālās robežas.
Zema ātruma anomālu zonu manifestācija nav garenvirziena VSP profilos
Viena no pazīmēm, kas liecina par grunts masiva biezuma vājināšanu un iespējamo tās virsmas iegrimšanu, ir straujš elastīgo viļņu izplatīšanās laika pieaugums šajā vietnē. Šādu anomāliju noteikšanas metodes var būt atšķirīgas. Viens no efektīvākajiem ir reversais VSP ar uztverošo līniju atrašanās vietu uz virsmas un elastīgo viļņu impulsu ierosināšanu dažādos dziļumos urbumā. Anomālija ir parādīta iespējamās iegremdēšanās vietā sāls raktuves laukā.Garenviļņu ātruma vertikālā griezuma daļa gar reversā VSP profilu palielināta izplatīšanās laika anomālijas izpausmes vietā parāda skaidri izteiktu plašu mazāku garenviļņu Vp izplatīšanās ātrumu zonu ar asu, gandrīz vertikālu austrumu robežu.
Plašu anomālu zonu var izsekot līdz dziļumam aptuveni 20–25 m. Tās sašaurināšanās tiek novērota dziļāk, iespējams, veidojot kanālu virszemes ūdens filtrēšanai grunts un pamatiežu slāņos virs sāls pazemes ieguves.
Anomālo zonu telpiskā sadalījuma attēlojums horizontālās griezumos
Zema ātruma anomālu zonu sadalījums pa platību ir parādīts Vp ātruma telpiskās paraugu ņemšanas horizontālajos šķērsgriezumos, kas iegūtas ar reversu VSP.
Ātruma anomāliju Vp sarežģītā iegarenā forma norāda uz to iespējamo norobežošanos ar tektonisko lūzumu taisnleņķa sistēmu un seniem apraktiem kanāliem un ielejām, kas izveidotas pamatiezu biezumā un piepildītas ar vāju grunti un dēdēšanās garozas materiāliem.
Ģeoradars Zond-12e


Ģeoradara izrakstīšanas paraugi

Ģeoradars „Zond-12e” ir diģitāls, portatīvs zemvirsmas zondēšanai domāts radars, kuru var viens operators pārnēsāt, paredzēts ģeotehnisko, ģeoloģisko, ekoloģisko, inženieruzdevumu un citu uzdevumu risināšanai, kur ir nepieciešams vidi nesagraujošs un operatīvs monitorings. Zondēšanas gaitā operators displejā saņem informāciju reālajā laikā, tā saucamo radara lokācijas profilu. Tajā pašā laikā, dati tiek ierakstīti magnētiskā diskā, lai vēlāk tos varētu izmantot (apstrādāt, drukāt, interpretēt, utt.).
Tehniskie dati
• Izpildījums: vienkanāla vai divkanālu;
• Laika diapazons: lietotājs izvēlas no 1 līdz 2000 ns, solis 1ns;
• Raidītāja impulsu atkārtošanās frekvence: 115 kHz;
• Trašu daudzums sekundē: 56 (vienkanāla georadaram), 80 (divkanālu georadaram) vai 320 / 160 / 80 / 40 (modernizētam);
• Punktu skaits trasē: 512 (vienkanāla un divkanālu izpildījumam)
• Datu diģitālā pārstāvniecība: 16 bit
• Augstas frekvences filtrs: izvēlas lietotājs: Mīksts, Ciets, Superciets, Regulējams diģitālais filtrs.
• Datu pārraide: Wi-Fi (modernizētam) vai Ethernet.
• Barošana - 10.5-13 В 0.4 A (no parnesajamā akumulatora vienkanala un divkanālu) .
• Izmēri: 35x50x5.5 cm., Svars: 3.2 kg.
Pieņemšanas-izstaro antenas
Pilns ģeoradara komplekts ietver centrālo bloku, kur uz speciālas platformas nostiprināts klēpjdators, dažadas frekvences zondēšanai domātas antenas, programmatūra, dažādi aksesuāri. Antenas ir aizsargātas no putekļiem un šļakatām, tās pat pieļaujams īslaicīgi iegremdēt ūdenī. Virsmas antenām ir izturīga pret berzi ftoroplasta pamatne. Ģeoradara vadība notiek caur datoru.
Dipolā antena palielinot izstaro stieņi garumu no 1,0 līdz 3,0 m var pielāgot ražošanas pulsa frekvenci 150, 75 un 37,5 Mhz.
Telemetriska reģistrācijās sistēma mazdziļumai seismiskai izlukošanai
Ražotājs NPP "Intromag", Perma, Krievija





Shēmas laukuma izvietojumu
• seismiska izpēte frekvenču diapazonā no 2 Hz līdz 8 kHz;
• virsmas un seklu urbumu profilēšana;
• griezuma augšdaļas izpēte ar lauzto, atstaroto un virsmas viļņu metodēm;
• inženierģeofiziskā izpēte;
• hidrotehnisko un citu inženierbūvju tehniskā stāvokļa kontrole, ģeoloģiskais un ģeofiziskais monitorings;
• ceļa segumu, ēku pamatu un pamatņu akustiskā izpēte;
• nepārtrauktas seismoakustiskās profilēšanas veikšana akvatorijās vienkanāla un daudzkanālu režīmos.
Darbojoties ar samērā mazjaudīgiem signālu ierosas avotiem, reģistrators nodrošina vāju iedarbību uzkrāšanos. Pirms ierakstu pārsūtīšanas uz cieto disku, ilglaicīgai datu glabāšanai, veic seismoakustisko signālu summēšanu ar aparātu. Reģistratoram var pieslēgt ekonomiskus telemetriskos 16-kanālu moduļus, kas domāti datu pārsūtīšanai uz centrālo moduli pa ātras darbības divu vadu interfeisu USB-RS485 vai pa radiointerfeisu WiFi.
Tehniskais raksturojums
1) Pieslēgto moduļu skaits (iestata lietotājs) 1-16
2) Attālinātā moduļa kanālu skaits 16
3) Ieejas pretestība (iestata lietotājs) 0,001-100 МOм
4) Frekvenču diapazons -3 dB līmenī 2-8000 Hz
5) Dinamiskais diapazons pie dt=1ms 130 dB
6) Pārvēršanas kategorialitāte, delta/sigma 24 bit
7) Amplitūdu izvēles periods 0.033 - 50.0 ms
8) Uzkrājumu skaits, 32-bit izejas kods 256
9) Sākuma pastiprinājuma pakāpes 6,12,18,24,30,36 dB
10) Ierosmes impulsa pārraidīšanas biežums līdz 2 sek.
11) Filtru augšējās robežas frekvences 125 - 8000 Hz
12) Augšējās frekvences filtru griezuma stāvums 36 dB /okt
13) Režektorfiltrs 50,100,150 Hz, 48dB
14) Nolasījumu skaits katram kanālam (opcionāli) 8192/16384
15) Pie ieejas atnākušo trokšņu līmenis pie 1ms 1.3 mkV
16) Ieejas signāla diapazons 5V
17) Savstarpējās ietekmes koeficients pie 100 Hz < -100 dB
18) Sinfāzā traucējuma nomākšanas dziļums >110 dB
19) Vienskaitļu izejas koda formāts 32 izlādes
20) Primārās barošanās avots 12V
21) Vadošais procesors Notebook
22) Datu pārraidīšana USB, RS485
23) Aizsardzības pakāpe no vides iedarbības IP65
24) GPS protokols NMEA-183
25) Attālinātā moduļa gabarīti 171х121х55 mm
26) Attālinātā moduļa svars 1,2 kg
27) Darba temperatūra: centrālais modulis +40°C -28°C
attālinātais modulis +50°C -20°C
Datu vākšana un apstrāde
Ņemot vērā lauka darbu tehnoloģiju un reģistrējamo signālu traucējumnotutību, visparocīgāk izmantot attālināto moduļu pieslēgšanas shēmu pie parasta portatīvā datora Notebook caur USB-port, izmantojot specializētu liela ātruma konverteru USB-RS485 un ierakstu sinhronizācijas bloku.Šajā gadījumā atsevišķas ģeofona sekcijas tiek pieslēgtas tieši pie attālinātiem moduļiem profilā. Sekcijas savā starpā ir savienotas un ar digitālās divvadu sakaru līnijas palīdzību pieslēgtas pie interfeisa moduļa, līdz ar to ievērojami samazinot elektromagnētisko traucējumu uz savienotājkabeļiem un pagarinātājiem. Datu pārraide no interfeisa moduļa uz datoru notiek pa divvadu līniju, ja attālinājums ir līdz 100-120m, pārraide notiek pa radio izmantojot WiFi interfeisuIeraksts iegūts no 8 kG trieciena avota, izmantojot četrus moduļus, kuru diskrētums ir 200mks, kanālu solis 2m (attelā pa kreisi).Lauku darbos izmantojamās 64 un 32 kanālu ģeofonu līnijas aprīkojuma konfigurācija refragēto, atstaroto (a) un virsmas viļņu (b) uztveršanai.
Servisa programa
Servisa programma darbojas indows/7-10 operētājsistēmas vidē. Programmas testa modulis ļauj veikt seismisko kanālu galveno tehnisko parametru pārbaudi, pārlūkot pa kanāliem signālu statistiskā raksturīpašības un veikt to aplēsi, izpildīt ierakstu spektrālo analīzi.Logu izvēlnes kopa ļauj operatoram pārskatāmi iestatīt reģistrācijas parametrus un ģeometriski vienkārši izvietot uztvērējus.Reģistrācijas parametru iestatīšanas un ģeometriskā izvietojuma logi (pa kreisi).Komplekts logu izvēlne nodrošina operatoram iespēju viegli un intuitīvu, kas parametru reģistrācijas un ģeometrijas noteikšanas uztvērēji.Datu vākšanas programmas darba logā atspoguļota apkopota seismogramma, kas iegūta pēc ierakstu pārsūtīšanas no attālināto moduļu kopas, iebūvēto akumulatoru lādiņa līmenis, kārtējais ierosas numurs uzkrājumu sērijā, kārtējā rekorda numurs un signālu pariešanas process. Ritjosla ļauj pārlūkot garus ierakstus ar nepieciešamo detalitāti.
Zemfrekvences elektriskās izpētes aprīkojums ERP-1
(Ražotājs - MPP "Line", Sevastopole, Ukraina)



Uzdevums un tehniskais raksturojums
Pārnēsājams digitālais aprīkojums ERP-1 ir paredzēts ģeofizisko novērojumu veikšanai ar šādām metodēm:
- elektriskā izpēte ar pretestības metodi pie līdzstrāvas un maiņstrāvas (VES, EP, SG, MZ, kā arī pilna elektriskā lauka vektora mērījumi - MDS, vektora apsekojums)
- dabiskais elektriskais lauks (EP)
- inducētā polarizācija (variantā INFAZ-VP)
Darba temperatūra: no -30 līdz +40 C
Šļakatu un triecienizturīga
Kalibrēšana no iekšējās atsauces ar Iespējās kopīgi kalibrēt ģeneratoru un skaitītāju
Iekārtas ir veidotas, izmantojot mikrokontrolleri, un to kontrolē programmatūra.
Ģenerators un skaitītājs tiek sinhronizēti caur kabeli
Ģenerators ERP-1
Maksimālais izejas spriegums 300 V
Maksimālā izejas jauda 30 W
Kvadrātveida viļņu izejas strāva un līdzstrāva
Darbības frekvences: 0, 1,22, 2,44, 4,88 Hz
Izejas strāva 1, 2, 5, 10, 20, 50 un 100 mA
Izejas strāvas iestatījuma stabilitāte nav sliktāka par 1%
Barošanas spriegums ~ 12 V (minimālais 9,5 V, maksimālais 15,5 V)
Svars (ar baterijām) 3,5 - 4,4 kg (atkarībā no akumulatora)
Akumulatora ietilpība 2 vai 4 Ah (pēc izvēles)
Iespēja izmantot ārēju 12 V barošanas avotu
Kalibrēšanas sprieguma izeja no 1 omi rezistora
ERP-1 mērinstruments
Darbības frekvences 0, 1,22, 2,44, 4,88 Hz
Ieejas pilnā pretestība ir vismaz 10 megaohmi
Maksimālā ieeja 5 V
Analogā filtra kvalitātes koeficients 18
Trokšņa samazināšana 50 Hz vismaz 80 dB
Trokšņa līmenis nepārsniedz 0,2 μV
Jutība 1 μV
Interfeisa tips RS232C
Iekšējās atmiņas apjoms ir 8 MB (līdz 70 tūkstošiem mērījumu)
Svars ar baterijām 3,2 kg
LCD fona apgaismojums
Nepolarizējoši elektrodi zemes un ūdens izpētei (attelā pa kreisi)
Kanālu slēdzis un vairāku elektrodu kabelis
Iekārtā ietilpst arī mehānisks kanālu komutētājs un daudzelektrodisko kabeļu komplekts, kas nodrošina savienojumu caur kanālu komutatoru ar ģeneratora izejām un skaitītāja ieejām līdz 48 kanāliem, nemainot elektrodu izvietojumu. Vairāku elektrodu kabelis sastāv no divām sekcijām ar elektrodu attālumu 5 m, kas dod iespēju pārmaiņus pārvietot sekcijas gar profila līniju, ja tās garums pārsniedz viena izvietojuma garumu.
Augstas frekvences mikro-VES komplekts MEGGER det4 / 5


Tehniskās specifikācijas
Izmērītās augsnes pretestības diapazoni
0,01 Ω - 19,99 Ω; 0,1 Ω - 199,9 Ω; 1 Ω - 1 999 kΩ;10 Ω - 19,99 kΩ
Mērījumu precizitāte (23 ° С ± 2 ° С)
± 2% no nolasītās vērtības ± 3 aiz komata. Kopējā mērījumu kļūda ± 5% no nolasījuma ± 3 zīmes aiz komata
Atbilstība standartiem BS 7430 (1992), BS 7671 (1992), NFC 15-100, VDE 0413 Part 7 (1982), IEC364
Mērījumu biežums 128 Hz ± 0,5 Hz
Mērīšanas strāva
Diapazons 20 Ω 10 mA A.RMS
Diapazons 200 Ω 1 mA a.s.
Diapazons 2k Ω un 20k Ω 100 μA A.R.
Īssavienojuma strāva - nemainīga visos diapazonos
Trokšni
Elektriski traucējumi ar maksimālo spriegumu 40 V pie iespējamās strāvas frekvencēs 50 Hz, 60 Hz, 200 Hz vai 16 2/3 Hz rada kļūdu ± 1% no nolasītās vērtības diapazonos no 20 Ω - līdz 2kΩ. Ja traucējumu indikators neliecina, maksimālā kļūda, kas rodas no traucējošā sprieguma, šajos diapazonos nepārsniedz ± 2%. 20 kΩ diapazonā šī kļūda noved pie maksimālā sprieguma 32 V.
Zemes pretestības maksimālā strāva
Zemes pretestība, kas rada papildu kļūdu 1%:
Diapazons 20 Ω 4 kΩ; Diapazons 200 Ω 40 kΩ
Diapazons 2kΩ un 20kΩ 400 kΩ
Tās ir zemes pretestības, bet mērījumu pretestība ir jāatņem no šīm vērtībām. Ja Rc indikators nedod rādījumu, maksimālā kļūda nepārsniegs 2% no potenciālā elektroda maksimālās pretestības.
Maksimālais izejas spriegums 50 V
Atbalsis LMS-337C DF




Mērķis
LMS-337C ir kompakts divfrekvences atbalsis ar krāsainu LCD ekrānu, kas paredzēts uzstādīšanai mazos kuģos. To izmanto navigācijas nolūkos, lai operatīvi kontrolētu dziļumu un veicot mērījumus ūdens teritoriju seklajās un piekrastes zonās. dibena topogrāfija, dziļumu nolasījumi un no GPS uztvērēja saņemtās plānotās koordinātas tiek parādītas ekrānā grafiskā formā.
Emitents HS-50/200-DX
Tūlītēja jauda
2400 W pie 200 kHz
3000 W ar frekvenci 50 kHz
Vidējā (sadalītā) jauda 375 W
Īss LMS-337C tehniskais apraksts:
• mērīšanas diapazons - 0,75 m - 762 m;
• digitālā datu ierakstīšana;
• iebūvēts ūdens temperatūras sensors;
• frekvenču diapazons - 50, 200 kHz vai abas frekvences vienlaicīgi;
• maksimālā jauda 3000 W;
• vidējā (sadalītā) izejas jauda 375 W;
• barošanas spriegums 10-15 VDC;
• strāvas patēriņš 600 mA, ar GPS 700 mA;
• I /O interfeisa protokols - NMEA-2000, NMEA 0183;
• atjaunināšanas periods 1 sek;
• skenēta grafiskā ierakstīšanas atmiņā līdz 1 GB;
• izmēri 13,8 x 17,6 x 8,6 cm;
• 5 collu ekrāns (12,7 cm) krāsains, izšķirtspēja 480x480 pikseļi;
• x2 vai x4 attēla tuvināšana no izvēlnes izvēles;
• seši dziļuma diapazoni, kurus var izvēlēties no izvēlnes;
• divfrekvenču pārveidotājs HS-50/200-DX
• virziena raksturlieluma platums (pie -3 dB) 35 ° (50 kHz), 12 ° (200 kHz);
• GPS - 12 kanālu uztvērējs LGC-2000 ar ārējo antenu;
• diferenciālo korekciju saņemšana no WAAS ģeostacionārā satelīta;
• darba temperatūru diapazons -10 ° С - + 55 ° С.
LGC-2000 - atbalss skaņas signāla GPS antena ar iebūvētu diferenciālās korekcijas uztvērēju no WAAS servisa satelīta un atbalss skaņas signāla navigācijas panelis ar signāla amplitūdas displeju no aktīviem satelītiem
Navigācija un pozicionēšana
LGC-2000 - atbalss skaņas signāla GPS antena ar iebūvētu diferenciālās korekcijas uztvērēju no WAAS servisa satelīta un atbalss skaņas signāla navigācijas panelis ar signāla amplitūdas displeju no aktīviem satelītiem
Gāzes izplūdes ūdens slānī kartēšanas piemērs
Atbalss zondēšana ir viena no galvenajām metodēm rezervuāra dibena stāvokļa izpētei. Balstoties uz tās datiem, upes dibena reljefa deformācijas noteiktas aktīvu litodinamisko procesu un cilvēka radītās ietekmes uz zemūdens sakaru trasēm rezultātā. Eholetes ierakstu apstrāde, izmantojot specializētu programmatūru, ļauj identificēt iespējamās gāzes noplūdes ūdens slānī.
Ģeofoni grunts un pamatu vibracijas mērīšanai



Ģeofons ST-4,5 Hz 3D
ST sērijas trīsdimensiju (3D) ģeofons ir elektromehāniskās pārveidošanas ierīces veids. 3D ģeofona iekšpusē trīs savstarpēji perpendikulāri ģeofona elementi ir sakārtoti Dekarta koordinātēs, kas nozīmē, ka vertikālais ģeofona elements ir Z virziens, austrumu virziena horizontālais ģeofona elements ir X virziens, bet ziemeļu virziena horizontālais ģeofona elements ir Y virziens. kas Seismiskie signāli trīs virzienos X, Y un Z tiks ņemti vienlaicīgi un pārveidoti elektrisko signālu izvados.ST sērijas 3D ģeofoni ir pilnībā saderīgi ar dziļajiem seismogrāfiem dziļās seismiskās izpētes laikā. Tie ir arī ideāla izvēle dabisko zemestrīču prognozēšanai un noteikšanai, tiltu un lielceļu pulsējošiem mikro seismiskiem mērījumiem un citiem zemfrekvences seismiskiem pētījumiem.- Augsta jutība, zemi kropļojumi, laba konsistence, laba lineārā reakcija un saprātīgs slāpēšanas koeficients.
- Izturīga struktūra, labs blīvējums un lieliska ūdensnecaurlaidīga veiktspēja.
- Aprīkots ar horizontālo regulēšanas ierīci un virzienrādītāju.
- Ūdensizturīgs metāla korpuss, 3 Nr. Ir arī aprīkoti ar regulēšanas skrūvēm, 7 kontaktu ligzdu un 1,5 metru izvada kabeli.
- Ir pieejami trīsdimensiju ģeofonu tipi: ST-4,5 Hz 3D un ST-4.5N 3C.
Ģeofons ST-4,5 Hz 3C (ST-4.5N)

Ģeofoni Ц10T un GS-20 DX OYO
Papildus augsnes pētīšanai un iežu masu fizikālās īpašības vibrāciju mērījumu punktos un nosacījumus elastīgo vibrāciju izplatībai izvēlētajos virzienos uz lauka, 3-komponentu Ц-10T ģeofonus un vertikālos ģeofonus GS20 DX OYO Geospafce ar pašu 10 Hz rezonanses frekvence pielietotas.
Sporta manēžas celtniecības laukums










Georadara profilešana ar zemas frekvences dipolantenu 150 MHz ar
GPS LS2303x-G uztvērēju
Veicot būvdarbus, bieži rodas problēma bijušo konstrukciju pamatu palieku lokalizācijā grunts pamatos. Šis uzdevums ir īpaši aktuāls, projektējot pāļu pamatus, nesagatavojot atbilstošas bedres būvlaukumā. Bieži vien, nojaucot vecās ēkas, nav iespējams pilnībā noņemt veco pamatu dziļākās masīvās daļas.Veicot profilēšanas darbus ar zemas frekvences dipolantenām 150-75 MHz, ieraksta intervāls ir 200-300 ns, un tas pie zondēto vidi, ko pārstāv ar ūdeni piesātinātas smiltis ar vidējo dielektrisko caurlaidību 15-16 atbilst zondēšanas dziļumam 10-17 m. Signāla pastiprinājums ieraksta sākumā un beigās 12/54 dB. Veicot ierakstus tika pielietots mīkstas slokšņu filtrs. Realizāciju summēšanas skaitlis vienai trasei - 4-8.
Izpēte veikta šādā apjomā:- radiolokācijas zemvirsmas zondēšanai izmantotas dipola aeriālā antena ar izstarotā impulsa darba frekvenci 75 MHz, veikto profilu skaits 12, kopumējais garums 720 m, dipola aeriālā antena ar izstarotā impulsa darba frekvenci 150 MHz, veikto profilu skaits 23, kopējais garums 1380 m, ekranēta antena ar izstarotā impulsa darba frekvenci 900 MHz, veikto profilu skaits 66, kopējais garums 3960 m.
Lielākoties betona paliekām augsnēs ir ļoti kontrastējošas fizikālās īpašības attiecībā pret norobežojošām augsnēm.To virsmas attēlo robežas, kur notiek krasas akustiskās un elektromagnētiskās impedansa izmaiņas, kas ļauj tās kartēt, izmantojot seismoakustiskās un ģeoradara zondēšanas metodes.
Ģeoradara profila, iegūtā ar ekranēto 900 MHz antenu, pārstrādes piemērs ar programas kompleksa RadExPro izmantošanu.
Vietējo neviendabīgumu attēlojums GPR datu kubā
Ortogonālu profilu komplekts, kas izstrādāts uz diezgan blīva režģa ar 2–3 m soli, ļauj apvienot divdimensiju griezumus ģeoradara datu kubā. Šajā gadījumā var iegūt dažādu atstarotā signāla transformāciju kubus, tā sauktos dinamiskos atribūtus - momentānās amplitūdas, dominējošās frekvences, signāla-trokšņa attiecību un citus.
Objektu kontūru lokalizācija plānā ir balstīta uz atstarotā signāla dinamisko atribūtu karšu konstruēšanu pa datu kuba horizontālajiem posmiem dažādos dziļumos. Viena vai otra dinamiskā parametra izmantošanas efektivitāte dažāda veida objektu lokalizācijai var būt atšķirīga. Konkrētajā gadījumā visinformatīvākā bija signāla-trokšņa attiecības parametra izmantošana, kas atspoguļo signāla formas korelācijas pakāpi blakus esošajos GPR zondēšanas ieviesumos - ierakstītā elektromagnētiskā impulsa skenēšanas pēdās.Dinamisko atribūtu horizontālo griezumu analīze dažādos līmeņos ļauj secināt, ka pētāmajā teritorijā atrodas liels taisnstūra objekts ar izmēriem aptuveni 60x32 m, kas atrodas 1,8-2,2 m dziļumā. Domājams, ka tas ir bijušās konstrukcijas pagrabā betona grida, kas atrodas apakšā bedrē piepildīta ar uzbērta grunšu
Bedri aizpildošo augšņu struktūras interpretācija, pamatojoties uz dažādu frekvenču ģeoradara griezumiem.
Tas, ka norobežojošo augšņu masa ir neviendabīga, liecina par lielu skaitu atstarojošu sarežģītas formas robežu dziļuma intervālā līdz 2 m. Īpaši skaidri tas redzams sadaļās, kas iegūtas ar 900 MHz augstfrekvences antenu. Visefektīvākā augsnes masīva struktūras izpētes ziņā ir interpretācija, izmantojot atsauces ģeotehniskos urbumus.Šajā gadījumā ir iespējams saistīt atstarojošos horizontus uz griezumiem ar robežām uz litoloģiskajos urbumu griezumos. Savukārt griezumos pārliecinošāk izšķir dažāda sastāva augšņu slāņus un lēcas. Un, pamatojoties uz augsnes sastāvu, ir iespējama zināma elektromagnētisko viļņu izplatīšanās ātruma korekcija un attiecīgi pazemes objekta dziļuma uzlabošana.
Mazdziļuma seismiskās izpētes datu apstrāde
Lai precizētu ar GPR identificēto objektu raksturlielumi, bija nepieciešami papildus mērījumi, izmantojot seismiskās izpētes metodi pa atsevišķām līnijām. Šī metode ļauj novērtēt elastīgo viļņu izplatīšanās ātrumu augsnes masīvā un noteikt identificēto objektu blīvumu. Profili tika izpildīti, izmantojot telemetrisko datu iegūšanas sistēmu, kas balstīta uz attāliem seismiskiem moduļiem IM2416, un 32 kanālu ģeofonu izkārtojumu. Ierakstīšanas ilgums bija 2000 diskrētu, katram kanālam ar izšķirtspēju 500 μs, ierakstīšanas laiks bija 1 sekunde. Seismisko impulsu ierosināšana tika veikta ar 8 kg smaga āmura sitieniem pa tērauda plāksni uz augsnes virsmas.
Reilija virsmas viļņu ierakstu interpretācija
Seismisko ierakstu apstrāde ar RadExPro pakotne, izmantojot MASW (Multichannel Analysis Surface Waves) metodi, ļauj novērtēt šķērsviļņu izplatīšanās ātrumu. MASW apstrādes piemērs ir parādīti attēlā (pa kreisi).Nakošā attēlā parādīti bīdes viļņu izplatīšanās ātrumu divdimensiju (2D) griezumi pa profilu 2. Šajos grizumos augsnes masīva slāņveida struktūra izpaužas skaidrāk. Lai gan ātruma sadalījuma pa griezumu vispārīgais raksturs un ātrumu Vs absolūtās vērtības, kas iegūtas ar šīm programmām, ir tuvu viena otrai. Turklāt griezumā attēlā pēc GPR datiem apzinātas bedres robežās ap 2.0 m dziļumā izteiktāk izceļas palielinātu ātrumu Vs slānis ar biezumu 1-1.5 m, kas piepildīts ar smilšu-šķembu pildījuma grunti.Apakšā, uz attēlās ir parādīti aprēķinātā skaitļa N grafiku piemēri salīdzinājumā ar šķērsviļņu (Vs) un garenvirziena viļņu (Vp) ātrumu grafikiem 1. un 2. profila galos. Jāpatur prātā, ka Vp ātruma grafiki šajā gadījumā arī tiek aprēķināti, pamatojoties uz sākotnējiem Vs ātruma grafikiem. Tie ir aprēķināti, ņemot vērā ieviesto gruntsūdens līmeni 5,3 m dziļumā, un tiem ir straujš lēciens uz pilna ūdens piesātinājuma robežas. Augsnes masas augšējā daļā līdz gruntsūdens līmenim Vp ātrumiem ir zemas vērtības robežās no 300-400 m/s, dažkārt salīdzināmas ar Vs ātrumiem.
Uzbērtās grunts un kvartāra nogulumu masīva kopējās deformācijas moduļa griezuma piemers.
Lai veiktu seismiskās profilēšanas datu interpretāciju, pamatojoties uz garenviļņu un šķērsviļņu divdimensiju ātrumu griezumaiem, tika aprēķināti prognozētie grunts ģeomehāniskie parametri.Iegūtie dati par garenvirziena un šķērsviļņu izplatīšanās ātrumiem ļauj iegūt augsnes masīva elastības parametru integrālos raksturlielumus un nodrošina ievērojami lielāku izpētes dziļumu.
Augsnē identificētā objekta apstiprinājums sekojošas atvēršanas rezultātā
Turpmākie izrakumi apstiprināja betona plātnes atrašanos norādītajos dziļumos ar komunikāciju paliekām, kā arī atšķirīgu balasta grunts sastāvu, kas aizpilda bedri, no smiltīm līdz smilts-šķembu maisījumam ar dažāda izmēra šķembām. Tas ļāva saprātīgāk izvēlēties jauno būvju pamatu veidu un konfigurāciju pētāmajā teritorijā.
Gulbenes pilsētas Dzirnavu dīķis






Ģeoradara profila veikšana izmantojot 150 MHz dipolo antenu ar GPS LS2303x-G uztvērēju
Ģeoradara zondēšana, lai noteiktu aluviālās un morēnas augsnes virsmas dziļumu un novērtētu to pārklājošās dūņu biezumu Gulbenes Dzirnavu dīķa akvatorijā, tika veiktа no ledus iecirkņos ar drošu ledus biezumu un bez virszemes ūdens.Sakarā ar ūdens klātbūtni uz ledus virsmas dažos dīķa iecirkņos, kā arī ņemot vērā zondēšanas elektromagnētiskā impulsa paredzamo nelielo iespiešanās dziļumu, zondēšana tika veikta, izmantojot zemfrekvences bezkontakta dipola antenu. Ledus, ūdens, dūņu un zemē esošo augsņu biezuma pētījumu dziļums bija apmēram 15-20 m.
Izpildīto profilu shēma
Zondēšana tika veikta 27 profilos, kuru kopējais garums bija aptuveni 2500 m. Patvaļīgi orientētu profilu tīkla blīvums ļāva uzbūvēt struktūras kartes par dūņu virsmām un zem tām esošajām blīvajām gruntīm.Profili atradās dīķa akvatorijā, kas pētījumu laikā bija segta ar ledu 25-30 cm biezumā. Dažās vietās uz ledus virsmas bija 5-10 cm bieza ūdens kārta, tāpēc patiesībā profili tika izstrādāti pieejamās vietās gar patvaļīgu režģi, ja iespējams, caur grunts paraugu ņemšanas vietām.Veicot profilēšanas darbus ar zemas frekvences dipolantenu 150 MHz, ieraksta intervāls ir 300ns, un tas pie zondēto vidi, ko pārstāv ledus, piesārņots ūdens, plūstošas un mīkstas dūņas un ar ūdeni piesātinātas smiltis ar vidējo dielektrisko caurlaidību (3.5-5.0) atbilst zondēšanas dziļumam 18-20 m. Signāla pastiprinājums ieraksta sākumā un beigās 12/36 dB. Izdarot ierakstus tika pielietots cietais slokšņu filtrs. Realizāciju summēšanas skaitlis vienai trasei - 4 .
Ģeoradara profila pārstrādes piemers ar programas kompleksa RadExPro izmantošanu
Atbilstoši radilokācijas zondēšanas veikšanas metodiskajām rekomendācijām, dielektriskās caurlaidības vērtība izpētītā vide ir 3-5. Veicot datu apstrādi tika konstatēts, ka caurlaidības vērtībai jābūt aptuveni 3.5, un tas atbilst ledum, piesārņotās ūdenīm, plūstošām un plastiskām dūņām un ūdens piesātinātai smiltij.Speciālie elektromagnētiskā viļņa izplatības ātruma mērījumi darbu laukumā netika veikti. Kā kritēriju dielektriskās konstantes vērtības novērtēšanai, kas nosaka elektromagnētiskā viļņa izplatīšanās ātrumu, tika ņemtas atstarojuma reģistrācijas, kas nāk no plūstošo dūņu virsmas, no robežas starp plūstošām dūņas un plastiskām minerālu dūņas un no aluviālo un morēno nogulumu virsmas.Lai iegūtu pareizāku izsekoto atstarojošo robežu dziļuma korelāciju ar litoloģiskajām robežām starp dažādiem augsnes veidiem, kas ņemti paraugu ņemšanas vietās, tos salīdzināja visā ģeoradara profilu komplektā un izvietoja netālu no to paraugu ņemšanas vietām. Šāda salīdzinājuma piemērs ir parādīts attēlā. No šī attēla redzams, ka punkta GP-9 apgabalā, kura dibena dziļums ir lielāks par 2 m, ir diezgan laba atsoguļojumu fāžu sakritība ar litoloģiskajām robežām.
Plūstošo dūņu slaņa biezuma karte
Kopīgi analizējot paraugu ņemšanas datus un GPR griezumu dīķa piedibēna apakšējā daļā, tika noteiktas trīs atstarojošās robežas, kas ir diezgan konsekventi saistītas visā darba iecirkņī. Tie ir attiecīgi aprobežoti ar plūstošo dūņu virsmu, robežu starp plūstošām un plasiskām minerālu duņas un uz aluviālo un morēno augsņu virsmu. Niršanas dziļuma rezultāti pa šīm atstarojošajām robežām tiek apkopoti datu bāzē.Izmantojot datu bāzi, tika konstruētas 3 atbilstošu virsmu kartes un plūstošās un plastiskās minerālu duņu biezuma kartes. Kartes parāda gareniskā profila stāvokli gar dīķa asi.
Plūstošo un plastisko dūņu copīga biezuma karte
Pamatojoties uz zondēšanas rezultātiem, tika izsekotas atstarojošās robežas dūņu biezumā un to izplatības apakšējā robeža. Veikts kopējā duņu tilpuma novērtējums dīķa akvatorijā, kā arī vāju plūstošo dūņu augšējā slāņa un plastisko minerālu dūņu apakšējā slāņa tilpumu novērtējums
Gareniskais profils gar diķa viduslīniju
Aprēķināts griezums pa šo profilu tiks iegūts horizontālā mērogā 1: 5000 un vertikālā mērogā 1: 100. Atstarojošo robežu stāvoklis šajā profilā ir parādīts, ņemot vērā absolūto ledus virsmas augstumu +117,00 m.
Naftas bazes reconstrukcijas laukums








Pētījuma galvenais mērķis
Pētījuma galvenais mērķis bija identificēt svešķermeņus grunts masīva izpētes vietās plānotās naftas bazes reconstrukcijas un būvniecības vietai. Blīvu svešķermeņu vai dabas objektu (lielu laukakmeņu, augsta blīvuma grunts starpslāņu) klātbūtnes diagnostikas pazīme GPR ierakstos ir atstarotā elektromagnētiskā impulsa amplitūdas strauja pieauguma zona. Tas ir saistīts ar krasiem elektromagnētiskās pretestības lēcieniem dažādu blīvumu ķermeņu robežāsĢeoskenēšanas izpēti veiktas uz zemes gabala 138x116 m platībā ~ 16000 m2
Ģeoradara profila veikšana izmantojot 900 MHz ekranēto antenu ar GPS LS2303x-G uztvērēju
Datu interpretācija un resultātu analīze
Iegūto GPR datu interpretācija tika veikta trīs posmos. Vispirms no profila ierakstiem tika salikti tā sauktie datu kubi - skenēšanas trašu tilpuma paraugi, kuru piemērs ir parādīts pa kreisi. Ar programmas RadExPro palīdzību, kas ļauj pārvietot un vizualizēt datu kuba ortogonālās šķērsgriezuma plaknes trīs dimensijās, iteratīvā režīmā tika veikta atstarotā skenēšanas impulsa dažādu dinamisko parametru anomālo zonu identificēšana un lokalizācija.
Otrajā posmā tika veikta datu kuba horizontālo un vertikālo griezumu sagatavošana un apstrāde pa plaknēm, kas šķērso anomālās zonas, kas ļauj iegūt anomālo zonu kontūras plānā un gar vertikālajām plaknēm.
RMS-amplitūdu parametra šķērsgriezums 2,5 m dziļumā.
Lai identificētu un lokalizētu iespējamos tehnogēnos objektus, kas atrodas grunts masīvā, no RadExPro programmatūras pakotnē izmantotās parametru kopas tika atlasīti tris visskaidrāk atspoguļojošie parametri atstaroto signālu iepriekš minētie raksturlielumi – RMS, FRQ un SNR.Iespējamo tehnogēno objektu telpiskajai lokalizācijai zemē visu profilu ieraksti, kas iegūti ar 900 MHz antenu, tika apvienoti vienā datu kubā. Pēc tam tika iegūti iepriekš minēto parametru horizontālie griezumi pa plaknēm dažādos dziļumos pēč 0,1 m līdz 3,0 m no zemes virsmas. Slāņa biezums, kuram tika aprēķināta atbilstošā parametra vidējā vērtība, bija 20 cm.Pētījuma vietā RMS-amplitūdu horizontālie griezumi parasti sniedz ļoti sarežģītu raibu attēlu ar daudzām nelielām anomālijām
SNR parametra šķērsgriezums 2,0 m dziļumā
Signāla un trokšņa attiecības (SNR) parametrs raksturo blakus esošo skenēšanas trāšu identitātes pakāpi. Tādējādi šī parametra palielinātās vērtības atbilst viena un tā paša grunt masīva intervāliem, kas ir viendabīgas horizontālā virzienā. Savukārt zemākas parametra vērtības tiek novērotas tajās vietās, kur krasi mainās blakus esošo trāšu ierakstīšanas forma, t.i. asas neviendabības klātbūtnē grunts masīvā.SNR parametra griezums pa platību grunts masīva augšējā daļā būtiski atšķiras no RMS amplitūdu griezuma.
Atstarojošo horizontu reljefs augsnes masīvā
Daudzos profilos virszemes daļā 30-40 cm dziļumā iezīmēta atstarojoša robeža, kas acīmredzot, atbilst tehnogēnās augsnes augšējā smilšainā slāņa pamatnei. Dziļāk tiek novērots sarežģīta viļņu aina ar atstarojošiem horizontiem ar dažādiem slīpumiem un atšķirīgiem atstarošanas raksturlielumiem. Augstas atstarošanas vērtības atbilst paaugstināta blīvuma slāņu vai objektu virsmām.Lielākajā daļā GPR griezumu kompleksā atstarojošā horizonta virsma ir diezgan skaidri redzama, kas atrodas 0,5 līdz 2,2 m dziļumā. Vietnē uz šīs atstarojošās virsmas var izsekot vairākas ieplakas, kuru dziļums ir no 1,0 līdz 2,2 m no virsmas. Dziļākā no tām izskatās kā šaura grava 6-15 m plata un stiepjas no izpētes vietas dienvidrietumu malas līdz tās centram ziemeļaustrumu virzienā.Attēlā pa kreisi parādīta ieplaku dibenu virsmas strukturālā karte. Šo ieplaku dziļums atsevišķos gadījumos vietas sasniedz 2,5 m. Šīs atstarojošās robežas plaša ieplaka novērojama ziemeļrietumu virzienā izstieptas ieplakas veidā ar sarežģītu robežu konfigurāciju plānā pie vietas ziemeļaustrumu robežas. Spriežot pēc lielā lokālo neviendabīgumu skaita slānī virs šīs robežas, tas atspoguļo dalījumu starp tehnogēnās augsnes pildījumu un jūras (vai aluviālo) smilšainu un mālu nogulumu virsmu.
Svešķermeņu noteikšana grunts masīvā
Trešajā posmā tika veikta detalizēta vertikālo griezumu apstrāde pa reprezentatīvākajiem profiliem, lai pilnīgāk novērtētu identificētos objektus, to konfigurāciju un izcelsmi.Pazīmes par lieliem svešķermeņiem, kuru blīvums ievērojami pārsniedz apkārtējās grunts blīvumu, ir apgabali ar strauji palielinātu atstarotā signāla amplitūdu. Mazāki objekti, kuru izmērs ir salīdzināms ar viļņa garumu (pie noteiktas zondēšanas impulsa frekvences 900 MHz no 15-20 cm un vairāk) tiek attēlotas ar difrakcijas viļņu paketēm, kurām ir fāzes asu hiperboliska forma.Paplašināti atspīdumu laukumi no cietajām robežām tika novēroti pa profiliem pie vietas daždiem daļam. Ņemot vērā vairāku atspulgu fāžu klātbūtni, anomāliju var interpretēt kā nelielas ēkas pamatu un asfalta seguma paliekas.
Pazemes tehnogēno objektu lokalizācijas shēma
Gandrīz visos apstrādātajos profilos tika konstatētas nelielu lokālu objektu izpausmes pazīmes zemē. Kopumā tika apzināti 157 šādi objekti. Objektu novietojums parādīts attēlā. Katram identificētajam objektam tiek piešķirts numurs un kartē tiek atzīmēts tā augšējās virsmas dziļums. Lielo platību aprakto objektu, piemēram, asfalta un betona segumu, betona plātņu, šķembu pildījumu, kontūras ir norādītas kartē, nenorādot numurus. Identificēto objektu koordinātas, to numuri un dziļumi, kā arī profilu un skenēšanas punktu numuri norādīti datu bazē.Pētījumu vietas dienvidrietumu stūrī no 0,4 m līdz 1,0 m dziļumā tika identificēti divi plaši aprakta asfalta vai betona seguma lauki Asfalta slāņa esamība gruntī 0,6 m dziļumā tika apstiprināta ar ģeotehniskā urbuma urbšanas datiem.
Ventbunkers naftas termināļa krasta aizsardzības augsnes masīvs





Naftas termināļa augsnes masīvas krasta aizsardzības stāvokļa izpēte un uzraudzība
Darbs tika veikts ar mērķi izstrādāt preventīvus pasākumus augsnes masīva augšējās daļas nostiprināšanai, galvenokārt vietās, kur ir uzstādīti naftas sadales cauruļvada pārvada balsti. Darba mērķis bija noteikt garenviļņu izplatīšanās ātrumu griezumu estakades pamatnes augsnēs 3-4 m joslā līdz 4-5 m dziļumam zem sadales naftas cauruļvada balstu pamatnes līmeņa.
Augsnes masīva seismiski-akustiskā caurlaidības shēma un seismiskā ieraksta piemērs
Zem betona krasta aizsargplāksnēm grunts masas virsmas krituma vērtību vizuāli noteica, urbjot caurumus betonā ar diametru 150 mm. Caurumus naftas terminala piekrastē klients ir izurbis ar intervālu 4-6 m. Ievērojama daļa caurumu plātņu iegrimšanas vietās atklāja tukšumus starp betona plātņu apakšējo virsmu un šķembu uzbērumu uz augsnes masas virsmas.Vislielākās betona plātņu iegrimšanas vietās krasta aizsardzības augšējā malā Klients ir izurbis urbumus ar dziļumu 8-10 m. Lai novērtētu augsnes masas ātruma heterogenitātes telpisko sadalījumu, tika veikta akustiskā skenēšana ar vibrāciju ierosmi caurumos krasta aizsardzības slīpumā un uztveršanu urbumos, kas apvalkotas ar polietilēna caurulēm.Attālumi no urbuma ass līdz caurumiem vibrācijas ierosmes punktos svārstījās no 6 līdz 40 m. Tomēr parasti attālumos, kas pārsniedz 30 m, reti bija iespējams iegūt atšķirīgus garenisko viļņu ierakstus pirmajos ierašanās gadījumos, ņemot vērā tanku un kompresoru staciju mašīnu radīto augsto troksni, kā arī nepietiekamas enerģijas iedarbības dēļ, kad rodas aizraujošas elastīgās vibrācijas. Tādējādi katram urbumam bija iespējams veikt caurskātīšanu piekrastes slīpuma posmā līdz 60-70 m.
Garenviļņu ātruma vertikālie griezumi vienā no krasta aizsardzības plākšņu krituma posmiem
Vertikāli ātruma griezumi tika iegūti gar vertikālām plaknēm, kas iet paralēli naftas sadales cauruļvada pārsēšanās asij. Vertikālo griezumu plaknes atrodas ar intervālu 1 m. Cauruļvada balstu ass atbilst griezumu gar plakni, kas iet gar ordinātu 301,0 m. Katram poligonam tika iegūtas griezumu plaknēm ar koordinātām 299, 300, 301 un 302 m. Ņemot vērā viļņu izplatīšanās ceļu raksturu un telpisko atrašanās vietu seismisko staru refrakcijas punktiem, griezumiem uz dažādām plaknēm ir atšķirīgi dziļuma un X koordinātu ierobežojumi. Griezumu virknē ir skaidri redzama anomāla zema ātruma zona līdz dziļumam virs 3-4 m, paplašinoties jūras virzienā.
Garenviļņu ātruma sadalījuma uzraudzība vienā no remonta un apkopes darbu posmiem
Daļa no betonā urbtajiem caurumiem tika izmantota plastificētas cementa javas iesmidzināšanai tukšumos un ar augsnes mīkstināšanas intervaliem. Cita caurumu daļa tika sagatavota saglabāšanai un tika izmantota elastīgo viļņu izplatīšanās ātruma atkārtotai mērīšanai krasta aizsardzības augsnes masīvā nākamos divus gadus pēc remonta. Pa kreisi redzama tukšumu karte (а) zem plāksnēm remontdarbu uzsākšanas laikā un vertikālā ātruma griezumi pirms iesmidzināšanas sākuma (б), 7,5 mēnešus pēc plastifizētā betona iesmidzināšanas (в) un 15 mēnešus pēc remonta (г). Griezumos skaidri parādīta augsnes masas virsmas slāņa sablīvēšanās. Samazinātu ātrumu atlikušā zona netālu no novērošanas urbuma projekcijas ir saistīta ar augsnes masas ar novājināsanu urbuma tiešā urbuma telpā, kas notika urbšanas laikā.
Piekrastes nogāzes augšējās daļas augsnes slāpēšanas perēkļu izpausmes elektrotomogrāfijas un garenviļņu ātruma griezumos
Lokālie sufūzijas procesu iespējamās izpausmes laukumi atbilst zemākām elektriskās pretestības un garenviļņu izplatīšanās ātruma vērtībām.
Ventspils ostas naftas terminals








Ventspils ostas piekrastes nogāzes un akvatorijas augsnes stāvokļa izpēte
Pēc bagarēšanas liela apjoma ostā tika veikti ģeofizikālie pētījumi. Bagarēšanas rezultātā gar piestātnēm piekrastes nogāzes un dibena leņķu stiepšanās palielinājās gar bagarēšanas darbu robežām. Palielinoties saņemto tankkuģu tonnāžai, litodinamiskie procesi ostas spraudņā jūras dibenā un lielā mērā piekrastes nogāzē strauji pastiprinājās.
Dekompresijas zonu un tukšumu izveidošana
Piekrastes nogāzes augsnes zem beramkravu smilšu slāņa attēlo vājas jūras smiltis, ezera un jūras smilts un ezera ledāja nogulsnes, kuras ir viegli pakļautas nosmakšanai un turbulentu plūsmu mehāniskiem spriegumiem no lielu tankkuģu darba skrūvēm. Viens no negatīvajiem rezultātiem bija smilšu smalko frakciju noņemšana no krasta aizsardzības augsnes pamatnes, plašu dekompresijas zonu un tukšumu izveidošana zem betona plātnēm. Spēcīgu vētru un strauja ūdens līmeņa celšanās dēļ betona plātņu pazemināšanās gadījumi kļuva arvien biežāki.
Akvatorijas un piekrastes nogāzes reljefa deformācijas
Lai novērtētu jūras dibena deformācijas, mēs izmantojām datus no atbalsojošā apsekojuma un sānu skenēšanas sonāras augstfrekvences kanālu.Iegūtie dati tika salīdzināti ar datiem par mērniecības darbu, kas veikts gadu iepriekš, tūlīt pēc jūras dibena bagarēšanas. Visievērojamākās pretējās zīmes deformācijas tika identificētas gar dziļo rievu sāniem un gar piekrastes nogāzi. Kā redzams no dibena topogrāfisko deformāciju kartē gar padziļinājumu malām to malas rāpoja un padziļinājumu dibena atzīmes palielinājās. Sānos uzkrātais nogulumu augstums daudzās vietās pārsniedza 1 m.Gar piekrastes nogāzes pakāpi galvenokārt grunts atzīmju samazināšanās nogulšņu izskalošanās dēļ ar tankkuģu darba skrūvēm tika novērota. Dienvidu ostas spraudņā liela pozitīva deformācija otrā piestātnes sākotnējā daļā tika atklāta - no piekrastes nogāzes noņemtā augsnes slāņa uzkrāšanās līdz 1,5 m augstumam. Turpmākajos gados, pētot piekrastes nogāzes stāvokli zem krasta aizsargplāksnēm šajā apgabalā, augsts nosmakšanas procesu rašanās ātrums tika apstiprināts.
Seismoakustiska profilēšana ostas spraudņū akvatorijās un mazdziļumā seismiskā izpēte krastā
Pētījumu komplekss par augsnes īpašībām ietvēra sānu sonārā skenēšanu un seismiski-akustisko profilēšanu ūdens apgabalā. Krastā statiska skanēšana, ģeotehnisko urbumu urbšana, vertikālā seismiskā profilēšana tajos un seismisko profilu izstrāde, izmantojot atstaroto viļņu (KDP) metodi tika veikti. Neskatoties uz elastīgo viļņu frekvences diapazonā būtiskajām atšķirībām, strādājot uz sauszemes un ūdens apgabalā, izlīdzināt galvenos atstarojošos horizontus dziļuma diapazonā līdz 85 m bija iespējams.
Statiskā skanēšana un vertikālā seismiskā akustiskā profilēšana
Garenvirziena VSP Ierakstos urbumos, kas apvalkoti ar polietilēna caurulēm, līdz ar tieša garenvirziena viļņā pirmajiem ierašanās gadījumiem intensīvi krītoši un augšupejoši hidroviļņī ir skaidri izsekojami, kuru avoti ir zemfrekvences virsmas viļņa harmonikas, kas nāk no trieciena avota līdz urbumam gar augsnes masas virsmas. Hidrauliskā viļņa ātrums ir cieši saistīts ar bīdes viļņu izplatīšanās ātrumu tuvū urbuma stumbra telpā, un to var izmantot, lai aprēķinātu augsnes masas elastīgos moduļus.
Virszemes viļņu ātruma anisotropija beramo augšņu un jūras smilšu to pamatā slānī skaidri izpaužas garengriezuma VSP reģistros no diviem attāliem avotiem, kas atrodas perpendikulārā virzienā no akas ar uztvērējiem - gar krasta līniju apmēram 25 m attālumā no nogāzes sākuma un virzienā no akas līdz piekrastes nogāzes puse. Skaņas ierakstos virszemes viļņa enerģijas vājināšanās un harmoniku ienākšanas aizkavēšanās pie urbuma galvas krastam perpendikulārā virzienā labi izpaužas.
Seismiski-akustisko griezumu stratigrāfiskā piesaite
Statiskās zondēšanas (CPT) un VSP datus izmanto atstarošanai no slāņu robežām stratigrāfiskai saitei, kas izsekojamas seismiski-akustiskā profilēšanas posmos ostas spraudņos. Kvartāra grunts un morēnu slāņu pieaugums atklātās jūras virzienā ar blīvāku morēnas augsnes izejas jūras dibenā no krasta tālvadības akvatorijas daļās tiek atzīmēts.
.
Ostas spraudņa akvatorijas grunts reljefa un tā atstarošanās spējas rekonstrukcija
Grunts atstarošanās spējas karte atkarībā no to akustiskās pretestības lieluma un attiecīgi blīvuma, kas ir uzlikta uz grunts topogrāfijas tilpuma rekonstrukciju, dod priekšstatu, ka jūras dibens sastāv no vājas kvartāra augsnes piekrastes nogāzē un ūdens zonas lielākajā piekrastes daļā. Šajos akvatorijas apgabalos būtiskas grunts topogrāfijas deformācijas ir sagaidāmas, kas saistītas ar grunts nogulumu eroziju un pārkārtošanos. Tas var izpausties kā padziļinātu dibena daļu izkāpšana gar piestātnēm un ar piekrastes nogāzes pēdas eroziju vietās, kur intensīvi pakļauti vētrainām plūsmām no tankkuģu strādājošajiem propelleriem.
Rīgas ostas Bulk termināls




Darbu mērķis
Veikt pētījumus un noteikt piestātnes grunts masīva tehnisko stāvokli, fiksējot grunts atblīvēšanās iespējamās zonas, dobumus un tukšumus. Veikt grunts stāvokļa novērtējumi.Veikt ostas krastmalas pamatnes grunšu georadaru pētījumus, izmantojot dipolaru un ekranējošu tipu dažādu frekvenču antenu kompleksu, kas nodrošina pētījumu dziļumu līdz 3-4 metriem.Atskaites materiālos parādīt iecirkņu georadaru griezumos iespējamās grunts atblīvēšanās, tukšumu, dobumu un grunts masīva apūdeņošanas stavokļi, kas noteikti ar sufozijas procesiem, tehnogēno ieslēgumu un lielu celtniecības atlūzu stavokļi piestātnes iebēruma grunts masīvā.
GPR griezumi, kas iegūtas gar vienu profilu, frekvencēs 150 MHz, 900 MHz un 1,5 GHz
GPR skanēšana dažādās frekvencēs dod ievērojami atšķirīgu rezultātu, izstrādājot to pašu profilu. Atkarībā no zondes impulsa enerģijas un frekvences signāla iespiešanās dziļums un tā atstarošanas pazīmes no augsnes masīva sadaļu robežām ar dažādām fizikālajām īpašībām, litoloģiju un ūdens piesātinājumu ievērojami atšķiras. Dažādu frekvenču GPR griezumu interpretācija sniedz savstarpēji papildinošu informāciju par pētāmo augsņu struktūru un īpašībām.Griezumu izskatu, kas iegūtas ar zemas frekvences dipola antenām, būtiski ietekmē uz zemes esošie difrakcijas objekti, it īpaši metāla konstrukcijas. Intensīvi difrakcijas viļņi no tuvumā esošajiem metāla balstiem tiek izsekoti augšējās griezuma kreisajā daļā.
GPR vertikālais griezums un RMS amplitūdu horizontālie šķērsgriezumi saskaņā ar 3D GPR datiem ar frekvenci 900 MHz
GPR skaņas pārbaude blīvā profilu tīklā ļauj izveidot datu kubu, ko attēlo atspoguļoto signālu amplitūdas iztvērumi, ko var pārveidot dažādu atstaroto signālu dinamisko parametru kubā. Šo parametru sadalījuma kartes uz kuba horizontālajām griezumiem sniedz priekšstatu par dažādu nehomogenitāšu sadalījumu augsnes masīvā, kas ietekmē elektromagnētisko impulsu caurlaidību un atstarošanos. Viens no nozīmīgākajiem faktoriem, kas ietekmē atspoguļotās zondes impulsa amplitūdu, ir augsnes ūdens piesātinājuma pakāpe. Vietās ar paaugstinātu refleksijas amplitūdu ir iespējams uzraudzīt gruntsūdeņu filtrācijas kanālus, caur kuriem notiek zemes pamatnes sufozija un smalku smilšu frakciju noņemšana izplūdes vietā.Attēlotās horizontālie griezumi parāda filtrācijas kanāla formu smilšainā augsnē apmēram 0,5 m dziļumā zem ostas kravas termināļa krastmalas bruģa. Kanāls ir izveidots virszemes ūdens iespiešanās vietā pie ostas celtņa dzelzceļa un tiek izkrauts upē pie pietauvošanās sienas. Zemās atstarošanas amplitūdas gar sliežu ceļu 12 cm dziļumā atbilst tukšumiem un dekompresijām, kas veidojas augsnes pamatnes virsmas iegrimšanas rezultātā.
Kravas mola bruģakmeņu bojājums
Piestātnes seguma bojājums intensīvu sufūzijas procesu un dobuma veidošanās vietā augsnes masīvā
Rīgas ostas pasažieru termināls








Rīgas ostas pasažieru termināla grunts pamatnes izpēte
Darbs tika veikts, lai identificētu pasažieru piestātnes grunts pamatnes neviendabīgumu un struktūru un ieskicētu sufozijas procesu izpausmes vietas ar mazu grunts frakciju noņemšanu upē, kas ir cēloņu neveiksmes un krastmalas cietās asfalta virsmas iegremdēšana. Giezumi, kas iegūtas ar dažādām zondes impulsa frekvencēm un ar dažāda veida antenām, neviennozīmīgi atspoguļo grunts masīva struktūras raksturīgās iezīmes krastmalas pamatnē.
GPR griezums gar piestātnes sienu, kas iegūts ar antenu 150 MHz
Atstarotā robeža 70cm dziļumā visskaidrāk izpaužas zemu ātrumu griezumos un var būt identificēta ar atbēruma virsslāni, kura pamatnē ielikts ģeotekstila slānis. To var saskatīt visos profilos JPS-1 un JPS-2 piestātņu robežās (arī reģistrācijas laiki ir gandrīz vieni un tie paši), un tas savukārt liek šaubīties, vai to var ģeoloģiski attiecināt uz jebkādu grunts masīva fizikalo īpašību sadalījuma virsmu. Ticamāk to var interpretēt, ņemot vērā apriorus datus par piestātņu iekšejās uzbūves konstrukcijas īpatnībām.
GPR griezums gar piestātnes sienu, kas iegūts ar antenu, 900 MHz
Griezumā pietiekami skaidri tiek izsekoti trīs atstarojošie horizonti. Pirmais 40-80 cm dziļumā atbilst robežai starp šķembu spilvenu un smilšainas grunts masīvu. Otrais horizonts izdalās pēc spilgti izteiktās atstarotās robežas dziļumā no 1,6m uz piestātnes JPS-1 līdz 2,1m dziļas robežas piestātnes JPS-2 dienvidu daļā, šī horizonta daļa pagaidām netiek prognozēta. Spriežot pēc krasa garenviļņu izplatības ātruma lēciena šajā dziļumā (līdz 2.7-2.9km/sek), iespējams ka ta ir saistīta ar vecās piekrastes asfalta-betona vai akmens segumu.
GPR griezums gar pasažieru termināla piestātnes centru, kas iegūts ar antenu 150 MHz un garenviļņi ātruma griezums
Izskatot georadara zondēšanas datus un salīdzinot tos ar seismiskās izpetes mazdziļuma zondēšanas rezultātiem, var secināt, ka ir saskatāma anomālo zonu (kas tiek interpretētas kā laukumi ar smazinātu grunts blīvumu) atbilstība uz georadaru un seismiskajiem griezumiem. Šķērsviļņu ātrumu pazemināšanās saistīta ar cietā skeleta, precīzāk, nesaistīgas grunts cietās fāzes, saistīguma un blīvuma mazināšanos zonās, kur notiek smalkas dispersijas frakcijas iznese, un tā nav atkarīga no grunts ūdens piesātinātības.Vietās, kur izpaužas zemu ātrumu elastīgo viļņu izplatība, palielinās porainums, ūdens piesātinātība un izskaloto laukumu dielektriskā caurlaidība. Uz radiolokācijas griezumiem tas izpaužas kā elektromagnētiskā viļņa gājiena laiks un viļņa laiku reģistrācijas „ieilgšna” no robežām atstarotā gruntī.
Mazdziļuma seismiskā izpēte
Seismisko signālu reģistrēšanai izmantots portatīvais daudzkanālu seismoakustiskais reģistrators IS128.03 uz seismoakustisko svārstību IM2416 telemetrisko moduļu reģistracijas bāzes (tehniskie parametri doti "Aprikojums" nodaļā).Seismiskie impulsi tika ierosināti uzsitot ar 8 kg smagam veseram pa gumijas plāksni 15 x 15 cm. Lai uzlabotu attiecību signāls/troksnis, katrā ierosmes punktā veica signālu uzkrājumus no trim akustiskiem impulsiem.
Signālus pieņēma ar 32-kanālu ģeofona kabeli, kanalu solis 2m, kopējais garums 62m. Katrā seismiskās uzņemšanas kanālā bija pa vienam OYO-GEOIMPULSE-20 ģeofonam.Visi seismiskie novērojumi veikti vienā profilā, paralēli kordona līnijai, kas atrodas 7,0m attālumā no tā. Profilēšana pa refraģēto un virsmas metodēm pielietojot vienā 380m garā profilā.
Mazdziļuma seismiskās izpētes datu interpretācija
Lai veiktu sākotnēju seismiskās profilēšanas datu interpretāciju, pamatojoties uz garenviļņu un šķērsviļņu divdimensiju ātrumu griezumaiem, tika aprēķināti prognozētie grunts ģeomehāniskie parametri profilā.Izmantojot ātrumu Vp un Vs sākotnēji griezumi, kas iegūti ar programmām SeisOptim un SeisImager/MASW apstrādāto datu rezultātā, zīmējumā pa kreisi doti griezumi ar aprēķinatiem grunts moduliem:
- Puasona (šķērsdeformācijas) koeficients;
- Junga elastības modulis;
- bīdes modulis.
Pēc tam tika aprēķināti prognozētie grunts parametri
- kopējās deformācijas modulis;
- iekšējās berzes leņķis;
- īpatnēja saiste;
- grunts nestspēja.
Grunts nestspējas aprēķins
Zīmējumos dots grunts nestspējas aprēķins salīdzinājumā ar dažiem ģeomehānisko parametru prognozētajiem griezumiem un radiolokācijas griezumiem. Aprēķins veikts atbilstoši formulai (p.2.41 СНИП 2.02.01-83 «Основания зданий и сооружений»).Kaut gan nestpējas, kā arī pārējo ģeomehānisko parametru aprēķins veikts profila līnijā, kura par 7.0 m attālināta no kordona, aprēķina vērtības horizontālā virzienā raksturos grunts apjomu, kas pēc sava izmēra salīdzināms ar pirmās Freneļa zonas rādiusu, ko nosaka attiecība:R = ½(λh0)0.5 (1), kur:
R – pirmās Freneļa zonas rādiuss, λ - viļņa garums,
h0 - izpētes dziļums.Mūsu gadījumā aprēķini veikti pēc seismiskām svārstībām viļņa garums λ, kuras sausas smilts gruntī, ja impulsa spektra centrālā frekvence ir 50Hz, bet garenviļņu un šķērsviļņu izplatības diapazons pievirsmas slānī ir 130-400m/s, sastāda 2,5-20,0m. Atbilstoši attiecībai (1) pirmās Freneļa zonas rādiuss 5m dziļumā būs 2.5-4.5m, 10m dziļumā – atbilstoši 3,5-6,3m, esošās vērtības raksturos joslas platumu, kurai būs aktuāli aprēķina parametri.
Vecā mola virsmas reljefa kartēšana
Darbā atklājās krasa atšķirība pamatu grunts masas struktūrā un fizikālajās īpašībās pasažieru mola dienvidu (vecajā) un ziemeļu (jaunajā) daļā. Zem senā mola virsmas ar bumbu krāteri, mola dienvidu daļā atrodas blīvas dabiskās aluviālās un morēnas gruntis, savukārt mola ziemeļu daļas pamatni veido aizpildāmās gruntis. GPR griezumā ir redzami spēcīgi difrakcijas viļņi, kas saistīti ar pakalpojumu akām un gājēju nolaišanās galerijas pamatiem.
Kruonis hidroakumulācijas elektrostacija (HAES,Lietuva)







Dambja betona sienu un ūdens noplūdes zonas no rezervuāra erozijas izpēte
Pētījumi tika veikti 32 m dziļā urbumā, kas urbts Kruonis akumulācijas elektrostacijas (Lietuva) augšējā rezervuāra aizsprosta betona sienā, lai identificētu un noteiktu betona iespējamās dekompresijas zonas lielumu ūdens noplūdes vietā no augšējā rezervuāra gar temperatūras šuvi.
Negarenvirziena VSP metodes shēma no aizsprosta virsmas
Betona īpašības tika pētītas ar garenvirziena VSP metodi, kad elastīgās vibrācijas ierosināja ar āmuru sitieniem, kuru svars bija 1 kg, uz aizsprosta betona bloka virsmas pa paralēlu profilu tīklu ar starp attālumu 2 m. Arī ierosmes punktu pakāpieni gar profiliem bija 2 m. 16 kanālu pjezo-hidrofonu zondi ievietoja ar ūdeni piepildītā urbumā un pārvietoja augšup par 25 cm, jo tika izstrādāti visi ierosmes punkti uz virsmas. Tādējādi solis starp uztveršanas kanāliem kompilācijas seismogrammās bija 25 cm.
Akustiskās pārraides metode no skatu vārpstas
Betona īpašības tika pētītas ar seismisko akustisko caurlaidību, kad elastīgās vibrācijas uzbudināja ar āmura sitieniem, kas sver 1 kg, skata šahtā, kas atrodas paralēli novērošanas urbumam 2,6 m attālumā. 16 kanālu pjezo-hidrofona zondi ievietoja ar ūdeni piepildītā urbumā.
Negarenvirziena VSP un seismiskās akustiskās pārraides ierakstu piemēri
Iegūtos ierakstos par negarenvirziena VSP (pa kreisi) un seismiski-akustisko transmisiju no skata vārpstas uz urbumu (labajā pusē) pirmie viļņu ierašanās tika labi izsekoti gar sienu tērauda stiegrojumu ar ātrumu aptuveni 5300 m/s un uz betona ar ātrumu 3100-3200 m/s. Vibrācijas spektra centrālā frekvence abos gadījumos bija aptuveni 1600 Hz.
Dambja bloka nesaspiesto betona sienu biezuma karte noplūdes zonā
Saskaņā ar pirmā viļņa ierašanās ceļa līknēm uz betona 28-32 m dziļumā aizsprosta kasešu bloka sienā blakus temperatūras starpbloku šuvei tika noteikta dekompresijas zona, kurā garenvirziena viļņa izplatīšanās ātrums bija mazāks par 2700 m/s. Šīs zonas biezums pie sienas bija vairāk nekā 4,5 m, pakāpeniski samazinoties kasešu bloka sienas iekšējās virsmas virzienā. Šī zona dziļi atbilst intervālam, kurā ūdens izplūst no augšējā rezervuāra gar izplešanās šuvi, izraisot betona bloku sienas izskalošanos un dekompresiju.
Dekompresētā betona zonas un dobuma tilpuma rekonstrukcija noplūdes zonā
Ātruma šķērsgriezumi, kas iegūti diezgan blīvā profilu tīklā vertikālās plaknēs, tika izmantoti, lai izveidotu tilpuma ātruma sadalījumu aizsprosta blokā un rekonstruētu betona dekompresijas zonas un dobuma telpisko stāvokli bloka sienā, kas rodas ūdens plūsmas izskalošanās rezultātā.
Gāzes noplūdes Obas upes gultnē maģistrālo cauruļvadu posmā (Rietumsibīrija, Krievija)





Objekta raksturojums
Darbs tika veikts galveno gāzes cauruļvadu no Sibīrijas uz Eiropu zemūdens šķērsojumu posmā pāri Obas upei netālu no ciemata. Peregrebnoje (Rietumsibīrija). Upes platums šķērsojumos ir aptuveni 2 km, dziļums ir līdz 16–22 m atkarībā no gadalaika. 12 gadus dažādas organizācijas, izmantojot ģeofizikālās metodes, uzraudzīja cauruļvadu stāvokli upes gultnē šajā 1,8 km platajā zemūdens šķērsojuma posmā.Pirmo reizi anomālas parādības seismoakustiskajos ierakstos, kas saistītas ar gāzes izpausmēm, tika atklātas pēc divu jaunu cauruļvadu ar 1420 mm diametru uzstādīšanas koridora augštecē.
Pārejas zonas grunts augsnes
Upes gultni veido smilšu nogulumi līdz 4-5 m augstu grēdu veidā, ko pārvieto upes straume. Lai ierīkotu cauruļvadus gar upes gultni, tika izraktas tranšejas līdz 5 m dziļumam ar augsnes aizbēršanu. Upes gultnes vidusdaļā, divu jaunu cauruļvadu šķērsgriezumā, atrodas līdz 4 m augsta morēnas grēda. Šeit peldošs ekskavators tika izmantots, lai raktu tranšejas blīvos morēnas māla augsnēs ar lielu skaitu lielu gružu un laukakmeņu.
.
Viļņu modeļa anomālijas seismoakustiskajos ierakstos
Seismoakustisko profilu viļņu modeļa anomālijas tika novērotas to krustošanās punktos ar jauno cauruļvadu posmiem. Tomēr relatīvi zemas frekvences seismoakustisko ierakstu izšķirtspēja (aptuveni 2,5 kHz) neļāva precīzi noteikt gāzes noplūdes vietas jūras gultnē.
.
Gāzu emisiju attēlošana eholotes ierakstos
Pastāvēja iespēja, ka gāzes noplūdes radušās nelielu bojājumu dēļ jauno gāzesvadu savienojumos. Precīzākai gāzes izvadu lokalizācijai ūdens slānī tika veikta atbalss zondēšana, izmantojot LMS-337C DF atbalss zondi ar impulsa frekvenci 50 kHz pa blīvu profilu tīklu ar 5 m attālumu starp tiem.Ehodoloģija ir viena no galvenajām metodēm rezervuāra dibena stāvokļa izpētei zemūdens ejā. Balstoties uz tā datiem, upes gultnes reljefa deformācijas tiek noteiktas aktīvu litodinamisko procesu un cilvēka radītās ietekmes uz cauruļvadu trasēm rezultātā. Eholotes ierakstu apstrāde, izmantojot specializētu programmatūru, ļauj mums identificēt iespējamās gāzes noplūdes ūdens slānī. Sniegtajā eholotes sadaļā skaidri redzamas morēnas grēdas virsmas reljefa detaļas, upes straumes novirzītais gāzes grifs, kā arī nelielas difrakcijas, kas saistītas ar atstarojumiem no lielu zivju gaisa burbuļiem.
Gāzu emisiju lokalizācija no grunts augsnēm gar cauruļvadiem
Precīza gāzes izvadu atrašanās vietas noteikšana ūdens slānī apvienojumā ar detalizētu grunts reljefa izpēti ļauj noteikt noplūžu avotus. Saskaņā ar ehosontēšanas datiem, gāzes noplūdes var izsekot gar tranšejām vietā, kur tās krustojas ar morēnas grēdu. Lai identificētu saistību starp gāzes izpausmju intensitāti un noplūdēm no cauruļvadiem, vienojoties ar gāzes kompresoru stacijas vadību, spiediens caurulēs tika samazināts trīs reizes – no 75 līdz 25 bar. Tomēr gāzu emisiju intensitātes samazināšanās netika konstatēta.Tā kā grifonu intensitāte nemainījās, ievērojami samazinoties spiedienam caurulēs, gāzes izpausmes, visticamāk, bija ģeoloģiskas un bija saistītas ar metāna vai oglekļa dioksīda uzkrāšanos augsnēs zem blīvajiem morēnas grēdas mālainajiem graudiem, kas tika atklāti tranšeju rakšanas laikā.
Termoelektrostacija (TES-2, Rīga)







Skats uz būvlaukumu ģeotehnisko apsekojumu laikā
Darba uzdevumā bija paredzēts:
- starpurbumu seismoakustiskās skenēšanas veikšana trīs ģeotehnisko urbumu grupā, kuru dziļums ir 35 m un kas atrodas 3 m attālumā viens no otra;
- augsnes masīva augšējās daļas elektriskās pretestības mērījums 12 punktos;
- augsnes masīva dziļo daļu elektriskās pretestības mērīšana uz 200 m garām diagonālām līnijām.
Papildu pētījumi tika veikti šādā apjomā:
- garenvirziena vertikālā seismoakustiskā profilēšana (VSP) centrālajā ģeotehniskajā urbumā;
- negareniskā vertikālā seismoakustiskā profilēšana no dienvidu ģeotehniskā urbuma punkta līdz B-3 grupas centrālajam urbumam 3 m attālumā;
- seismiskā profilēšana, izmantojot kopējā dziļuma punkta (CDP) metodi, izmantojot atstarotos viļņus profilā, kas orientēts no rietumiem uz austrumiem;
- seismiskā profilēšana, izmantojot refrakcijas un virsmas viļņu metodi;
- daudzelektrodu profilēšana, izmantojot pretestības metodi (elektrisko tomogrāfiju)
Augsnes virskārtas seismiskā profilēšana un elektrometrija
Profila ģeofizikālie darbi, izmantojot mazdziļumos seismiskos pētījumus un elektrisko tomogrāfiju, tika veikti kopā ar akustisko skenēšanu un VSP trīs urbumos, kas atrodas izpētes vietas centrā. Seismisko datu interpretācijai tika izmantoti ģeotehniskās urbšanas un statiskās zondēšanas rezultāti.
Paredzams augsnes fizikālo īpašību novērtējums pēc garenviļņu un šķērsviļņu ātrumiem
Tālāk iegūtie ātrumi Vp un Vs tika izmantoti, lai aprēķinātu prognozētos grunts un pamatiežu ģeotehniskos parametrus. Blīvums un Puasona attiecība tika aprēķināta visiem dziļuma intervāliem. Nekohēzīvām kvartāra augsnēm tika aprēķināts kopējais deformācijas modulis, iekšējās berzes leņķis un īpatnējā kohēzija. Elastīgās konstantes tika aprēķinātas pamatiežiem: Young modulis, Shear modulis un Bulk modulis.
Morēnas un pamatiežu nogulumu kartēšana, izmantojot atstaroto viļņu metodi
Seismisko profilēšanu veic ar atstaroto, refraģēto un virsmas viļņu metodēm. Lai izveidotu seismiskās greizumus dziļuma skalā, vidējie elastīgo viļņu ātrumi tika izmantoti saskaņā ar VSP datiem centrā.
Paredzams augsnes un pamatiežu blīvuma griezums
Fizikālo parametru, deformācijas un elastības parametru aprēķini tika veikti, izmantojot šādas sakarības:
Tilpuma masa: ρ = 1,2475 + 0,399 Vp – 0,026 Vp2
Sanesām un deluviālām smilšmāla augsnēm:
Deformācijas modulis E = 83,53 - 145,7 Vp +64,15 Vp2
Iekšējās berzes leņķis φ = -151,5 + 194,5 Vp – 52,05 Vp2
Īpatnējā saīste C = 0,03944–0,06583 Vp + 0,2861 Vp2
Porainība m= 0,6482+ 0,05569 Vp - 0,1307 Vp2
Augsnes elektriskās pretestības vērtību karte 4,5 m dziļumā saskaņā ar mikro-VES
Elektriskā zemējuma optimālai izvietošanai tika izveidotas elektriskās pretestības kartes 1,5, 3,0, 4,5 un 6,0 m dziļumā. Dati par pretestību lielumu tika iegūti vairākos būvlaukuma punktos, izmantojot mikro-VES metodi ar barošanas elektrodu atstarpi līdz 18 m. . Saistībā starp elektriskās tomogrāfijas datiem, kas iegūti mazdziļumo seismiskā apsekojuma profilos, VES veica uz divām perpendikulārām līnijām, kuru garums bija līdz 200 m.
Dienvidu tilts (Rīga)




Seismiskā izpēte, ģeoradara zondēšana un dabiskā elektriskā lauka apsekojumi
Darbs plānotajā transporta apmaiņas vietā Dienvidu tilts pāri Daugavas upei labajā krastā, Rīgā, tika veikta ar seismiskām metodēm, izmantojot atstaroto un refraģēto viļņus, ģeoradara zondēšanu un elektrometriju, izmantojot dabiskā elektriskā lauka metodi. Datu interpretācijai mēs izmantojām ģeotehniskās urbšanas rezultātus, ko veica Ceļuprojekts AS. Veikto apsekojumu rezultātā vietās, kur tika uzstādīti vairāki trīs līmeņu ceļu apmaiņas torņi, tika atklātas apbedītā karsta izpausmes pamatiežu dolomītos, kas atrodas zem blīvu morēnas smilšmāla slāņa.
Paleokarsta izpausmes GPR un seismiskā griezumā vienā no transporta mezgla līnijām
Karstas dolomīti būvlaukumā atrodas apmēram 6 m dziļumā, un tos pārklāj ar aluviālajiem nogulumiem un uzbērumo augsni ar 4-5 m biezumu, zem kuriem ievieto blīva morēnas smilšmāla slāni ar biezumu līdz 1,5 m. Attēlā parādīta karsta zonu tipiska izpausme seismiskās un ģeoradaru griezumos.
Paleokarsta izpausmju interpretācija seismiskajos laika griezumos
Datu interpretēšanai iegūti :
- siesmiskie laika mēroga griezumi;
- rādiolokācijas dziļumgriezumi;
- vidējo ātrumu griezumi pa seismiskiem profiliem divkāršotā atstaroto viļņu kustības laika mērogā;
- seismiskiģeoloģiskie dziļumgriezumi;
- garenviļņu izplatības ātrumu griezumi pa seismiskajiem dziļumu mēroga profiliem.Ģeofizikālo datu kompleksa interpretācijai pielietoti visi augstāk minētie materiāli un inženierģeoloģiskās urbšanas dati. Pamatojoties uz vienlaikus veikto urbumu seismiski-ģeoloģiskās, inženierģeoloģiskās izpētes un litoloģisko griezumu analīzi, tika izcelti seismostratēģiskie kompleksi, kuru robežas attēlotas seismiskajos griezumos regulāras sinfazitātes asu veidā.
Dabiskā elektriskā lauka potenciāla karte un apbedītā karsta iespējamās izpausmes vietas
Paleokarsta izpausmes 6-8 m un 10-12 m dziļumā tika identificētas joslā 30-40 m platumā, kas stiepjas pa visu būvlaukumu meridiālajā virzienā. Tajā pašā laikā viena no atšķirīgajām novirzēm, kas parādīta attēlā pa labi, nokrīt uz viena no augstākajiem otrā līmeņa pārsēšanās balstiem. Papildu dabiskā elektriskā lauka potenciāla izpēte atklāja pozitīva gradienta vērtību iegarenu anomāliju paleokarstas joslā, kuras ass ir vērsta uz ezeru upes palienē. Anomālija tiek interpretēta kā saistīta ar pazemes filtrācijas plūsmu pamatiežu virsmas līmenī. Saskaņā ar vēstures datiem šajā vietā atradās neliela Daugavas pieteka, kuru pašlaik aizsprosto pilsētas teritoriju uzberumās augsnes.
Pļaviņas HES augšējā rezerves pārgāznes posms



Atkarības starp bīdes viļņu ātrumu un statiskās zondēšanas parametrus grafiki, iegūtās pārgāznes vietā


Rezerves pārgāznes posms - ūdens uzņemšana
Mazdziļumā seismiskā izpēte un elektrometrija, izmantojot elektriskās tomogrāfijas metodi, Pļaviņas HES plānotā avārijas pārgāznes posmā tika veikta kopā ar ģeotehnisko urbšanu, statisko un dinamisko (standarta) grunts zondēšanu. Seismiskie apsekojumi tika veikti, izmantojot atstaroto, refrakcijas un virsmas viļņu metodes, izmantojot visa veida elastīgās vibrācijas, kas reģistrētas seismogrammās ar vertikāliem ģeofoniem un iegūtas ar vienotu 32 vai 64 kanālu ģeofonu izvietojumu ar atstarpi 2 m starp kanāliem.
Viļņu aina seismiskajos ierakstos
Avārijas pārgāznes augšējā daļā šo posmu pārstāv biezs smilšmāla slānis, kas aizpilda apraktas pirmsledus ielejas filiāli, un aizsargdambja beztaras augsnes un tās pamatnes slānis ar biezumu līdz 16-18 m. Šajā sakarā ieraksti skaidri atspoguļo refrakcijas (laužto) vilni, kas izplatās gar. pamatiežu dolomītu virsmas, atstaroti viļņi no devona nogulumu robežām un intensīvu zema ātruma un zemfrekvences virsmas viļņu secība.
Morēnas augsnes kopējās deformācijas moduļa prognozēto vērtību griezums pa avārijas pārgaznes vidusdaļas asi
Augsnes masas elastīgo konstantu - Younga moduļa, bīdes moduļa un Puasona attiecības - tiešie aprēķini tika veikti, Izmantojot garenisko un šķērsvirzienu viļņu izplatīšanās ātrumu. Prognozējamie fizikālie un mehāniskie parametri - augsnes blīvums, vispārējais deformācijas modulis, iekšējās berzes leņķis un īpatnējā saiste - tika aprēķināti, izmantojot zināmas empīriskās korelācijas atkarības no noteikta veida augsnēm, kuras koriģēja, kopīgi apstrādājot seismiskos un statiskā zondēšanas datus pētījuma vietā.
Sakarībai starp bīdes viļņu ātrumu un standartizēto sitienu skaitu N grafiku korekcija dinamiskas zondēšanas laikā morēnas augsnēs

Atstaroto garenisko (a) un šķērsviļņu (b) metodes laika griezumi
Dažās seismisko profilu sadaļās, lai palielinātu morēnas grunts intervalus apakšējās daļas attēlojumu, ko attēlo rupjas un laukakmeņu grēdas, profilēšanu veica, izmantojot horizontālos elastīgo vibrāciju uztvērējus. No šajos ierakstos iegūtās šķērsviļņu griezumi ar lielāku detalizācijas pakāpi parādīja morēnas nogulumu zemākā intervāla struktūru ar biezumu līdz 10-12 m.
Pļaviņas HES aizsprosta lejups


Garenviļņu ātrumu griezums pa avārijas pārgaznes asi caur kanālu

Vietējo dolomītu dziļuma noteikšanai garenisko viļņu izplatīšanās ātrumu griezumus tika izmantoti, kas aprēķinātas, izmantojot refrakcijas viļņu metodes datus. Dolomītu virsmas stāvoklis kanāla nenosusinātā daļā ar platumu aptuveni 105 m tika iegūts no seismiskajiem ierakstiem no uztveršanas iekārtas, kas atrodas uz salas, un no svārstību ierosināšanas krastā.


Rezerves pārgāznes apakšējā daļa – kritgultnes akas posmā
Darbi, izmantojot inženiertehniskās seismiskās un elektriskās tomogrāfijas metodes, tika veikti uz salu vietas, kas urbšanai upes gultnes centrālajā daļā nav pieejama, tika novadīta, kad hidroelektrostacija apstājās un tika novadīts Keguma hidroelektrostacijas ūdenskratūves līmenis, kas atrodas zemāk kaskādē. Darba galvenais mērķis bija padziļinātās Daugavas ledus ielejas malu kontūras noteikt, kas Pļaviņas HES aizsprosta būvniecības vietā sagriež augšējā devona Pļaviņas formācijas pamatiežu dolomītus. Ielejas stāvas malas, pa kurām zemes nogruvumu un karsta procesi, kā arī paaugstināts gruntsūdeņu filtrācijas ātrums notiek ir nelabvēlīgi smago betona pamatu un ūdens urbuma sienu būvniecībai.
Garenvirziena viļņu ātrumu griezums nosusinātā kanāla salu daļā

Uz paleoielejas klāja dolomītu jumts ir iegremdēts vairāk nekā 6 m.
Garenvirziena viļņu ātrumu posms gar profilu, kas orientēts leņķī pret ielejas gājienu
Dolomīta jumta dziļums profila sākotnējā daļā sasniedz 20 m. Visdziļākā ielejas daļa, kas piepildīta ar ūdeni piesātinātiem morēnas smilšmiltiem, tiek parādīta arī uz ģeoelektrisko griezumu, kas iegūts ar elektrotomogrāfijas metodi.
Morēnas augsnes fizikālo īpašību novērtējums
Ja salas vietā veikt statisku skanējumu un ņemt augsnes paraugus laboratorijas testiem nav iespējams, klasificēt tipus un novērtēt ieleju piepildošo morēnas atradņu fizikālās īpašības Olsena nomogramma tika izmantota, kas modificēta atbilstoši vietējiem apstākļiem un koriģēta atbilstoši krasta ģeofizikas un ģeotehnikas datiem.
Morēnas augsnes kopējo deformāciju moduļa paredzamo vērtību griezums gar vienu no salu profiliem

Ventspils ostas pasažieru termināls



Ģeofonu līnija profilēšanai ar refraģēto un virsmas viļņu metodes
Tehniskais uzdevums paredz:
- uzbērtas grunts seismoakustisko izpēti Ventspils brīvostas piestātnes pamatnē, pielietojot refraģēto, virsmas un atstaroto viļņu metožu kompleksu 10-15m dziļumā.
- izmēģināt profilēšanu ar ģeoradaru
Veikto pētījumu apjoms:
- seismiskā profilēšana ar refraģēto, virsmas un atstaroto viļņu metodi vienam profilam, kura garums ir 126m;
- radiolokācijas zemvirsmas zondēšana, izmantojot divu tipu pieņemšanas un izstarošanas antenas ar izstarotā impulsa darba frekvenci 150 un 900 MHz četros 160m garos profilos;
Veicot profilēšanu ar refraģēto viļņu metodi, kur pieņemšanas kanālu solis bija 2m, ierosmes punktu solis – 8m, tika apstrādāti ofseta punkti ar ierosmes punkta iznešanu 16m no profila sākumpunkta un galapunkta.
Nojaukšanas atklāšana piestātnes grunts pamatā ar seismisko izlukošanu un ģeoradaru.
Par visinformatīvāko parametru, kurš raksturo pazemināta blīvuma zonas, ir jāuzskata šķērsviļņu izplatības ātrumu. Pēc šī parametra un cieši ar to saistītā aprēķina iekšējās berzes leņķa, sausas uzbērtas grunts pievirsmas slānī, diezgan skaidri izceļas 4 anomālās zonas, kas izplatās līdz 2-4m dziļumam. Šī parametra vērtību neietekmē grunts apūdeņotība, tāpēc tas var raksturot grunts masīva īpašības gan virs ūdens līmeņa, gan apūdeņotajā griezuma daļā.Šķērsviļņu ātruma parametrā virs 8m dziļumā PK 30-PK-40 intervālā izceļas plaša pazeminātu ātrumu anomālija, iespējams ka tas ir saistīts ar uzbērtas smilts smalkas dispersijas frakcijas izskalošanu un tās iznešanu upē. Šai anomālijai jāpievērš sevišķu uzmanība, jo tā atrodas blakus likvidētā iegruvuma zonai.
Ģeoradara griezums ar 900 MHz antenu un garenviļņu ātruma griezums
Atstarojošo horizontu ieliekumi grunts masīva augšdaļā, kas varētu būt saistīti ar šķembu sēšanos un smilts apūdeņošanos, kas izraisa atstarojoma no zemāk iegulošajiem horizontiem reģistrācijas laika „vilcināšanos”Radiolokācijas griezumi ar ierobežotu zondēšanas impulsa nonākšanu gruntī zemāk par gruntūdens līmeni, galvenokārt, raksturo nosusinātas grunts slāni līdz 2m dziļumam no zondēšanas virsmas. Šajos griezumos pārsvarā atspoguļota smilts slāņa apūdeņotība, kura varētu būt īslaicīga.
Čoklon-2 (Peru)




Metalurģijās integrētā kombināta uzņēmuma Show Gang (Marcona, departament Ica, Peru) dzelzs rūdas rūpnīcas flotācijas atkritumu izlietne Čoklon-II
Darba mērķis bija identificēt iespējamos tektoniskos traucējumus kvartāra grunšu masīvā līdz 50 m dziļumā, caur kuriem okeānā var iekļūt toksiski atkritumi no flotācijas rūdas bagātināšanas.
Seismiskais profils starpkalnu ielejā - plānotās flotācijas atkritumu urnas vietā
Darbs tika veikts pa retu ortogonālu profilu tīklu, kas atrodas 500-700 m attālumā viens no otra. Profilu orientācija gar un pāri starpkalnu ielejai, kuras zemākajā vietā atrodas projektētās nostādināšanas tvertnes vieta. Darba metodoloģija ir vērsta galvenokārt uz amonīta lādiņu sprādzieniem ierosināto refraģēto viļņu fiksēšanu 0,6-0,8 m dziļās bedrēs ar 120 m intervālu pa profilu.
Refraģēto un virsmas viļņu seismogramma, kas iegūta, eksplodējot amonīta lādiņam, kura svars ir 3 kg, ar ģeofonu izvietojuma garumu 360 m
Ģeofoni ir uzstādīti uz bieza vaļēju smilšu slāņa, kas pārstāv barotni ar spēcīgu elastīgo viļņu enerģijas slāpēšanu. Ierakstus ar garumu no 800 līdz 1600 ms, kas iegūti ar 400 un 800 μs diskrētumu pie 5 m kanālu uztveršanas pakāpiena, izmantoja, lai konstruētu garenisko un šķērsviļņu ātruma griezumus.
Amonīta lādiņu sagatavošana
Virszemes augšņu īpašību dēļ (spēcīgs irdeno augšņu - sausu smilšu-čaumalu virszemes slānis), kurā elastīgo viļņu enerģija tiek strauji vājināta, lai iegūtu refraģēto viļņa godografa līkni pirmajos ierašanās gadījumos ar 250-400m uztveršanas bāzi, tika izmantoti pietiekami spēcīgi elastīgo viļņu avoti - sprādzieni (to atļauj vides aizsardzības iestādes).
Kalnu dambis uz upes Inambari (Peru)




Iežu atsegumi un kompresijas moduļa griezums izmatojot seismiskos datus caur aizsprosta mērķu
Izmeklēšanas ar refraģēto un atspoguļoto viļņu metode Inambari upes ielejā (Departaments Madre de Dios, Peru)
Darbs ietvēra profilēšanu ar refraģēto viļņu metodi kalnu ielejas malās, gar upju krastiem un pāri upes gultnes, kā arī KDP profila izpilde ar atstaroto viļņu metodi pa ceļu labajā krastā pāri aizsprostam.
Seismiskie profili pāri upē hidroelektrostacijas aizsprosta projektētajos posmos
Elastīgo viļņu reģistrēšanai sauszemes posmos tika izmantoti 48 kanālu ģeofoniski izkārtojumi ar kanālu atstatumu 5 m. Upes gultnē signāli tika saņemti, izmantojot hidrofonu straumētājus, kas peldēja vai tika novietoti apakšā ar pjezoelektriskiem spiediena sensoriem. Lai ierosinātu svārstības, tika izmantoti dinamīta lādiņi, kas sver 200–600 g.
Pirmo lauzto viļņu ienākšanas apstrādes rezultāts
Garenviļņu izplatīšanās ātrumu griezums pa šķērsprofilu gar projektētā dambja vietas labā krasta daļu

Zem aizsprosta vērumu, dēdēšanās pamatiežu argillites ar novājinātu izturības īpašības plaša zona tiek parādīta griezumā.
Augsnes iegrimšanas BKRU-2 raktuvju laukā
(Berezņiki, Krievijā)






Metodiskais nodrošinājums darbam, izmantojot ne-garengriezuma VSP un cross-hole skenēšanas metodes
Darbs tika veikts Eiropā lielākās kālija-magnija sāļu Verkhne-Kama atradnes teritorijā. Depozīts ir izveidots kopš pagājušā gadsimta 30. gadiem. Mīnu lauki aptver plašas pilsētu un rūpniecības attīstības teritorijas, kuru augsnes pamatos pazemes darbu ietekmē pēdējā laikā sāk attīstīties bīstami tehnogēni procesi. Krievijas Zinātņu akadēmijas Kalnrūpniecības institūts šādus procesus identificē un uzrauga jau vairākus gadu desmitus. Viena no daudzsološākajām monitoringa metodēm ir seismiskie pētījumi uz virsmas un vides iekšējos punktos.Mūsu uzdevums bija nodrošināt metodisko atbalstu ģeofizikālajiem darbiem, izmantojot vertikālās seismiskās profilēšanas un krusteniskās seismoakustiskās zondēšanas metodes, un izstrādāt programmatūru datu apstrādei un interpretācijai.
Programmatūra datu apstrādei un interpretācijai
Unikālo datu apstrādes programmu izstrāde tika veikta paralēli lauka darbu tehnoloģijas izstrādei, izmantojot ne-garengriezuma VSP un krustveida seismisko attēlveidošanu. Gandrīz katrs jauns pētniecības objekts, ņemot vērā būtiskas atšķirības seismisko ģeoloģiskajos apstākļos, izpētes apgabalā un dziļumā, prasīja jaunu algoritmu izstrādi un apstrādes moduļu uzbūvi. Algoritma kodols bija modulis neviendabīgas slāņveida ātruma vides adaptīvai modelēšanai, samazinot elastīgā viļņa pārvietošanās laika funkciju no avota līdz uztvērējam. Piemērs barotnes ātruma modeļa konstruēšanai, pamatojoties uz starpurbumu skenēšanas metodi, izmantojot teorētisko hodogrāfu sērijas minimālo noviržu principu no novērotajiem, ir parādīts attēlā pa kreisi.
Zonu ar novājinātām stiprības īpašībām noteikšana augsnes iegrimšanas vietās, izmantojot negarenisko VSP metodi
Virssāļu slāņu sabrukšana notika daudzās Berezņiku pilsētas dzīvojamo un industriālās attīstības jomās. Vēl lielākā skaitā teritoriju ir novērojama augsnes slāņa nosēšanās virs raktuvju darbiem. Nogrimšanas ātrums dažviet var sasniegt pat 40 cm gadā. Daudzās identificētajās iegrimšanas zonās ir izurbti monitoringa urbumi, kuros periodiski tiek veikti pētījumi, izmantojot urbuma seismiskās izpētes metodes kopā ar profila novērojumiem uz zemes. Novērojumi, izmantojot negarenisko VSP metodi, tiek veikti nejauši izvietotu profilu tīklā (atkarībā no raksturīgā reljefa un šķēršļiem). Izmantojot tiešo VSP, elastīgo viļņu ierosmes avoti atrodas uz virsmas, un signālu uztvērēji atrodas akā. Izmantojot apgriezto VSP, notiek pretēja vienošanās.Attēlā pa kreisi parādīts elastīgo viļņu ātruma mērīšanas rezultāts pa trim paralēliem profiliem, kas atrodas 10, 12 un 14 m attālumā no urbuma ar uztvērējiem. Novērošanas vietā zemes virsmas nosēšanās ātrums ir 11 cm gadā. Intensīvākās iegrimšanas zona profilos tiek attēlota ar strauji samazinātiem elastīgas viļņus izplatīšanās ātrumiem pie monitoringa urbuma.
Starpurbumu skrīninga metode
Trīs gadus vēlāk šajā teritorijā tika izurbti vēl divi novērošanas urbumi, kuros tika veikti pētījumi, izmantojot seismoakustisko pārraidi. Mērījumi tika veikti ar impulsu ierosmi ar elektriskās dzirksteles avotu un signālu uztveršanu ar hidrofoniem virzienā uz priekšu un atpakaļ starp trim urbumiem 60 m dziļumā, kas atrodas vienā līnijā. Laba pārraides rezultātu konverģence virzienā uz priekšu un atpakaļ apstiprina vispārējo elastīgo viļņu izplatīšanās ātrumu samazināšanos urbuma 17ig apgabalā (nodaļas labajā pusē). Visizteiktākā ātrumu samazināšanās vērojama posma lejas daļā vairāk nekā 35 m dziļumā.
Posma kreisajā daļā pie akas 17A iežu masas virszemes daļā fiksēta zemu ātrumu zona, kas var liecināt par jaunas zemes virsmas iegrimšanas zonas veidošanos.
Zemes virsmas intensīvas nogrimšanas zonas lokalizācija
Pētījumi apgabalā ar augstu zemes virsmas iegrimšanas ātrumu (līdz 40 cm gadā), izmantojot ne-garenvirziena VSP un starpurbumu skenēšanas metodes, atklāja lokālu zonu ar strauju elastīgo viļņu ātruma samazināšanos aptuveni 40-50 m. plata Iežu masas iznīcināšanas zona sniedzas 40-45 m dziļumā no virsmas. Šis piemērs uzskatāmi parāda ģeofizikālo novērošanas metožu priekšrocības vides iekšējos punktos, atklājot iežu masas fizikālo un mehānisko īpašību telpiskās izmaiņas, salīdzinot ar urbumu urbšanu atsevišķos punktos.
Iežu masīva kolapse rūpnieciskajā ēkā virs raktuves atveres
Zemes virsmas intensīvas iegrimšanas zonu ģeofizikālais monitorings ļauj laikus noteikt iespējamo katastrofālu bojājumu vietas dzīvojamo un ražošanas ēku ietvaros un, ja iespējams, nodrošināt preventīvus pasākumus bīstamo seku likvidēšanai.
Augsnes iegrimšanas raktuvju laukā (Solikamskā, Krievijā)







Tehnogēna kļūme virssāļu slāņos SKRU-2 raktuvju laukā
Liela virssāls slāņu atteice Solikamskas-2 kalnrūpniecības administrācijas raktuvju laukā notika 2014. gada 18. novembrī Kļučiki dachas kooperatīva teritorijā, 3,5 km uz austrumiem no Soļikamskas. Par galveno kļūmes cēloni uzskata cilvēka izraisītu zemestrīci, kas notika 1995. gadā ar epicentru tajā pašā apgabalā, gruntsūdeņu iekļūšanu karnalīta slāņos, kas ir visjutīgākie pret šķīšanu, un tukšumu veidošanos. Bojājums 2015. gada septembrī ātri paplašinājās no sākotnējiem izmēriem 20 x 30 m līdz 120 x 125 m ar 50 m dziļumu.
Neskatoties uz daudzpusīgajiem likvidācijas pasākumiem, līdz avārijas darbu pabeigšanai galvenā bojājuma izmēri bija 170x190 m, un, ņemot vērā 2018. gadā uz ziemeļaustrumiem no tā izveidojušos jauno bojājumu, sabrukšanas zonas kopējie izmēri sasniedza. 170x230 m.
Shēma staru trajektoriju projekcijām uz zemes virsmas teritoriālās vertikālās seismoakustiskās profilēšanas ģeofizikālās pētījumos laikā
Lai organizētu grunts un iežu masīva stāvokļa ģeofizikālo monitoringu raktuvju lauka teritorijā, kas atrodas blakus avārijai, Krievijas Zinātņu akadēmijas Urālu filiāles Kalnrūpniecības institūts gandrīz uzreiz pēc atteices veidošanās uzsāka dažādus ģeofizikālos darbus. Uz virsmas tika uzstādīts seismisko sensoru tīkls, lai visu diennakti uzraudzītu mikrozemestrīces. Novērojumiem vides iekšējos punktos tika organizēts izmēģinājumu poligons, kurā ietilpa 6 ģeofiziskie urbumi 200 m dziļumā, t.i. gandrīz līdz sāls slāņa virsmai. Periodiski urbumos tika veikts seismoakustiskās vertikālās profilēšanas un starpurbumu skenēšanas komplekss. Tajā pašā laikā uz virsmas ap avāriju tika izstrādāti inženiertehniskie seismiskie profili.Mūsu uzdevums bija nodrošināt metodisko atbalstu monitoringam, izmantojot novērojumus vides iekšējos punktos (ģeofizikālajos urbumos), izstrādāt algoritmus un programmas novērojumu apstrādei, kā arī novērtēt pēcsāls augsnes-iežu masas stāvokļa izmaiņas. slāņi. Zemāk ir ģeofizikālā monitoringa datu apstrādes un interpretācijas piemēri.
Detalizēta ātruma griezuma aprēķins, pamatojoties uz negarenvirziena (areālu) vertikālās seismoakustiskās profilēšanas datiem
Vienā no variantiem tika veikta negareniskā vertikālā profilēšana ar uztvērējiem, kas atrodas urbumā, un, izmantojot pulvera lādiņus, tika ierosinātas svārstības gar profiliem uz virsmas. Profili tika novietoti tā, lai seismisko staru trajektorijas, ja iespējams, aptvertu visu iežu masas tilpumu testa vietā.Monitorings tika veikts, izmantojot 6 urbumus ģeofizikālajā vietā. Katrai pārraides plaknei tika konstruēti pirmo tiešo viļņu pienākšanas hodogrāfi (kreisaja puse) katram novērotajam hodogrāfam, teorētiskais hodogrāfs (centrā), kas atbilst detalizētam ātruma modelim (labajā pusē), izmantojot adaptīvo; modelēšanas metode.
Garenviļņu izplatīšanās ātruma Vp kuba vertikālais griezums pēc apgabala VSP datie
Pamatojoties uz izvēlēto ātruma modeļu kopu, katram ierosmes punktam tika savākts telpiski koordinēts ātrumu paraugs, kam ir apgrieztas piramīdas forma telpā. Apkopošanas paraugs visām urbumiem testa vietā bija telpisks punktu kopums ar ātruma vērtībām, kas līdzinās ātruma kubam, kas iegūts, apstrādājot 3D zemes seismiskos datus. Turpmākā ātruma sadalījuma analīze masīvā tika veikta, izmantojot iegūtā telpiskā parauga nejauši orientētu vertikālu un horizontālu posmu sēriju.Ātruma kuba vertikālo griezumu var iegūt no patvaļīgi orientētas plakņu kopas, izmantojot telpisko paraugu ņemšanas apjomu. Šajā piemērā griezuma plakņu projekcijas iet pa noteiktu izliektu profilu, kura sākumā un beigās atrodas monitoringa urbumos.
Horizontālā ātruma grizuma piemērs +100 m absolūtā augstumā (apmēram 100 m dziļumā no virsmas)
Horizontālo griezumu var iestatīt jebkurā absolūtā līmenī tilpuma ātruma paraugā. Sakarā ar seismisko staru izplatīšanās ar dziļumu ģeometrijas īpatnībām kopējais horizontālās nobīdes laukums samazinās, un griezuma fragmenti tiek “savilkti” uz monitoringa urbumiem.
Ātruma kuba Vp uzbūve, pamatojoties uz negarenvirziena vertikālās seismoakustiskās profilēšanas datiem
Interaktīvai interpretācijai iegūto ātrumu tilpuma paraugu var attēlot ar ātruma kubu. Trīs ortogonālās sekciju plaknes var interaktīvi pārvietot, lai nodrošinātu vizuālāku ātruma anomāliju telpiskā sadalījuma attēlojumu.
Urbuma novērojumu un virsmas seismisko pētījumu kopīga interpretācija, izmantojot virsmas viļņu metodi
Augšā – virszemes viļņu enerģijas vājinājuma koeficienta griezums pēc zemes seismiskajiem ierakstiem, zemāk – garenviļņu izplatīšanās ātrumu griezums pēc negarenvirziena vertikālās seismoakustiskās profilēšanas akās.
Ņežinskas kalnrūpniecības un pārstrādes kombinats (Baltkrievija)







Iežu sasalšanas akustiskā monitoringa datu apstrāde un interpretācija Ņežinskas kalnrūpniecības un pārstrādes rūpnīcas raktuvju šahtas grimšanas vietās
Darba mērķis ir kontrolēt iežu masas temperatūras režīmu ledus klinšu žoga veidošanās laikā raktuvju šahtu sasalšanas zonā Ņežinskas GOK raktuvēs, pamatojoties uz ultraskaņas (akustiskās) kontroles metodēm. Lauka mērījumu darbus veica Krievijas Zinātņu akadēmijas Kalnrūpniecības institūta Aktīvās seismoakustikas nodaļa. Mūsu uzdevums bija monitoringa urbumos negarenvirziena vertikālās seismoakustiskās profilēšanas metodiskais atbalsts, datu apstrāde un interpretācija.
Novērošanas sistēmas
Negareniskā vertikālā seismiskā profilēšana (VSP) raktuvju šahtas rakšanas vietā tika veikta, izmantojot tiešās pārraides metodi ar seismisko impulsu ierosmes avotu izvietojumu gar negareniskiem profiliem uz virsmas, un uztveršanas hidrofona zondes urbumā. Avota līniju un monitoringa urbumu izkārtojums ir parādīts attēlā pa kreisi. Ierosmes punktu pārvietošanas solis pa profiliem ir 4 m, uztverošās hidrofona zondes solis urbumā ir 1 m. Sakarā ar to, ka būvniecības laikā objektā parādījās jauni objekti, ierosmes avota līniju izvietojums būtiski atšķīrās. dažādos pētījuma posmos.
Viļņu modeļa analīze
Pa kreisi redzamajā attēlā parādīts tipisks laika griezums, kas iegūts 3. darba posmā (pēc augsnes sasalšanas pa ledus žoga gredzenveida kontūru). Viļņu modeli raksturo liels skaits labi korelētu krītošu un augošu garenvirziena viļņu. Pirmajos viļņu ienākšanās augsnes masīva vispilnīgākās sasalšanas dziļuma intervālos ir skaidri redzamas paaugstināta ātruma anomālas zonas.
Garenviļņu ātrumu griezums pēc ne-garengriezuma VSP datiem un ātrumu grafiks pēc starpurbumu skenēšanas datiem pirms sasalšanas sākuma
Darbi tika veikti trīs posmos: pirms sasalšanas sākuma, sasalšanas vidējā stadijā un pēc ledus klinšu žoga sasalšanas beigām pēc raktuvju šahtu sākšanas. Sasaldēšana tika veikta, sūknējot zemas temperatūras slāpekli caur saldēšanas akām, kas atrodas gredzenā gar raktuves šahtas sienu kontūru. Akustiskie mērījumi tika veikti 3 kontroles akās, kas atrodas 2-3 m ārpus saldēšanas aku ārējās kontūras.Novērojumi tika veikti, izmantojot negarenisko VSP metodi pa profiliem, kas atrodas ārpus saldēšanas aku kontūras, un ar starpurbumu skenēšanas metodi starp katrām kontrolakām caur projektētās raktuves šahtas iežu masu.
Garenviļņu ātrumu griezums pēc negarengriezuma VSP datiem pirms sasalšanas sākuma
Griezuma augšdaļai raksturīgas salīdzinoši zemas (1200-1500 m/s) ātruma vērtības, kas atbilst aerācijas zonai un ar ūdeni piesātinātām smilšainām un mālainām augsnēm. Tiek atzīmēti nelieli blīvāku litoloģisko šķirņu lēcas formas ieslēgumi. Sākot no 95-100 m dziļuma, strauji palielinās ātrums, kas atbilst blīviem karbonāt-terigēniem iežiem.
Garenviļņu ātrumu griezums pēc negarengriezuma VSP datiem sasalšanas procesa laikā
Pētījuma otrajā posmā, sasalšanas procesā, griezuma augšējā daļā pie saldēšanas aku kontūras parādās paaugstināta ātruma vertikālās zonas. Skaidra sasalšanas izpausme ir arī dziļajā stumbra daļā, pamatiežu sastopamības intervālā. Vidusdaļā 55-80 m dziļumā saglabājas samazinātu ātrumu zona, kas, domājams, ir saistīta ar nepietiekamu sasalšanas pakāpi, jo augsnēs izpaužas aktīvi hidrodinamiskie procesi.
Garenviļņu ātrumu horizontālais griezums pēc negarenvirziena VSP datiem sasalšanas procesā 110 m dziļumā no virsmas.
Iegūtā ātrumu tilpuma parauga horizontālie griezumi dažādos dziļumos ļāva raksturot ātrumu sadalījumu un saistīt tos ar iežu masas litoloģijas un hidrodinamiskā režīma iezīmēm. Attiecīgi tas ļāva novērtēt ledus barjeras sasalšanas pakāpi un kvalitāti dažādos šahtas iespiešanās intervālos.
Projekti un pasūtītāji
1997. gadā, Kalnu Institūts UN KZA (Krievu Zinātņu akadēmijas Urāles nodaļa, p.Perma) Inženierzinātņu 48-kanālu seismiskas stacijas IS-48 un 96-kanālu slēdžā komplekta Izstrāde un izgatavošana pazemes sāls raktuvēs un Verhnekamas kālija sāļi atradnes raktuves laukos darbam

1997 г. Горный Институт УрО РАН (г.Пермь) Разработка и изготовление комплекта инженерной 48-канальной сейсмостанции IS-48 и 96-ти канального коммутатора каналов для работ в подземных соляных выработках и на шахтных полях Верхнекамского месторождения калийных солей
1998. gadā, Kalnu Institūts UN KZA (p.Perma ) Ģeoakustiskā raktuves 32-x kanālā reģistratora IS-32.01 un datu vākšanas un apstrādes programmatūras izstrāde un izgatavošana

1998 г. Горный Институт УрО РАН (г.Пермь) Разработка и изготовление комплекта шахтного 32-х канального геоакустического локатора IS-32.01 и программного обеспечения сбора и обработки данных
1999. gadā, Trests " Kaļiņingradģeofizika" (p. Kaļiņingrada) Iinženierzinātņu 32-kanālu seismostācijas IS-32.02 divu komplektu un programmatūras MSPU (mikro seismo pētījumu urbumos) un RVM datu vākšanai un apstrādei izstrāde un izgatavošana

1999 г. Трест "Калининградгеофизика" (г.Калининград) Разработка и изготовление 2-х комплектов 32-х канальных инженерных сейсмостанций IS-32.02 и программного обеспечения сбора и обработки данных МСК и МПВ
2000. gadā AS "Ceļuprojekts" (p. Rīga) Inženieru ģeofiziskie pētījumi uz zemes gabalā jaunu tiltu pāri Dubnas upe būvēšanas, p. Līvāni (Latvija)

2000 г. AS "Ceļuprojekts" (г.Рига) Инженерно-геофизические исследования на участке строительства нового моста через р.Дубна в п.Ливаны (Латвия)
2000. gadā "Rīgas HES" (p. Rīga) Pieredzējuši darba inženierzinātņu seismiskas izlulošanas metodei un ģeoradara izpētes Rīgas HES dambi posmā

2000 г. "Rigas HES" (г.Рига) Опытные работы методами инженерной сейсморазведки и георадарного зондирования на участке дамбы Рижской ГЭС
2000. gadā IU "L. Konstante" (p. Rīga) Ģeofiziskie pētījumi drenāža kanāla gultnes Ķeguma HES-2 risbermas apakšā

2000 г. IU "L.Konstante" (г.Рига) Геофизические исследования дна водоотводного канала в нижней части рисбермы Кегумской ГЭС-2
2001. gadā SIA "Balt-Ost-Geo"(p. Rīga) Ģeofiziskie pētījumi gultnes bagarēšanas gabalā par Salacgrīvas ostas kuģu ceļiem (Latvija)

2001 г. SIA "Balt-Ost-Geo"(г.Рига) Геофизические исследования дна участка дноуглубительных работ на фарватере порта Салацгрива (Латвия)
2001. gadā IU "L-Konstante" (p. Rīga) Monitoringa ģeofiziskie pētījumi iecirknī remonta-profilakses darbiem apakšā Ķeguma HES-2 drenāža kanāla risbermas

2001 г. IU "L-Konstante" (г.Рига) Мониторинговые геофизические исследования на участке ремонтно-профилактических работ в нижней части рисбермы водоотводного канала Кегумской ГЭС-2
2001. Kalnu Institūts UN KZA (p.Perma) Komplekta raktuvju 64-kanālu seismostacijas IS-32/64.03) izstrāde un izgatavošana

2001 г. Горный Институт УрО РАН (г.Пермь) Разработка и изготовление комплекта шахтной 64-х канальной сейсмостанции IS-32/64.03
2002. gadā AAS "Uralkalij" (p. Berezņiki) Komplekta raktuvju 64-kanālu seismostacijas IS-32/64.04) izstrāde un izgatavošana

2002 г. ОАО "Уралкалий" (г.Березники) Разработка и изготовление комплекта шахтной 64-х канальной сейсмостанции IS-32/64.04
2002. gadā SIA "Balt-Ost-Geo", (p. Rīga) Ventspils avanostas akvatorijas un piekrastes teritorijas ģeofiziskie pētījumi (AS "Ventbunkers ostas iecirknis "

2002 г. SIA "Balt-Ost-Geo", (г.Рига) Геофизические исследования на акватории и прибрежной территории аванпорта Вентспилс (участок порта AS "Ventbunkers")
2002. gadā Kalnu Institūts UN KZA (p.Perma) 128-kanālu telemetrijas inženierzinātņu seismostacijas IS-128.01 bloku komplekta izstrāde un izgatavošana

2002 г. Горный Институт УрО РАН (г.Пермь) Разработка и изготовление комплекта блоков 128-канальной телеметрической инженерной сейсмостанции IS-128.01
2003. gadā SIA "Balt-Ost-Geo"(p. Rīga) Seismoakustiska profilēšana projektējamo bagarēšanas Paldiski ostas posmā (Igaunija)

2003 г. SIA "Balt-Ost-Geo"(г.Рига) Сейсмоакустическое профилирование на участке проектируемых дноуглубительных работ порта Палдиски (Эстония)
2003. gadā SIA "Meridians" (p. Daugavpils) Seismiskas profilešanas darbu izpildes uz Pļaviņu HES kreisā krasta dambi zemes gabala 2

2003 г. SIA "Meridians" (г.Даугавпилс) Выполнение работ по сейсмическому профилированию на участке 2 левобережной дамбы Плявиньской ГЭС
2003-2004 gada SIA "Iženieri" (p. Rīga) Inženieru- ģeofizikas darbu izpildes par grunts masīva fizisko īpašību studijām Ventspils naftas ostas krasta nogāzēs telpiskās tuvu virsmas seismikas metodēm

2003-2004 г. SIA "Iženieri" (г.Рига) Инженерно-геофизические работы по изучению физических свойств грунтового массива берегового склона Вентспилсской нефтегавани методами приповерхностной пространственной сейсмики
2004. g. Kalnu Institūts UN KZA , NPP "Intromag" (p.Perma ) 160-kanālu telemetrijas inženierzinātņu seismostacijas IS-128.02 bloku komplekta izstrāde un izgatavošana

2004 г. Горный Институт УрО РАН, НПП "Интромаг" (г.Пермь) Разработка и изготовление комплекта блоков 160-канальной телеметрической инженерной сейсмостанции IS-128.02
2004. gadā SIA "Meridians" (g. Daugavpils) Seismiskas profilešanas darbu izpildes uz apakšējā Pļaviņu HES bjefa uz zemes gabala 3 drenāžas urbumos atrašanās vietas

2004 г. SIA "Meridians" (г.Даугавпилс) Выполнение работ по сейсмическому профилированию на участке расположения дренажных скважин в нижнем бьефе Плявиньской ГЭС
2004. gadā AS "Ceļuprojekts" (p. Rīga) Inženieru-ģeofiziskie pētījumi Dienvidu tilta pāri Daugavas upe labā krasta transporta mezgla posmā (p. Rīga)

2004 г. AS "Ceļuprojekts" (г.Рига) Инженерно-геофизические исследования на участке правобережной транспортной развязки Южного моста через р.Даугава (г.Рига)
2005. gadā SIA "Iženieri" (g. Rīga) Monitoringā inženieru-ģeofiziskie pētījumi grunts masīva stāvokli izvērtētšanai Ventspils naftas ostas krasta nogāzes pēc remonta-profilakses darbiem

2005 г. SIA "Iženieri" (г.Рига) Мониторинговые инженерно-геофизические исследования по оценке состояния грунтового массива берегового склона Вентспилсской нефтегавани после ремонтно-профилактических работ
2006. gadā KU PP "Meridians" (p. Daugavpils), Kruono UUES (p. Kruonis) Seismoakustiskas izpētes Kruonis sūkņētas uzglābšanas elektrostacijas (UUES) ūdens uzņemšanas deformāsijas šuves ūdens izplūde zonā (Lietuva)

2006 г. KU PP "Meridians" (г.Даугавпилс), Круонисская ГАЭС Сейсмоакустические исследования в зоне протечки воды в деформационном шве водоприемника Круонисской гидроаккумуляционной электростанции (ГАЭС, Литва)
2006-2007 gadā AS "Jūrasinženierģeoloģija" (p. Rīga) Zemūdens maģistrālo gāzesvadu pārejas caur upes un ūdenskrātuves ierices pārbaudes datu vākšanas un materiālu apstrādes programmatūras izstrāde

2006-2007 г.г. АО "Моринжгеология" (г.Рига) Разработка программного обеспечения сбора данных и обработки материалов приборного обследования подводных переходов магистральных газопроводов через реки и водохранилища
2008. gadā GEOEXPLOR S. R. L (Peru) Aparatūras komplektācija, programmatūras izstrāde, darbu izpilde ar refraеģēto viļņu metodi, seismisko datu apstrāde un interpretācija, kas iegūti flotācijas atkritumu aizsprosta ievietošanai Choclon-2, province Marcona, departaments, Ica un uz Santiago de Čuco (Peru)

2008 г. GEOEXPLOR S.R.L (Перу) Комплектация аппаратуры, разработка программного обеспечения, выполнение работ методом рефрагированных волн, обработка и интерпретация сейсмических данных полученных на плотине отстойника флотационных отходов Choclon-2, провинция Marcona, департамент Ica и Santiago de Chuco (Перу)
2008. gadā SIA "Meridians" (g. Daugavpils), SIA "Gidroprojekt" (p. Maskava) Seimisko darbu izpilde ar refraģēto un atspoguļoto viļņi (mini KDP) metodēm, ar elektrotomografiju un eholota merījumiem Pļaviņu HES rezerves spillway posmā

2008 г. SIA "Meridians" (г.Даугавпилс), ОАО "Гидропроект" (г.Москва) Выполнение сейсморазведочных работ методами рефрагированных и отраженных волн (мини-ОГТ), электротомографии и эхолотного промера на участке резервного водосброса Плявиньской ГЭС
2009. gadā GEOEXPLOR S. R. L (Peru) Ģeofiziskās izpētes ar mazdziļumu seismoizlukošanu metodem izpētes veikšanas saskaņā ar augstuma aizsprosta HES būvniecības posmā Inambari ūpē, departamenti Cuzco, Madre de Dios un Puno (Peru).

2009 г. GEOEXPLOR S.R.L (Перу) Геофизические исследования методами малоглубинной сейсморазведки на участке изысканий под строительство высотной плотины ГЭС на р.Инамбари, департаменты Cuzco, Madre de Dios и Puno (Перу), обработка и интерпретация данных.
2009 gadā, SIA "Balt-Ost-Geo", SIA "L-4" (p. Rīga) Ģeofizisko darbu izpilde grunšu īpašības izpētei TES-2 jauno bloku celtniecības laukumā (p. Rīga)

2009 г. SIA "Balt-Ost-Geo", SIA "L-4" (г.Рига) Выполнение геофизических работ по исследованию свойств грунтов на площадке строительства блока ТЭЦ-2 (г. Рига)
2009.gadā , SIA "Meridians" (p. Daugavpils), SIA "Gidroprojekt" (p. Maskava) Darbu izpildes mazdziļumas seismo-izlukošanas un elektro-tomogrāfijas metodēm uz Pļaviņu HES reserves pārgāznes krītgultnes akas posmā

2009 г. SIA "Meridians" (г.Даугавпилс), ОАО "Гидропроект" (г.Москва) Выполнение работ методами малоглубинной сейсморазведки и электртомографии на водобойном участке резервного водосброса Плявиньской ГЭС
2009. gadā GEOEXPLOR S. R. L (Peru) Seismo-izlukošanas darbi ar refraģēto viļņu metodi uz plānoto karjera Mazuko zemes gabalā Inambari upes ielejā, departaments Madre de Dios (Peru).

2009 г. GEOEXPLOR S.R.L (Перу) Сейсморазведочные работы методом рефрагированных волн на участке проектируемого карьера Mazuko в долине р. Инамбари, департамент Madre de Dios (Перу).
2010. gadā GEOEXPLOR S. R. L (Peru) Mazdziļumu seismo-izlukošanas datu apstrāde par grunšu īpašības izpētes projektējamā hidroelektrostacijas laukumā Carpapata upē, departaments Junin (Peru)

2010 г. GEOEXPLOR S.R.L (Перу) Обработка данных малоглубинной сейсморазведки по исследованию свойств грунтов на площадке проектируемой гидроэлектростанции Carpapata, департамент Junin (Перу)
2010. gadā GEOEXPLOR S. R. L (Peru) Mazdziļumu seismo-izlukošanas datu apstrāde par grunšu īpašības izpētes projektējamā hidroelektrostacijas laukumā Carpapata-2, departaments Junin (Peru)

2010 г. GEOEXPLOR S.R.L (Перу) Обработка данных малоглубинной сейсморазведки по исследованию свойств грунтов на площадке проектируемой гидроэлектростанции Carpapata-2, департамент Junin (Перу)
2010. gadā GEOEXPLOR S. R. L (Peru) Mazdziļumu seismo-izlukošanas datu apstrāde par grunšu īpašības izpētes Puente Nana tilta posmā (Lima, Peru)

2010 г. GEOEXPLOR S.R.L (Перу) Обработка данных малоглубинной сейсморазведки по исследованию свойств грунтов на площадке моста Puente Nana (Лима, Перу)
2011. gadā SIA "ATVV Aka" (p. Rīga) Mazdziļumu seismo-izlukošanas metodi pieredzējuši darba ciemata Vangaži ūdens uzņemšanas posmā (Latvija)

2011 г. SIA "ATVV Aka" (г.Рига) Опытные работы методом малоглубинной сейсморазведки на участке водозабора в п.Вангажи (Латвия)
2011. gadā GEOEXPLOR S. R. L (Peru) Mazdziļumu seismo-izlukošanas datu apstrāde ar MASW metodi aluviāla zelta kalnu atradnes Chucapaca-1 posmā, departaments Moquegua (Peru)

2011 г. GEOEXPLOR S.R.L (Перу) Обработка данных сейсморазведки методом MASW на участке высокогорного месторождения россыпного золота Chucapaca-1, департамент Moquegua (Перу)
2011. gadā GEOEXPLOR S. R. L (Peru) Mazdziļumu seismo-izlukošanas datu apstrāde ar MASW metodi uz autoceļa Interokeanika dienvidu zemes nogruvuma iecirknī San Gaban posmā, departaments Puno, Peru

2011 г. GEOEXPLOR S.R.L (Перу) Обработка данных сейсморазведки методом MASW на оползневом участке San Gaban в южной части автотрассы Интерокеаника , департамент Puno, Перу
2012. gadā GEOEXPLOR S. R. L (Peru) Mazdziļumu seismo-izlukošanas datu apstrāde ar MASW metodi aluviāla zelta kalnu atradnes Chucapaca-2 posmā, departaments Moquegua (Peru)

2012 г. GEOEXPLOR S.R.L (Перу) Обработка данных сейсморазведки методами MASW и рефрагированных волн на участке высокогорного месторождения россыпного золота Chucapaca-2, департамент Moquegua, (Перу)
2012. gadā GEOEXPLOR S. R. L (Peru) Mazdziļumu seismo-izlukošanas datu apstrāde ar MASW un refraģēto viļņu metodem viļņu apūdeņošanas būves Chinecas posmā, departaments Ancash, (Peru)

2012 г. GEOEXPLOR S.R.L (Перу) Обработка данных сейсморазведки методами MASW и рефрагированных волн на участке ирригационных сооружений Chinecas, департамент Ancash, (Перу)
2013.gadā SIA "GTL" (p. Ventspils) Ģeofizisko darbu izpilde Ventspils brīvostas pasažieru piestātnes 18 pamatnes grunšu īpašības izpētei.

2013 г. SIA "GTL" (г.Вентспилс) Выполнение геофизических работ методами георадарного зондирвания и сейсморазведки по исследованию свойств грунтов в основании пассажирского причала № 18 свободного порта Вентспилс
2013. gadā GEOEXPLOR S. R. L (Peru) Mazdziļumu seismo-izlukošanas datu apstrāde ar MASW un refraģēto viļņu metodem tilta Las Lomas posmā, departaments Piura, (Peru)

2013 г. GEOEXPLOR S.R.L (Перу) Обработка и интерпретация данных сейсморазведки методами MASW и рефрагированных волн на участке моста Las Lomas, департамент Piura, (Перу)
2013.gadā , Kalnu Institūts UN KZA (p.Perma) Seismoakustisko pētījumu urbumos metodisko pavadījums, programmatūras izstrāde un adaptācija platjoslas VSP datu apstrādei

2013 г. Горный Институт УрО РАН (г.Пермь) Методическое сопровождение сейсмоакустических исследований в скважинах, разработка и адаптация программного обеспечения для обработки данных непродольного ВСП
2013.gadā , SIA "GTL" (p. Ventspils) Ģeoradāra pētījumu izpilde aizbēršanas grunts masīva īpašības izpētei Ventspils brīvostas pasažieru piestātnē Nr. 23 posmā

2013 г. SIA "GTL" (г.Вентспилс) Выполнение георадарных исследований грунтового массива обратной засыпки на пассажирском причале № 23 Вентспилсского свободного порта
2014.gadā , GEOEXPLOR S. R. L (Peru Mazdziļumu seismo-izlukošanas datu apstrāde ar MASW un refraģēto viļņu metodem būvju Potrerillos posmā, departaments Piura (Peru)

2014 г. GEOEXPLOR S.R.L (Перу) Обработка данных сейсморазведки методами MASW и рефрагированных волн на участке сооружений Potrerillos, департамент Piura (Перу)
2015.gadā, GEOEXPLOR S. R. L (Peru) Mazdziļumu seismo-izlukošanas datu apstrāde ar MASW un refraģēto viļņu metodem būvju Ollachea posmā departaments Puno (Peru)

2015 г. GEOEXPLOR S.R.L (Перу) Обработка данных сейсморазведки методами MASW и рефрагированных волн на участке сооружений Ollachea, департамент Puno (Перу)
2015.gadā, AS "LNK Industries" (p. Rīga) Ģeoradara pētījumu bruģa seguma grunts pamatnes izveidošanai brīvostas Rīga Bulk Terminal (Kudziņsala) piestātnes posmā

2015 г. AS "LNK Industries" (г.Рига) Георадарные исследования грунтового основания брусчатого покрытия причала Riga Bulk Terminal (Кундзиньсала) свободного порта Рига
2015.gadā, GEOEXPLOR S. R. L (Peru) Mazdziļumu seismo-izlukošanas datu apstrāde ar MASW metodi uz rūpniecības būvju zemes gabalā pie Rio Blanco upe (departaments Piura,Peru)

2015 г. GEOEXPLOR S.R.L (Перу) Обработка данных сейсморазведки методом MASW на участке строителства на р. Рио Бланко, (департамент Piura,Перу)
2015.gadā, SIA "HT-Konsaltings" (p. Rīga) Inženieru un ģeofizikas darbu izpīlde saskaņā ar grunts pamatnes pētījumu piestātnēm JPS-1 un JPS-2 Rīgas ostas pasažieru termināla posmā

2015 г. SIA "HT-Konsaltings" (г.Рига) Инженерно-геофизические работы по исследованию грунтового основания причалов JPS-1 и JPS-2 пассажирского терминала Рижского порта
2016.gadā, Kalnu Institūts UN KZA (p.Perma) Dziļurbuma seismiskie pētījumi par potenciāli bīstamajām zonām raktuves lauka ar sekojošu ciparu materiālu apstrādi

2016 г. Горный Институт УрО РАН (г.Пермь) Скважинные сейсмические исследования в потенциально опасных зонах шахтного поля с последующей цифровой обработкой материалов
2017. g. Krievijas Zinātņu akadēmijas Urālu filiāles Kalnrūpniecības institūts (Perma) Darbu veikšana, lai kartētu virssāļu slāņu lūzuma zonas paātrinātas iegrimšanas zonās, izmantojot urbuma seismisko izpēti ar sekojošu materiālu digitālu apstrādi un interpretāciju

2017 г. Горный Институт УрО РАН (г.Пермь) Выполнение работ по картированию зон трещиноватости надсоляной толщи на участках ускоренных оседаний с применением скважинной сейсморазведки с последующей цифровой обработкой и интерпретацией материалов
2018 g. Krievijas Zinātņu akadēmijas Urālu filiāles Kalnrūpniecības institūts (Perma), RUE “Belstroytsentr” (Baltkrievija) Datu apstrāde un interpretācija par akmeņu sasalšanas akustisko uzraudzību Ņežinskas kalnrūpniecības un pārstrādes rūpnīcas raktuvju šahtas nogrimšanas vietās

2018 г. Горный Институт УрО РАН (г.Пермь), РУП «Белстройцентр» (Белоруссия) Обработка и интерпретация данных акустического контроля замораживания горных пород на участках проходки шахтных стволов Нежинского ГОК
2018 g. Krievijas Zinātņu akadēmijas Urālu filiāles Kalnrūpniecības institūts (Perma), RUE “Belstroytsentr” (Baltkrievija) Datu apstrāde un interpretācija par akmeņu sasalšanas akustisko uzraudzību Ņežinskas kalnrūpniecības un pārstrādes rūpnīcas raktuvju šahtas nogrimšanas vietās

2018 г. Горный Институт УрО РАН (г.Пермь), ПАО «Уралкалий» (г.Березники) Выполнение работ по методическому сопровождению вертикального сейсмического профилирования на участке оседания надсолевой толщи Верхне-Камского месторождеия калийных солей с последующей цифровой обработкой и интерпретацией материалов.
2018 g. SIA “Firma L4” (Rīga), Grunts elektriskās pretestības noteikšana atsevišķos Spilves vietas punktos.

2018 г. SIA «Firma L4» (г.Рига), Определение электрического сопротивления грунтов в отдельных пунктах участка Спилве.
2019. g. Krievijas Zinātņu akadēmijas Urālu filiāles Kalnrūpniecības institūts (Perma), PJSC "Uralkali" (Solikamska) Metodiskais atbalsts vertikālai urbuma profilēšanai virssāļu slāņu bojājuma zonā un iespējamās iežu masas plaisāšanas zonā raktuves SKRU-2 mīnu laukā.

2019 г. Горный Институт УрО РАН (г.Пермь), ПАО «Уралкалий» (г.Соликамск) Методическое сопровождение вертикального скважинного профилирования в зоне провала надсолевой толщи и потенциальной трещиноватости породного массива в пределах шахтного поля рудника СКРУ-2.
2020. g. Krievijas Zinātņu akadēmijas Urālu filiāles Kalnrūpniecības institūts (Perma), PJSC "Uralkali" (Soļikamska) Metodiskais atbalsts vertikālai urbuma profilēšanai iežu masas iespējamās lūzuma zonā SKRU-2 raktuvju laukā .

2020 г. Горный Институт УрО РАН (г.Пермь), ПАО «Уралкалий» (г.Соликамск) Методическое сопровождение вертикального скважинного профилирования в зоне потенциальной трещиноватости породного массива в пределах шахтного поля рудника СКРУ-2.
2021.g. SIA “Geoproject” (Rīga) Ģeodara izpēte no ledus pilsētas dīķa “Dzirnavu” akvatorijā Gulbenē.

2021 г. SIA «Geoproject» (г.Рига) Георадарные исследования со льда на акватории городского пруда «Дзирнаву» в г.Гулбене.
2021.g. SIA “Inženieru birojs “Būve un Forma” (Rīga) grunts masas GPR skenēšana Daugavas stadiona vieglatlētikas manēžas būvlaukumā.

2021 г. SIA «Inženieru birojs «Būve un Forma» (г.Рига) Георадарное сканирование грунтового массива на участке строительства легкоатлетического манежа стадиона "Даугава"
2021. g. Krievijas Zinātņu akadēmijas Urālu filiāles Kalnrūpniecības institūts (Perma), PJSC "Uralkali" (Soļikamska) Metodiskais atbalsts vertikālai urbuma profilēšanai iežu masas iespējamās lūzuma zonā SKRU-2 raktuvju laukā

2021 г. Горный Институт УрО РАН (г.Пермь), ПАО «Уралкалий» (г.Соликамск) Методическое сопровождение вертикального скважинного профилирования в зоне потенциальной трещиноватости породного массива в пределах шахтного поля рудника СКРУ-2.
2021. g. Krievijas Zinātņu akadēmijas Urālu filiāles Kalnrūpniecības institūts (Perma), PJSC "Uralkali" (Soļikamska) Metodiskais atbalsts iežu masas fizikālo īpašību pētījumiem potenciāli bīstamā griezuma intervālā SKRU raktuvju laukā. 2 raktuves, pamatojoties uz cilvēka radītā trokšņa izpēti.

2021 г. Горный Институт УрО РАН (г.Пермь), ПАО «Уралкалий» (г.Соликамск) Методическое сопровождение иcследований физических свойств породного массива в потенциально опасном интервале разреза в пределах шахтного поля рудника СКРУ-2 на основе изучения техногенных шумов.
2023.g. SIA “Digitālās Ekonomikas Attīstības Centrs” (Rīga) Grunts masas GPR skenēšana DEAC centra būvlaukumā.

2023 г. SIA « Digitālās Ekonomikas Attīstības Centrs» (г.Рига) Георадарное сканирование грунтового массива на участке строительства центра DEAC.
2023.g. SIA "I.A.R." (Rīga) grunts masīva GPR skenēšana Olainas naftas bāzes rekonstrukcijas laukumā.

2023 г. SIA «I.A.R.» (г.Рига) Георадарное сканирование грунтового массива на участке реконструкции Олайнской нефтебазы.
Presentācijas

Būvkonctrukciju atlīkumu lokalizācija augsnēs
Ģeoradara skenēšanas darbi Daugavas stadiona vieglatlētikas manēžas laukumā. 2021.
SIA Interseis

Комплексные зондирования грунтового массива методами малоглубинной сейсмики, электротомографии и радиолокации на проектном маршруте магистрали Rail Baltic
В.П.Лисин, Р.Н.Середенко (SIA “Interseis”)
Инженерная геофизика 2015, г.Геленджик, 24-26.04.2015 г.

Комплексные зондирования грунтового массива методами малоглубинной сейсмики, электротомографии и радиолокации на проектном маршруте магистрали Rail Baltic
В.П.Лисин, Р.Н.Середенко (SIA “Interseis”)
Инженерная геофизика 2015, г.Геленджик, 24-26.04.2015 г.

О роли гляцигенных факторов в формировании структуры грунтовых оснований сооружений на шельфе Юго-Восточной Балтики
В.П.Лисин*, Б.Ф.Романюк, Р.Н.Середенко (АО "Моринжгеология")
«Морские технологии 2019» — Геленджик, Россия, 22-26 апреля 2019 г.

Выявление потенциально опасных зон для морских сооружений на шельфе Южного Каспия разночастотными сейсмоакустическими методами
В.П.Лисин (АО "Моринжгеология"
«Морские технологии 2019» — Геленджик, Россия, 22-26 апреля 2019 г.

SEISMOACOUSTIC INVESTIGATIONS OF BURIED KARST IN THE DAM FOUNDATIONS IN THE DAUGAVA BASIN
V.Lisin, SIA Interseis, Latvia
EAGE 63rd Conference & Technical Exhibition — Amsterdam, The Netherlands, 11 - 15 June 2001

MULTIWAVE SHALLOW SEISMICS
FOR THE DETERMINATION OF BEDROCK AND SOIL PROPERTIES AND S_WAVE STATICS
Victor Lisin, Interseis, Salaspils, Latvia
EAGE 64th Conference & Technical Exhibition — Florence Italy, 27 - 31 May 2002

MULTICOMPONENT SUBSURFACE SEISMIC FOR THE EVALUATION OF SALT PETROPHYSICS
ANDREW BABKIN *1, IGOR SANFIROV *1, VICTOR LISIN *2
1* Russian Academy of Sciences Ural Branch Mining Institute, Perm, Russia, 2*Interseis, Salaspils, Latvia,
EAGE 64th Conference & Technical Exhibition — Florence Italy, 27 - 31 May 2002

EAGE 65th Conference & Exhibition — Stavanger, Norway, 2 - 5 June 2003

INVESTIGATIONS OF THE COASTAL SOIL SUFFOSION BY SPATIAL NEAR-SURFACE SEISMIC
* Victor Lisin, Albert Scharansky, Igor Cogan
1* IU Interseis,Salaspils, 2,3* SIA Inzenieri, Riga,Latvia
EAGE 66th Conference & Exhibition — Paris, France, 7 - 10 June 2004

DUAL-FREQUENCY SUBBOTTOM PROFILING FOR THE EVALUATION OF SAFETY OF OFFSHORE STRUCTURES
Y BEZRODNYKH, V. LISIN*
Joint Stock Co. “Morinzhgeologia”, 22 Smilshu St., Babite, Riga District, Latvia

SHALLOW MULTI-WAVE SEISMIC AND GPR FOR THE INVESTIGATION OF FAULTING IN IRRIGATED SOILS
VICTOR LISIN, IU Interseis, Salaspils, Latvia
EAGE 67th Conference & Exhibition — Madrid, Spain, 13 - 16 June 2005

BURIED KARST REVEALING BY NEAR-SURFACE SEISMIC AND GPR FOR THE PILE DEEPENING ESTIMATION
* 1 V.P. LISIN, * 2 I.A. SANFIROV, 2* A.I. BABKIN, 2*A.G.JAROSLAVTSEV,
3 * L.D.PETUHOV
1* Interseis, Salaspils, Latvia,Russian 2* Academy of Sciences Mining Institute,Perm,Russia, 3* BaltOstGeo,Riga,Latvia

ЭФФЕКТИВНОСТЬ ИНСТРУМЕНТАЛЬНОГО ОБСЛЕДОВАНИЯ И РЕМОНТНО-ПРОФИЛАКТИЧЕСКИХ РАБОТ НА ПОДВОДНЫХ ПЕРЕХОДАХ ГАЗОПРОВОДОВ ЧЕРЕЗ Р.ОБЬ
ЗА ПЕРИОД 1994-2004 г.г.
В.П.Лисин, В.У.Романов, Ю.П.Безродных
(АО Моринжгеология, Латвия)
Конференция ООО Тюментрансгаз по обследованию подводных переходов магистральных газопроводов. Югорск, 20-21 апреля 2005 г.

APPLICATION OF SHALLOW SEISMIC DURING GROUNDWATER FILTRATION INVESTIGATIONS IN THE VICINITY OF A HYDROELECTRIC POWER STATION
V.P.Lisin1, I.A.Sanfirov2, B.A.Bourdjukov3,K.Celminsh4,V.A.Grinyok5
(1Interseis, Salaspils,Latvia, 2 Russian Academy of Sciences Mining Institute,Perm,Russia, 3Institute Hydroproject JSC,Moscow,Russia, 4Daugava HEPS Cascade,Latvia. 5Meridian Ltd,Daugavpils,Latvia)
EAGE Conference & Exhibition Near Surface 2006. 4-6 September, 2006, Helsinki, Finland.

INVESTIGATION OF EROSION OF CONCRETE IN DAM USING SEISMIC TOMOGRAPHY AND SURFACE WAVES
1V.Lisin*, 2I.Sanfirov,3V.Spudulis,3V.Ivanov,4V.Grinyok (1Interseis,Salaspils,Latvia, 2 Russian Academy of Science Mining Institute, Perm, Russia 3Kruonis HAE Power Plant,Kruonis, Lithuania
4 Meridian Ltd,Daugavpils,Latvia)
13th European Meeting of Environmental and Engineering Geophysics, Istanbul, Turkey, 3–5 September 2007

EQUIPOS, MÉTODOS Y RESULTADOS DE SÍSMICA GEOTÉCNICA
Viktors Lisins, Interseis SIA, Riga,Latvia
Reunión técnica de Geoexplor S.R.L., Lima, Perú, 18 de enero de 2008

SHALLOW GEOPHYSICAL TECHNIQUES DURING
UNDERWATER GAS PIPELINE INSPECTION
V.P.Lisin*, I.A.Dolgov, Y.P.Bezrodnykh, V.U.Romanov,
(Mornizhgeologia,JSC Latvia, Tyumentransgas Ltd.,Russia)
70th EAGE Conference & Exhibition — Rome, Italy, 9 - 12 June 2008

EVALUATION OF PROPERTIES OF MORAINIC SOILS BASED ON
SHALLOW SEISMIC, ELECTRICAL IMAGING SURVEYS AND CPT DATA
Viktors Lisins
Near Surface 2010 – 16th European Meeting of Environmental and Engineering Geophysics
Zurich, Switzerland, 6 - 8 September 2010

«ГЕОЛОГИЧЕСКИЕ ОПАСНОСТИ» ДНА СЕВЕРНОГО КАСПИЯ – МЕТОДЫ ИХ ВЫЯВЛЕНИЯ И ОЦЕНКИ ПРИ ИНЖЕНЕРНО-ГЕОЛОГИЧЕСКИХ ИЗЫСКАНИЯХ
Ю.П.Безродных*, В.П.Лисин, В.И.Федоров (АО Моринжгеология, Латвия)
Конференция "Инженерная геофизика 2011" — Москва, Россия,
25-29 апреля 2011

МНОГОВОЛНОВАЯ СЕЙСМИКА ПРИ ИССЛЕДОВАНИИ ОСНОВАНИЙ И ОЦЕНКЕ БЕЗОПАСНОСТИ ГИДРОТЕХНИЧЕСКИХ ОБЪЕКТОВ
Виктор Лисин (Interseis, Латвия), Хусто Гамарра (GeoExplor S.R.L., Перу)
Конференция "Инженерная геофизика 2011" — Москва, Россия,
25-29 апреля 2011

SEISMOACOUSTICS IN GEOTECHNICAL BOREHOLES FOR THE EVALUATION OF PROPERTIES OF ADJACENT SOIL
V. Lisins (Interseis, Latvia)
6th Congress of “Balkan Geophysical Society-2011".
Budapest, October 3-6, 2011

SEISMOSTRATIGRAPHY OF SOIL FOUNDATIONS OF OFFSHORE STRUCTURES AT THE NORTH CASPIAN SHELF
Bezrodnykh Y., Lisin V. JSC “Morinzhgeologia”
75th EAGE Conference & Exhibition incorporating SPE EUROPEC 2013
London, UK, 10-13 June 2013

Исследование состояния грунтового массива набережной методами малоглубинной сейсмики и радиолокации
V.Ļisins, Interseis SIA, Latvija
6th Saint Petersburg International Conference & Exhibition – Geosciences – Investing in the Future
Saint Petersburg, Russia, 7-10 April 2014

О ВОЗМОЖНОСТИ ИСПОЛЬЗОВАНИЯ МАТЕРИАЛОВ
СЕЙСМОРАЗВЕДОЧНЫХ РАБОТ 3D ПРИ РЕШЕНИИ ИНЖЕНЕРНО-ГЕОЛОГИЧЕСКИХ ЗАДАЧ НА МОРСКИХ НЕФТЕГАЗОВЫХ ОБЪЕКТАХ
Алексеев А.Г.(ООО Лукойл-Нижневолжскнефть), Лисин В.П.(АО Моринжгеология),
Безродных Ю.П. (АО Моринжгеология)
Вторая практическая конференция
«Инженерные изыскания на объектах нефтегазового комплекса».
Москва, 18-19 февраля 2015 г.

Об использовании данных сейсморазведки 3D для решения задач инженерных изысканий на площадках сооружений на шельфе Северного Каспия
В.П.Лисин, А.Г.Алексеев (АО Моринжгеология, ООО Лукойл-Нижневолжскнефть)
Инженерная геофизика 2015 — Геленджик, Россия, 20-24 апреля 2015 г.

EVALUATION OF DRILLING SAFETY AT THE CASPIAN SHELF
USING 3D SEISMIC AND SUBBOTTOM PROFILING DATA
Lisin V.,Ter-Saakov E.,Bezrodnykh Y. JSC “Morinzhgeologia”, Alexeev A.,
“Lukoil-Nizhnevolzhskneft Ltd.”, Levshina E., “Petronas Carigali (Turkmenistan) Sdn”
77th EAGE Conference & Exhibition 2015
Madrid IFEMA, Spain, 1-4 June 2015

THE STUDY OF THE DECOMPACTION ZONES IN SOILS BY METHOD OF NON-LONGITUDINAL HIGH RESOLUTION VSP
Lisin V., (Interseis SIA), Sanfirov I. (Russian SA UB Mining Institute),Chugaev A. (Russian SA UB Mining Institute), Babkin A. (Russian SA UB Mining Institute), Seredenko R. (Interseis SIA)
77th EAGE Conference & Exhibition 2015
Madrid IFEMA, Spain, 1-4 June 2015

ИЗУЧЕНИЕ ПАЛЕОКАРСТА МЕТОДАМИ МАЛОГЛУБИННОЙ ГЕОФИЗИКИ В ДОЛИНЕ р. ДАУГАВЫ
В.П.Лисин (ООО Интерсейс, Латвия), И.А.Санфиров, А.И.Бабкин,
А.Г.Ярославцев (Горный Институт УрО РАН, Пермь)
Первая научно-практическая конференция
«Изучение опасных природных процессов и явлений при инженерных изысканиях». Москва, 21-22 апреля 2016 года

A.V. Chugaev* (Mining Institute UB of RAS), A.I. Babkin (Mining Institute
UB of RAS) & V.P. Lisin (Interseis SIA)
Инженерная геофизика 2016 — Анапа, Россия, 25-29 апреля 2016 г.

Cross-Section Velocity Characteristics Determination by Seismic Acoustic Borehole Methods
Определение скоростных параметров разреза по сейсмическим скважинным исследованиям
А.В. Чугаев (ГИ УрО РАН, Пермь), В.П. Лисин («Interseis», Латвия), И.А. Санфиров (ГИ УрО
РАН), В.В. Никифоров (ГИ УрО РАН), В.П. Зеленин (ООО «Интромаг», Пермь)
Инженерная геофизика 2017 — Кисловодск, Россия, 24-28 апреля 2017 г.

Исследование потенциально опасных зон ускоренного оседания грунтовой толщи шахтных полей методами наземной и скважиной сейсморазведки
В.П. Лисин (Interseis, Латвия), А.В. Чугаев* (ГИ УрО РАН), И.А. Санфиров (ГИ Уро РАН)
Инженерная и рудная геофизика 2018 — Алматы, Казахстан, 23-27 апреля 2018 г.

Особенности формирования волнового поля при изучении ледопородного ограждения шахтного ствола с помощью скважинных сейсмических методов
А.В. Чугаев* (ГИ УрО РАН), А.В. Пугин (ГИ УрО РАН), В.П. Лисин (SIA Interseis), С.А. Тараканов (ИООО «Славкалий»)

Seismoacoustic methods in assessing the hazards of drilling on the Caspian shelf associated with shallow gas
V.Lisin (Interseis SIA, Latvia)
Near Surface Geoscience Conference & Exhibition 2019
8-12 September 2019, The Hague, Netherlands

О возможностях CMPCC анализа поверхностных волн для выявления латеральной неоднородности и зон субвертикальной трещиноватости в грунтах
В.П.Лисин (“Interseis SIA”), И.А.Санфиров (ГИ УрО РАН), А.В.Чугаев* (ГИ УрО РАН), А.И.Бабкин (ГИ УрО РАН)
«Инженерная и рудная геофизика 2020» —Пермь, Россия, 12-16мая 2020 г.

О возможностях использования техногенных шумов для оценки состояния грунтопородного массива на аварийном участке шахтного поля
Лисин В.П.1, Санфиров И.А.2, Чугаев А.В.2*, Богданов Р.А.3, Тарантин М.В.2, Шулаков Д.Ю.2
1 SIA Interseis, Латвия, 2 Горный институт УрО РАН, г. Пермь
3 ПАО Уралкалий, г. Березники
E-mail: [email protected]
Phone +371 29568394